Προεδρικό διάταγμα 30/4/12b - Άρθρο 1

Άρθρο 1


Συνδεθείτε στην Υπηρεσία Νομοσκόπιο
Είσοδος στην υπηρεσία Νομοσκόπιο.
   
Χρήστης
Κωδικός
  Υπενθύμιση στοιχείων λογαριασμού
   
 
Νέοι χρήστες
Εάν είστε νέος χρήστης, θα πρέπει να δημιουργήσετε ένα ΔΩΡΕΑΝ λογαριασμό προκειμένου να φύγει το παράθυρο αυτό και να αποκτήσετε πλήρη πρόσβαση στην υπηρεσία Νομοσκόπιο.
Δημιουργία νέου λογαριασμού

 

 

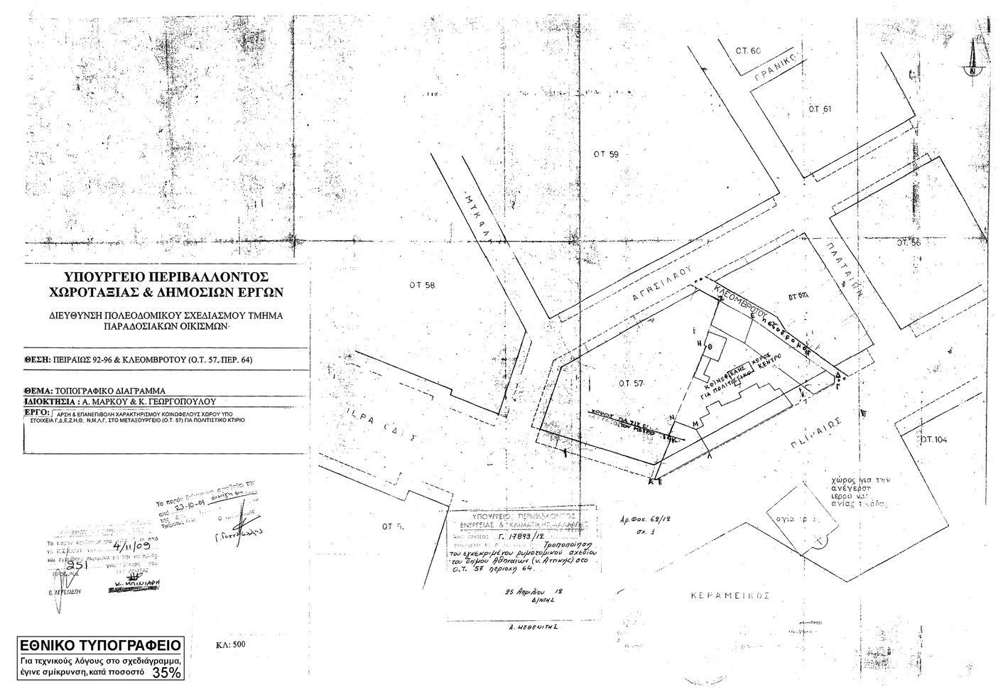
1. Εγκρίνεται η τροποποίηση του εγκεκριμένου ρυμοτομικού σχεδίου του Δήμου Αθηναίων στο Οικοδομικό Τετράγωνο 57 (περιοχή 64) με τον επανακαθορισμό χώρου για πολιτιστικό κτίριο στο τμήμα του με στοιχεία ΓΔΕΖΗΘΝΜΛΓ, όπως φαίνεται στο σχετικό πρωτότυπο διάγραμμα σε κλίμακα 1:500, που θεωρήθηκε από τον Προϊστάμενο της Διεύθυνσης Τοπογραφικών Εφαρμογών με την 17893/2012 πράξη του και του οποίου αντίτυπο του σε φωτοσμίκρυνση συνδημοσιεύεται με το παρόν διάταγμα.

 

2. Πριν από την διενέργεια εκσκαφών και οικοδομικών εργασιών ειδοποιείται υποχρεωτικά η Γ' Εφορεία Προϊστορικών και Κλασικών Αρχαιοτήτων.

 

pd.30.4.12b



Copyright © 2020 TechnoLogismiki. Με την επιφύλαξη παντός δικαιώματος.