Προεδρικό διάταγμα 3/9/02c - Άρθρο 1

Άρθρο 1


Συνδεθείτε στην Υπηρεσία Νομοσκόπιο
Είσοδος στην υπηρεσία Νομοσκόπιο.
   
Χρήστης
Κωδικός
  Υπενθύμιση στοιχείων λογαριασμού
   
 
Νέοι χρήστες
Εάν είστε νέος χρήστης, θα πρέπει να δημιουργήσετε ένα ΔΩΡΕΑΝ λογαριασμό προκειμένου να φύγει το παράθυρο αυτό και να αποκτήσετε πλήρη πρόσβαση στην υπηρεσία Νομοσκόπιο.
Δημιουργία νέου λογαριασμού

 

 

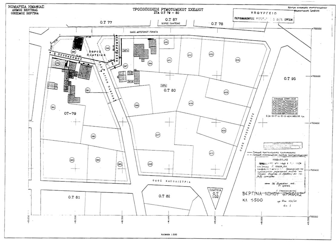
Εγκρίνεται η τροποποίηση του εγκεκριμένου ρυμοτομικού σχεδίου του δήμου Βεργίνας (Νομός Ημαθίας) που εμπίπτει σε περιοχή η οποία έχει χαρακτηρισθεί ως περιοχή ιδιαίτερου φυσικού κάλλους με την 8383/92/1993 απόφαση Υπουργού Πολιτισμού (ΦΕΚ 79/Β/1993) και, ειδικότερα στα οικοδομικά τετράγωνα 79 και 80 με την μετατροπή τμημάτων αυτών καθώς και τμήματος της μεταξύ αυτών οδού σε χώρο πλατείας, την έγκριση πεζοδρόμων και τον χαρακτηρισμό τμήματος οδού ως πεζοδρόμου όπως οι παραπάνω ρυθμίσεις φαίνονται στο σχετικό πρωτότυπο διάγραμμα σε κλίμακα 1:500, που θεωρήθηκε από τον Προϊστάμενο της Διεύθυνσης Τοπογραφικών Εφαρμογών με την 15655/2002 πράξη του και που αντίτυπό του σε φωτοσμίκρυνση δημοσιεύεται με το παρόν διάταγμα.

 

pd.3.9.02c



Copyright © 2020 TechnoLogismiki. Με την επιφύλαξη παντός δικαιώματος.