Προεδρικό διάταγμα 2/9/88d - Άρθρο 1

Άρθρο 1


Συνδεθείτε στην Υπηρεσία Νομοσκόπιο
Είσοδος στην υπηρεσία Νομοσκόπιο.
   
Χρήστης
Κωδικός
  Υπενθύμιση στοιχείων λογαριασμού
   
 
Νέοι χρήστες
Εάν είστε νέος χρήστης, θα πρέπει να δημιουργήσετε ένα ΔΩΡΕΑΝ λογαριασμό προκειμένου να φύγει το παράθυρο αυτό και να αποκτήσετε πλήρη πρόσβαση στην υπηρεσία Νομοσκόπιο.
Δημιουργία νέου λογαριασμού

 

 

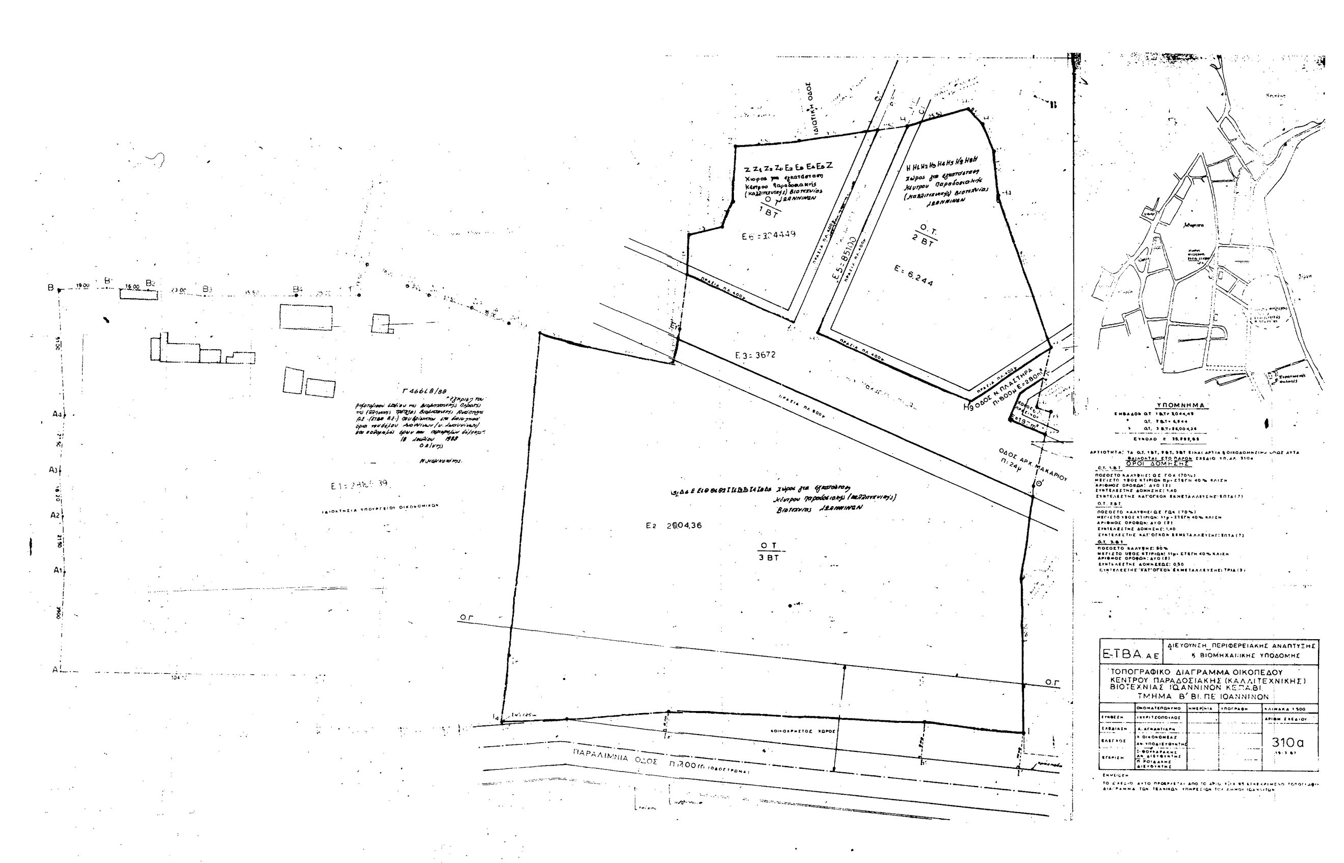
Εγκρίνεται το ρυμοτομικό σχέδιο της Βιομηχανικής Περιοχής της Ελληνικής Τράπεζας Βιομηχανικής Αναπτύξεως ΑΕ (ΕΤΒΑ ΑΕ) που βρίσκεται στα διοικητικά όρια του δήμου Ιωαννιτών (νομού Ιωαννίνων) με τη δημιουργία:

 

α) των υπ' αριθμόν 1ΒΤ, 2ΒΤ, 3ΒΤ οικοδομικών τετραγώνων για τις εγκαταστάσεις Κέντρου Παραδοσιακής Καλλιτεχνικής Βιοτεχνίας (ΚΕΠΑΒΙ),

 

β) χώρου πρασίνου, οδών,

 

όπως φαίνεται στο σχετικό πρωτότυπο διάγραμμα σε κλίμακα 1:500 που θεωρήθηκε από τον Προϊστάμενο της Διεύθυνσης Τοπογραφικών Εφαρμογών με την υπ' αριθμόν 46618/1988 πράξη του και που συνοπτικό του αντίτυπο δημοσιεύεται με το παρόν διάταγμα.

 

pd.2.9.88d



Copyright © 2020 TechnoLogismiki. Με την επιφύλαξη παντός δικαιώματος.