Προεδρικό διάταγμα 26/3/12 - Άρθρο 1

Άρθρο 1


Συνδεθείτε στην Υπηρεσία Νομοσκόπιο
Είσοδος στην υπηρεσία Νομοσκόπιο.
   
Χρήστης
Κωδικός
  Υπενθύμιση στοιχείων λογαριασμού
   
 
Νέοι χρήστες
Εάν είστε νέος χρήστης, θα πρέπει να δημιουργήσετε ένα ΔΩΡΕΑΝ λογαριασμό προκειμένου να φύγει το παράθυρο αυτό και να αποκτήσετε πλήρη πρόσβαση στην υπηρεσία Νομοσκόπιο.
Δημιουργία νέου λογαριασμού

 

 

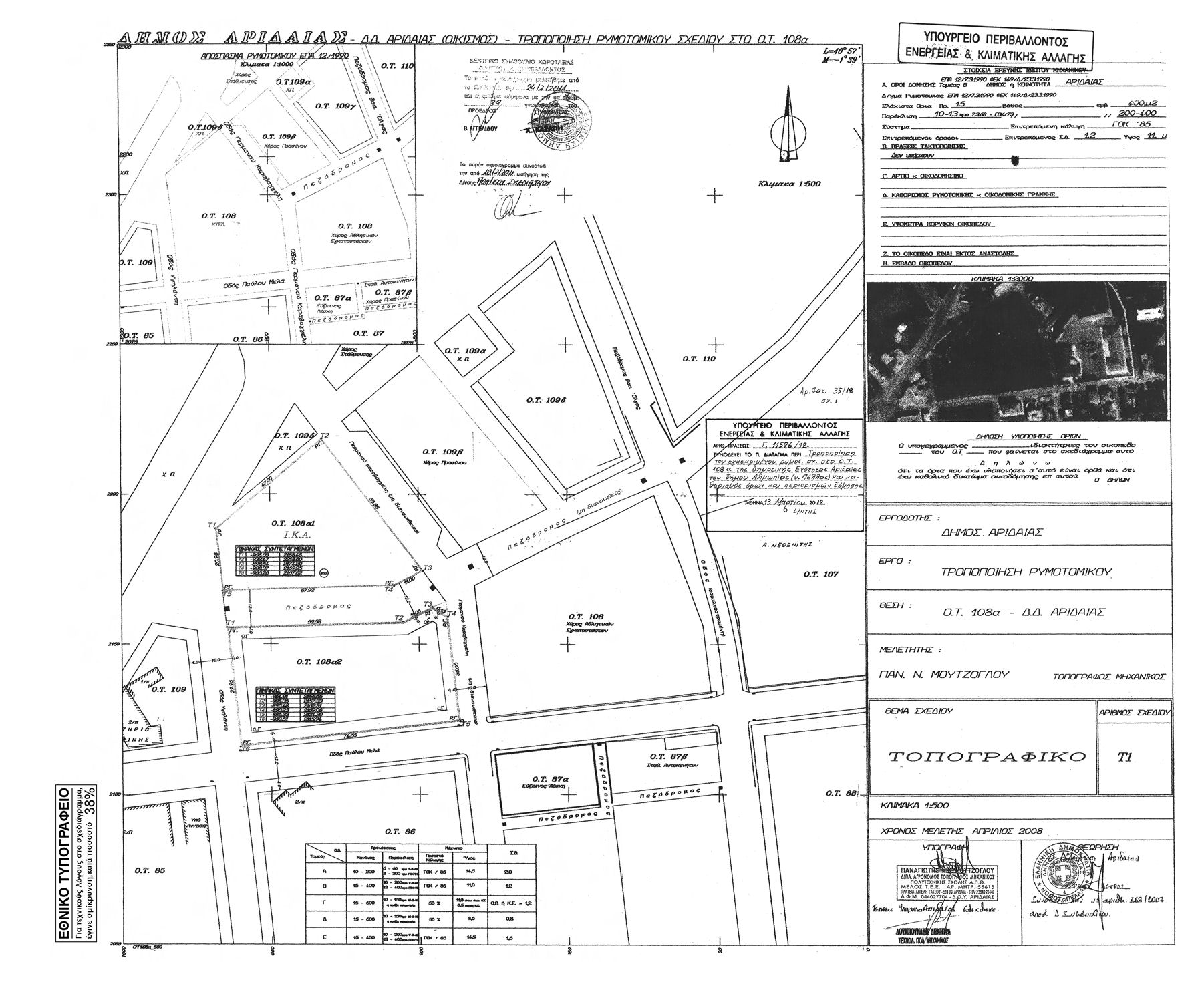
Εγκρίνεται η τροποποίηση του εγκεκριμένου ρυμοτομικού σχεδίου της Δημοτικής Ενότητας Αριδαίας δήμου Αλμωπίας (νομός Πέλλας) στον υπ' αριθμόν 108Α χώρο ΚΤΕΛ με τον αποχαρακτηρισμό αυτού, το χαρακτηρισμό τμημάτων αυτού σε χώρο Ιδρύματος Κοινωνικών Ασφαλίσεων (οικοδομικό Τετράγωνο 108Α1) και οικοδομήσιμο χώρο (οικοδομικό Τετράγωνο 108Α2) αντίστοιχα, καθώς και την έγκριση πεζοδρόμου, όπως οι ρυθμίσεις αυτές φαίνονται στο σχετικό πρωτότυπο διάγραμμα σε κλίμακα 1:500 που θεωρήθηκε από τον Προϊστάμενο της Διεύθυνσης Τοπογραφικών Εφαρμογών με την αριθμόν 11596/2012 πράξη του και που αντίτυπο του σε φωτοσμίκρυνση δημοσιεύεται με το παρόν διάταγμα.

 

pd.26.3.12



Copyright © 2020 TechnoLogismiki. Με την επιφύλαξη παντός δικαιώματος.