Προεδρικό διάταγμα 24/5/85c - Άρθρο 1

Άρθρο 1


Συνδεθείτε στην Υπηρεσία Νομοσκόπιο
Είσοδος στην υπηρεσία Νομοσκόπιο.
   
Χρήστης
Κωδικός
  Υπενθύμιση στοιχείων λογαριασμού
   
 
Νέοι χρήστες
Εάν είστε νέος χρήστης, θα πρέπει να δημιουργήσετε ένα ΔΩΡΕΑΝ λογαριασμό προκειμένου να φύγει το παράθυρο αυτό και να αποκτήσετε πλήρη πρόσβαση στην υπηρεσία Νομοσκόπιο.
Δημιουργία νέου λογαριασμού

 

 

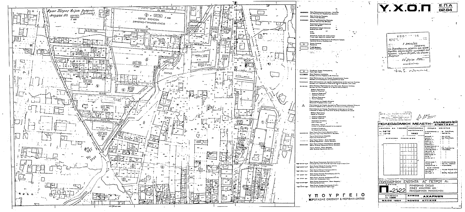
Εγκρίνεται το πολεοδομικό σχέδιο τμήματος της περιοχής Άγιος Πέτρος του Δήμου Αχαρνών (Αττικής) που το μεγαλύτερο τμήμα του έχει χαρακτηρισθεί ως πυκνοδομημένο με την υπ' αριθμόν 28947/1017/18-04-1985 απόφαση του Υπουργού Χωροταξίας, Οικισμού και Περιβάλλοντος, με τον καθορισμό οικοδομήσιμων χώρων, οδών, πεζοδρόμων, κοινοχρήστων χώρων, πάρκων, παιδικών χαρών, πλατειών, χώρων αθλητικών εγκαταστάσεων, χώρου βρεφονηπιακού σταθμού, χώρου νηπιαγωγείου, χώρου Σχολείων και χώρου Εκκλησίας, όπως φαίνονται στα δύο σχετικά πρωτότυπα διαγράμματα σε κλίμακα 1:1000 που θεωρήθηκαν από τον Προϊστάμενο της Διεύθυνσης Πολεοδομικών Εφαρμογών με την υπ' αριθμόν 37610/1985 πράξη του και που συνοπτικά τους αντίτυπα δημοσιεύονται με το παρόν διάταγμα.

 

pd.24.5.85c.1

pd.24.5.85c.2

 



Copyright © 2020 TechnoLogismiki. Με την επιφύλαξη παντός δικαιώματος.