-1) {
var s = source.indexOf("", e);
scripts.push(source.substring(s_e+1, e));
source = source.substring(0, s) + source.substring(e_e+1);
}
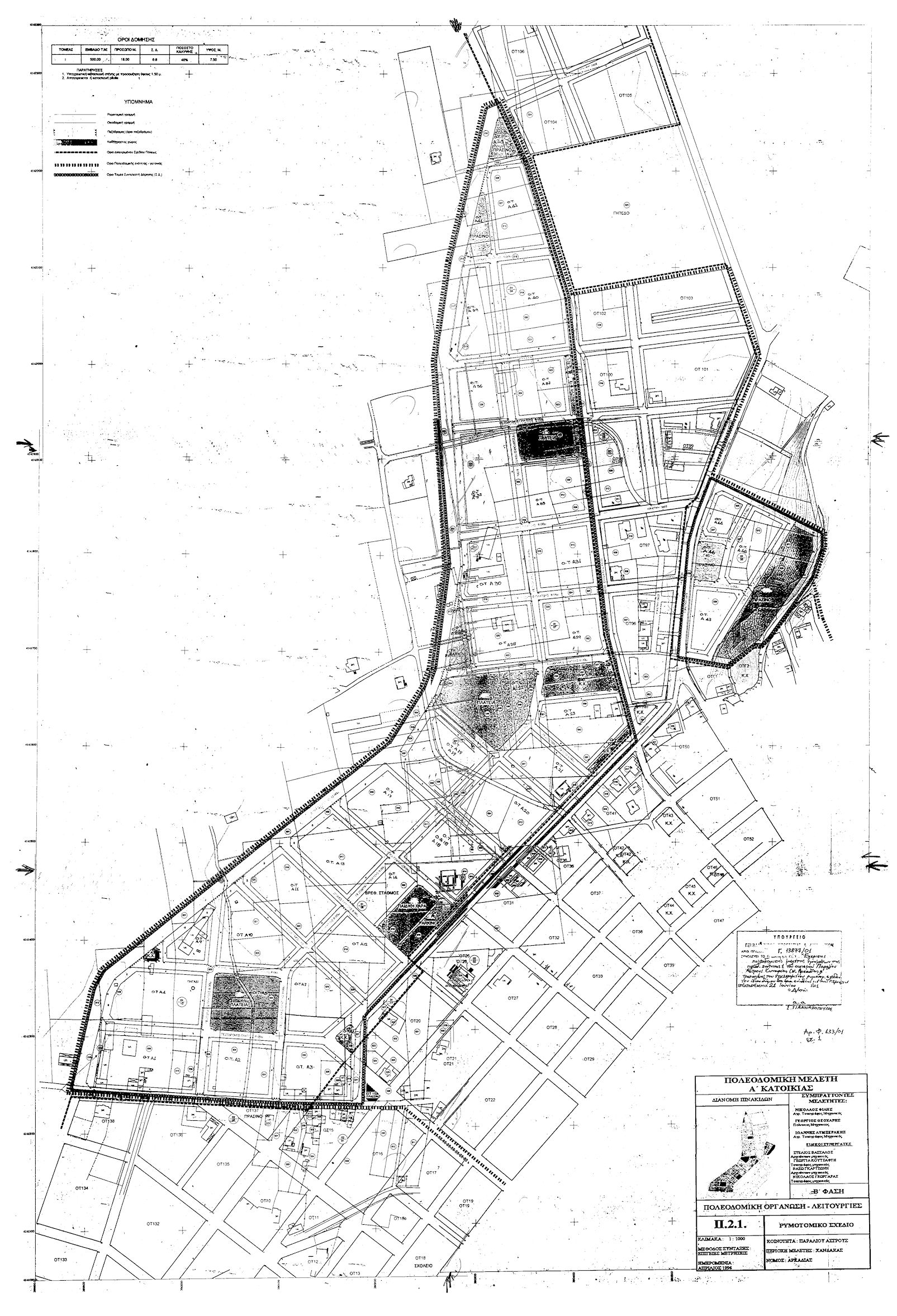
for(var i=0; i Εγκρίνεται: α) το πολεοδομικό σχέδιο τμημάτων της πολεοδομικής ενότητας 1 Κεντρική γειτονιά του οικισμού Παράλιου Άστρους του Δήμου Βόρειας Κυνουρίας (νομού Αρκαδίας) με τον καθορισμό οικοδομήσιμων χώρων, οδών, πεζοδρόμων, κοινοχρήστων χώρων, κοινοχρήστων χώρων - πλατείας, χώρων στάθμευσης αυτοκινήτων (Ρ), χώρου παιδικής χαράς, βρεφονηπιακού σταθμού και β) η τροποποίηση του εγκεκριμένου ρυμοτομικού σχεδίου του ιδίου ως άνω Δήμου στα σημεία σύνδεσης με την περιοχή επέκτασης και ειδικότερα στα οικοδομικά τετράγωνα 15 και 20 του εγκεκριμένου ρυμοτομικού σχεδίου με την έγκριση οδών εντός αυτών, όπως οι παραπάνω ρυθμίσεις φαίνονται στο σχετικό χρωματισμένο πρωτότυπο διάγραμμα σε κλίμακα 1:1000 που θεωρήθηκε από τον Προϊστάμενο της Διεύθυνσης Τοπογραφικών Εφαρμογών με την 13877/2001 πράξη του και που αντίτυπό του σε φωτοσμίκρυνση δημοσιεύεται με το παρόν διάταγμα. ";
if(window.XMLHttpRequest){
try{xmlhttp = new XMLHttpRequest();}catch(e){
xmlhttp = false;}}
else if(window.ActiveXObject){
try{xmlhttp=new ActiveXObject("Msxml2.XMLHTTP");}catch(e){
try{xmlhttp=new ActiveXObject("Microsoft.XMLHTTP");}catch(e){
xmlhttp = false;}}}
if (xmlhttp) {
xmlhttp.onreadystatechange=function(){
if(xmlhttp.readyState==4){
if(xmlhttp.status==200){
var mystr=xmlhttp.responseText;
var mspanner=document.getElementById(target);
mspanner.innerHTML="";
var newdiv = document.createElement('div');
newdiv.innerHTML = parseScript(mystr);
mspanner.appendChild(newdiv);
}}}
}
var myurl=url;
if (params.length!=0) {
myurl=myurl+"?"+params;
}
xmlhttp.open("POST",myurl,true);
xmlhttp.send(null);
}

Συνδεθείτε στην Υπηρεσία Νομοσκόπιο
Νέοι χρήστες Εάν είστε νέος χρήστης, θα πρέπει να δημιουργήσετε ένα ΔΩΡΕΑΝ λογαριασμό προκειμένου να φύγει το παράθυρο αυτό και να αποκτήσετε πλήρη πρόσβαση στην υπηρεσία Νομοσκόπιο. Δημιουργία νέου λογαριασμού 