Προεδρικό διάταγμα 5/12/95 - Άρθρο 1

Άρθρο 1


Συνδεθείτε στην Υπηρεσία Νομοσκόπιο
Είσοδος στην υπηρεσία Νομοσκόπιο.
   
Χρήστης
Κωδικός
  Υπενθύμιση στοιχείων λογαριασμού
   
 
Νέοι χρήστες
Εάν είστε νέος χρήστης, θα πρέπει να δημιουργήσετε ένα ΔΩΡΕΑΝ λογαριασμό προκειμένου να φύγει το παράθυρο αυτό και να αποκτήσετε πλήρη πρόσβαση στην υπηρεσία Νομοσκόπιο.
Δημιουργία νέου λογαριασμού

 

 

Εγκρίνεται:

 

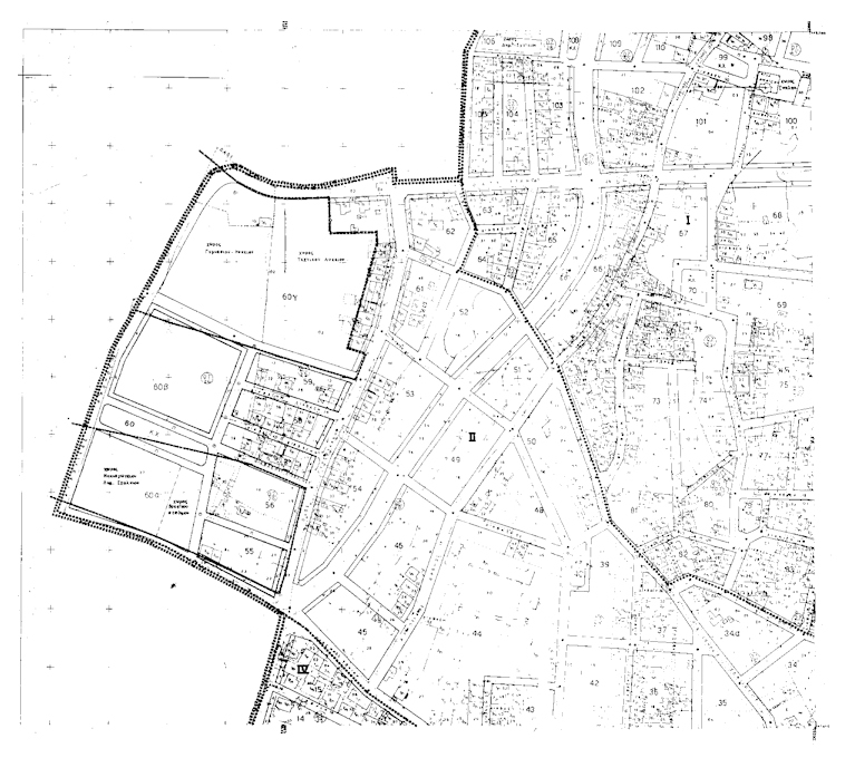
1. Το πολεοδομικό σχέδιο τμήματος της πολεοδομικής ενότητας 11 (Δημητρίου - Μπεντεβή) του Δήμου Ηρακλείου (Ν. Ηρακλείου) με τον καθορισμό οικοδομήσιμων χώρων, οδών και κοινοχρήστου χώρου, και

 

2. α) Η τροποποίηση του ρυμοτομικού σχεδίου στο χώρο εκπαιδευτηρίων που καθορίστηκε με το από [ΒΔ] 20-01-1972 βασιλικό διάταγμα (ΦΕΚ 30/Δ/1972) με την έγκριση εντός αυτού: πεζοδρόμων και οδών, και τον χαρακτηρισμό αυτού σε:

 

χώρο νηπιαγωγείου - δημοτικού σχολείου,
χώρο βρεφονηπιακού σταθμού,
οικοδομήσιμους χώρους και σε κοινόχρηστο χώρο, και

 

β) Η τροποποίηση του ρυμοτομικού σχεδίου στο χώρο Μέσης Τεχνικής Σχολής, που καθορίστηκε με την Γ24318/2091/1978 απόφαση του Υφυπουργού Δημοσίων Έργων (ΦΕΚ 494/Δ/1978) με τον χαρακτηρισμό τμήματος αυτού σε οικοδομήσιμο,

 

όπως οι ρυθμίσεις των παραγράφων 1 και 2 φαίνονται στο σχετικό πρωτότυπο διάγραμμα σε κλίμακα 1:1.000, που θεωρήθηκε από τον Προϊστάμενο της Διεύθυνσης Τοπογραφικών Εφαρμογών και που αντίτυπό του σε φωτοσμίκρυνση δημοσιεύεται με το παρόν διάταγμα.

 

pd.5.12.95

 



Copyright © 2020 TechnoLogismiki. Με την επιφύλαξη παντός δικαιώματος.