-1) {
var s = source.indexOf("", e);
scripts.push(source.substring(s_e+1, e));
source = source.substring(0, s) + source.substring(e_e+1);
}
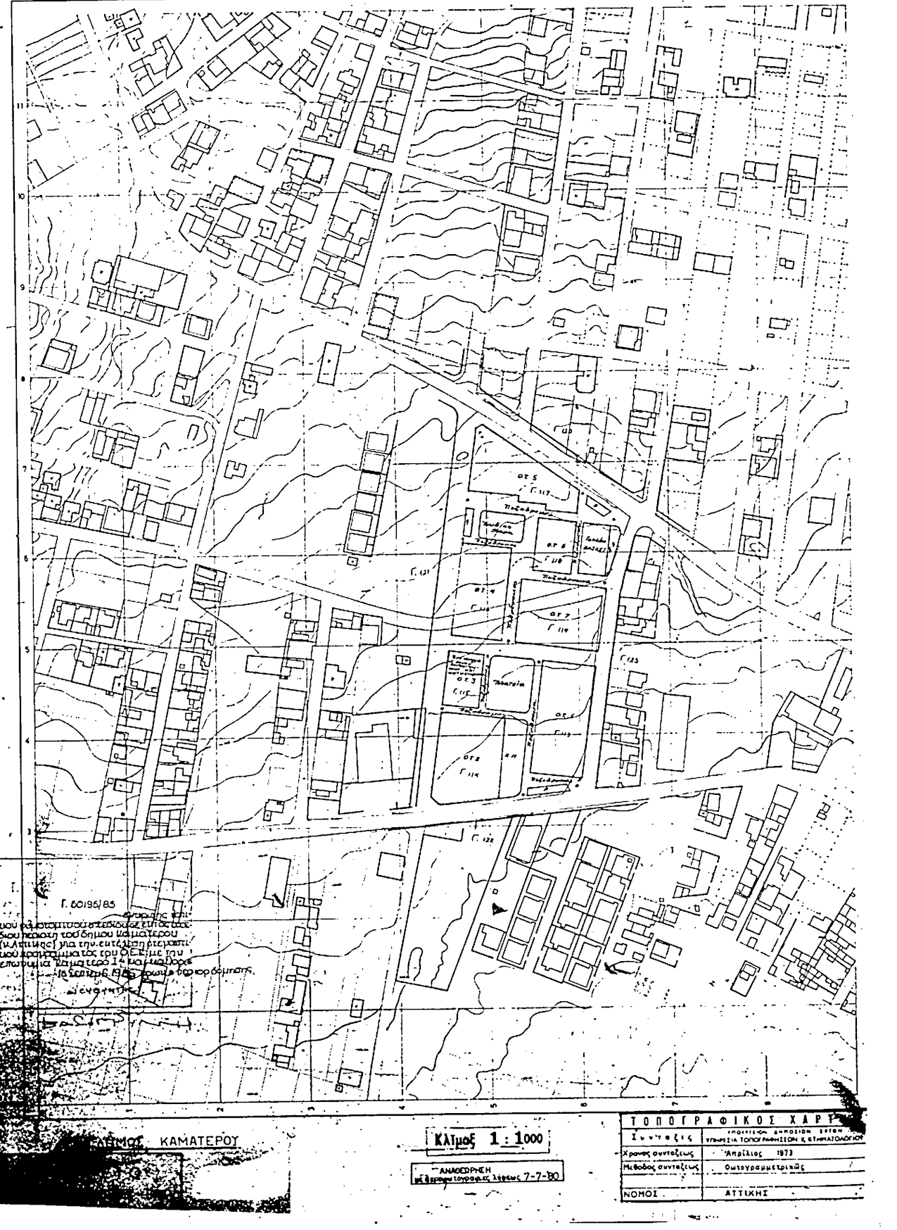
for(var i=0; i Εγκρίνεται τοπικό ρυμοτομικό σχέδιο σε περιοχή που βρίσκεται εκτός του εγκεκριμένου ρυμοτομικού σχεδίου του δήμου Καματερού (Αττικής) για την εκτέλεση επείγοντος στεγαστικού προγράμματος του Οργανισμού Εργατικής Κατοικίας, με την ονομασία Καματερό I με τη δημιουργία των υπ' αριθμόν 1, 2, 3, 4, 5, 6 και 7 οικοδομικών τετραγώνων, χώρων παιδικής χαράς - πλατείας, κοινοχρήστων πρασίνων, γηπέδου καλαθοσφαίρισης (BASKET), στάθμευσης αυτοκινήτων, κοινοχρήστων χώρων και πεζοδρόμων, όπως φαίνονται χρωματισμένα στο σχετικό πρωτότυπο διάγραμμα σε κλίμακα 1 :1000 που θεωρήθηκε από τον Προϊστάμενο της Διεύθυνσης Πολεοδομικών Εφαρμογών με την υπ' αριθμόν 60196/1985 πράξη του και που συνοπτικό του αντίτυπο δημοσιεύεται με το παρόν διάταγμα. ";
if(window.XMLHttpRequest){
try{xmlhttp = new XMLHttpRequest();}catch(e){
xmlhttp = false;}}
else if(window.ActiveXObject){
try{xmlhttp=new ActiveXObject("Msxml2.XMLHTTP");}catch(e){
try{xmlhttp=new ActiveXObject("Microsoft.XMLHTTP");}catch(e){
xmlhttp = false;}}}
if (xmlhttp) {
xmlhttp.onreadystatechange=function(){
if(xmlhttp.readyState==4){
if(xmlhttp.status==200){
var mystr=xmlhttp.responseText;
var mspanner=document.getElementById(target);
mspanner.innerHTML="";
var newdiv = document.createElement('div');
newdiv.innerHTML = parseScript(mystr);
mspanner.appendChild(newdiv);
}}}
}
var myurl=url;
if (params.length!=0) {
myurl=myurl+"?"+params;
}
xmlhttp.open("POST",myurl,true);
xmlhttp.send(null);
}

Συνδεθείτε στην Υπηρεσία Νομοσκόπιο
Νέοι χρήστες Εάν είστε νέος χρήστης, θα πρέπει να δημιουργήσετε ένα ΔΩΡΕΑΝ λογαριασμό προκειμένου να φύγει το παράθυρο αυτό και να αποκτήσετε πλήρη πρόσβαση στην υπηρεσία Νομοσκόπιο. Δημιουργία νέου λογαριασμού 