Προεδρικό διάταγμα 29/11/12 - Άρθρο 1

Άρθρο 1


Συνδεθείτε στην Υπηρεσία Νομοσκόπιο
Είσοδος στην υπηρεσία Νομοσκόπιο.
   
Χρήστης
Κωδικός
  Υπενθύμιση στοιχείων λογαριασμού
   
 
Νέοι χρήστες
Εάν είστε νέος χρήστης, θα πρέπει να δημιουργήσετε ένα ΔΩΡΕΑΝ λογαριασμό προκειμένου να φύγει το παράθυρο αυτό και να αποκτήσετε πλήρη πρόσβαση στην υπηρεσία Νομοσκόπιο.
Δημιουργία νέου λογαριασμού

 

 

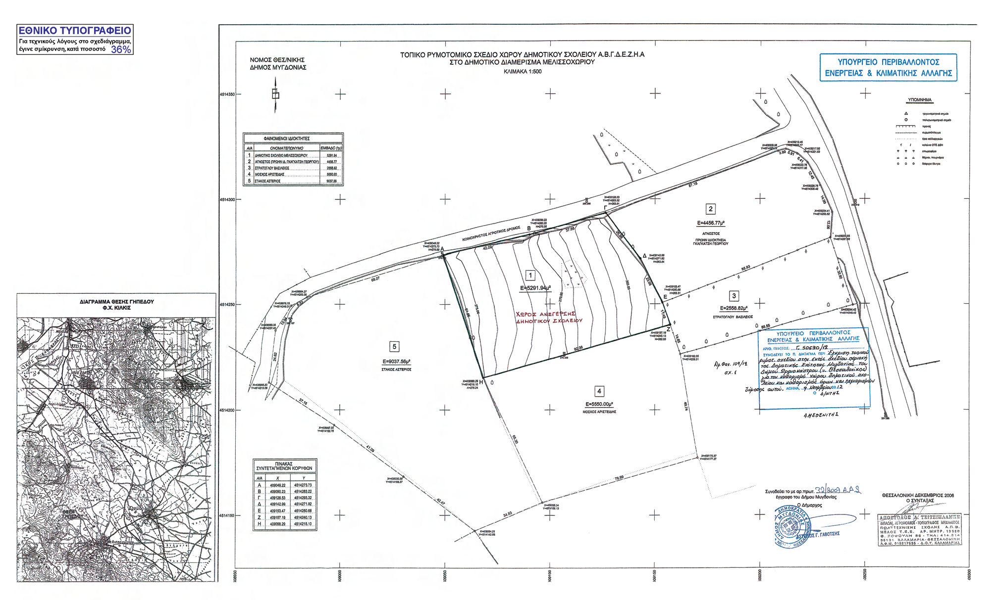
Εγκρίνεται τοπικό ρυμοτομικό σχέδιο στην εκτός σχεδίου περιοχή και εκτός ορίων οικισμού Μελισσοχωρίου της Δημοτικής Ενότητας Μυγδονίας του Δήμου Ωραιοκάστρου (νομού Θεσσαλονίκης) για τον καθορισμό χώρου δημοτικού σχολείου, όπως φαίνεται περικλεισμένος με πράσινη γραμμή και τα στοιχεία ΑΒΓΔΕΖΗΑ στο σχετικό πρωτότυπο διάγραμμα σε κλίμακα 1:500, που θεωρήθηκε από τον Προϊστάμενο της Διεύθυνσης Τοπογραφικών Εφαρμογών με την υπ' αριθμόν 50630/2012 πράξη του και που αντίτυπο του σε φωτοσμίκρυνση δημοσιεύεται με το παρόν διάταγμα.

 

pd.29.11.12

 



Copyright © 2020 TechnoLogismiki. Με την επιφύλαξη παντός δικαιώματος.