Προεδρικό διάταγμα 23/9/99b - Άρθρο 1

Άρθρο 1


Συνδεθείτε στην Υπηρεσία Νομοσκόπιο
Είσοδος στην υπηρεσία Νομοσκόπιο.
   
Χρήστης
Κωδικός
  Υπενθύμιση στοιχείων λογαριασμού
   
 
Νέοι χρήστες
Εάν είστε νέος χρήστης, θα πρέπει να δημιουργήσετε ένα ΔΩΡΕΑΝ λογαριασμό προκειμένου να φύγει το παράθυρο αυτό και να αποκτήσετε πλήρη πρόσβαση στην υπηρεσία Νομοσκόπιο.
Δημιουργία νέου λογαριασμού

 

 

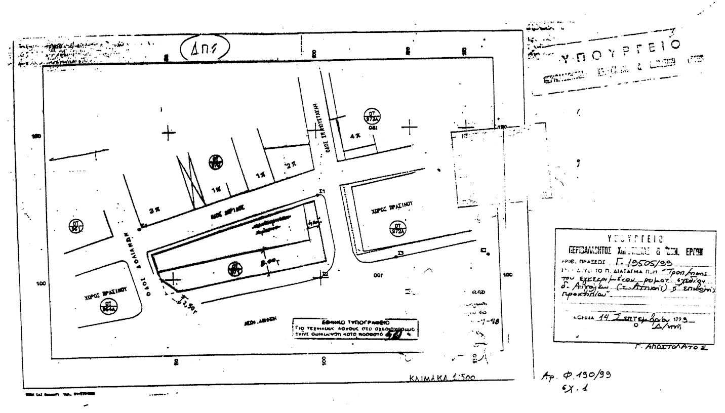
Εγκρίνεται η τροποποίηση του εγκεκριμένου ρυμοτομικού σχεδίου δήμου Αιγάλεω (νομού Αττικής) και ειδικότερα στο οικοδομικό τετράγωνο 971, που περικλείεται από τις οδούς Λεωφόρο Αθηνών, Δολιανών Δωρίδας και Σ. Μουστακλή με την μετατροπή αυτού από κοινόχρηστο χώρο πρασίνου σε οικοδομήσιμο και την μετατόπιση της ρυμοτομικής γραμμής, όπως φαίνεται στο σχετικό πρωτότυπο διάγραμμα σε κλίμακα 1:500, που θεωρήθηκε με την υπ' αριθμόν 19505/1999 πράξη του Προϊστάμενου της Διεύθυνσης Τοπογραφικών Εφαρμογών και που αντίτυπό του σε φωτοσμίκρυνση δημοσιεύεται με το παρόν διάταγμα.

 

pd.23.9.99b



Copyright © 2020 TechnoLogismiki. Με την επιφύλαξη παντός δικαιώματος.