Προεδρικό διάταγμα 23/5/07 - Άρθρο 1

Άρθρο 1


Συνδεθείτε στην Υπηρεσία Νομοσκόπιο
Είσοδος στην υπηρεσία Νομοσκόπιο.
   
Χρήστης
Κωδικός
  Υπενθύμιση στοιχείων λογαριασμού
   
 
Νέοι χρήστες
Εάν είστε νέος χρήστης, θα πρέπει να δημιουργήσετε ένα ΔΩΡΕΑΝ λογαριασμό προκειμένου να φύγει το παράθυρο αυτό και να αποκτήσετε πλήρη πρόσβαση στην υπηρεσία Νομοσκόπιο.
Δημιουργία νέου λογαριασμού

 

 

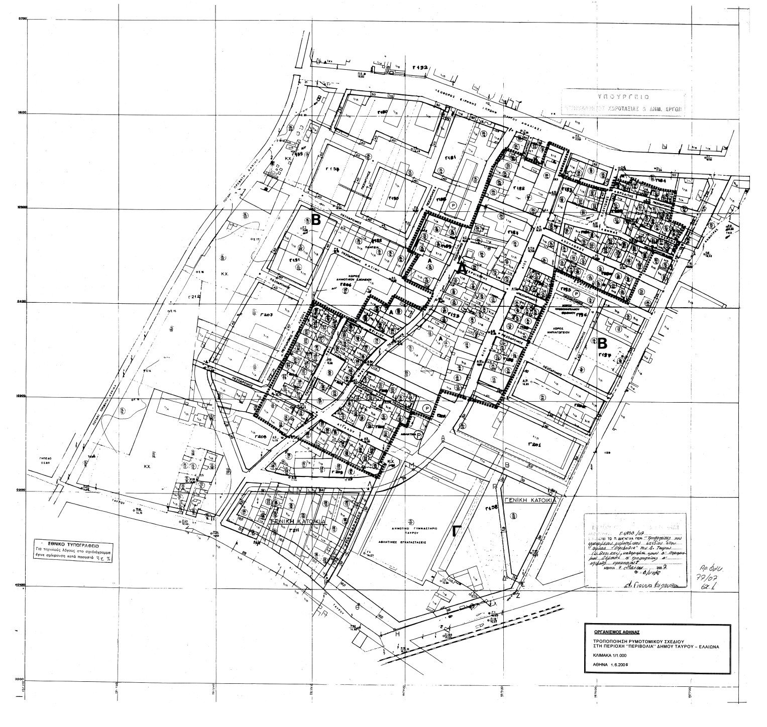
Εγκρίνεται η τροποποίηση του εγκεκριμένου ρυμοτομικού σχεδίου στην πολεοδομική ενότητα Ι (περιοχή Περιβόλια) του Δήμου Ταύρου (νομού Αττικής), που εγκρίθηκε με το από 28-09-1989 προεδρικό διάταγμα (ΦΕΚ 637/Δ/1989) και εμπίπτει στην πολεοδομική ενότητα του Ελαιώνα που έχει χαρακτηρισθεί ως Ζώνη Ελεγχόμενης Ανάπτυξης με το από 18-12-1990 προεδρικό διάταγμα (ΦΕΚ 709/Δ/1990) και ειδικότερα στο χώρο Αθλητικών Εγκαταστάσεων - Δημοτικό Γυμναστήριο Ταύρου με την έγκριση εντός αυτού πεζοδρόμου, τη μετατροπή τμημάτων αυτού σε οικοδομήσιμους χώρους και τη δημιουργία 2 νέων οικοδομικών τετραγώνων (οικοδομικά τετράγωνα Γ158 και Γ211) καθώς και τη μετατροπή του χώρου Αθλητικά στο οικοδομικό τετράγωνο Γ210 σε χώρο στάθμευσης αυτοκινήτων, όπως οι ρυθμίσεις αυτές φαίνονται στο σχετικό πρωτότυπο διάγραμμα σε κλίμακα 1:1000, που θεωρήθηκε από τον Προϊστάμενο της Διεύθυνσης Τοπογραφικών Εφαρμογών με την υπ' αριθμόν 6953/2007 πράξη του και που αντίτυπό του σε φωτοσμίκρυνση δημοσιεύεται με το παρόν διάταγμα.

 

pd.23.5.07



Copyright © 2020 TechnoLogismiki. Με την επιφύλαξη παντός δικαιώματος.