Προεδρικό διάταγμα 23/4/10 - Άρθρο 1

Άρθρο 1


Συνδεθείτε στην Υπηρεσία Νομοσκόπιο
Είσοδος στην υπηρεσία Νομοσκόπιο.
   
Χρήστης
Κωδικός
  Υπενθύμιση στοιχείων λογαριασμού
   
 
Νέοι χρήστες
Εάν είστε νέος χρήστης, θα πρέπει να δημιουργήσετε ένα ΔΩΡΕΑΝ λογαριασμό προκειμένου να φύγει το παράθυρο αυτό και να αποκτήσετε πλήρη πρόσβαση στην υπηρεσία Νομοσκόπιο.
Δημιουργία νέου λογαριασμού

 

 

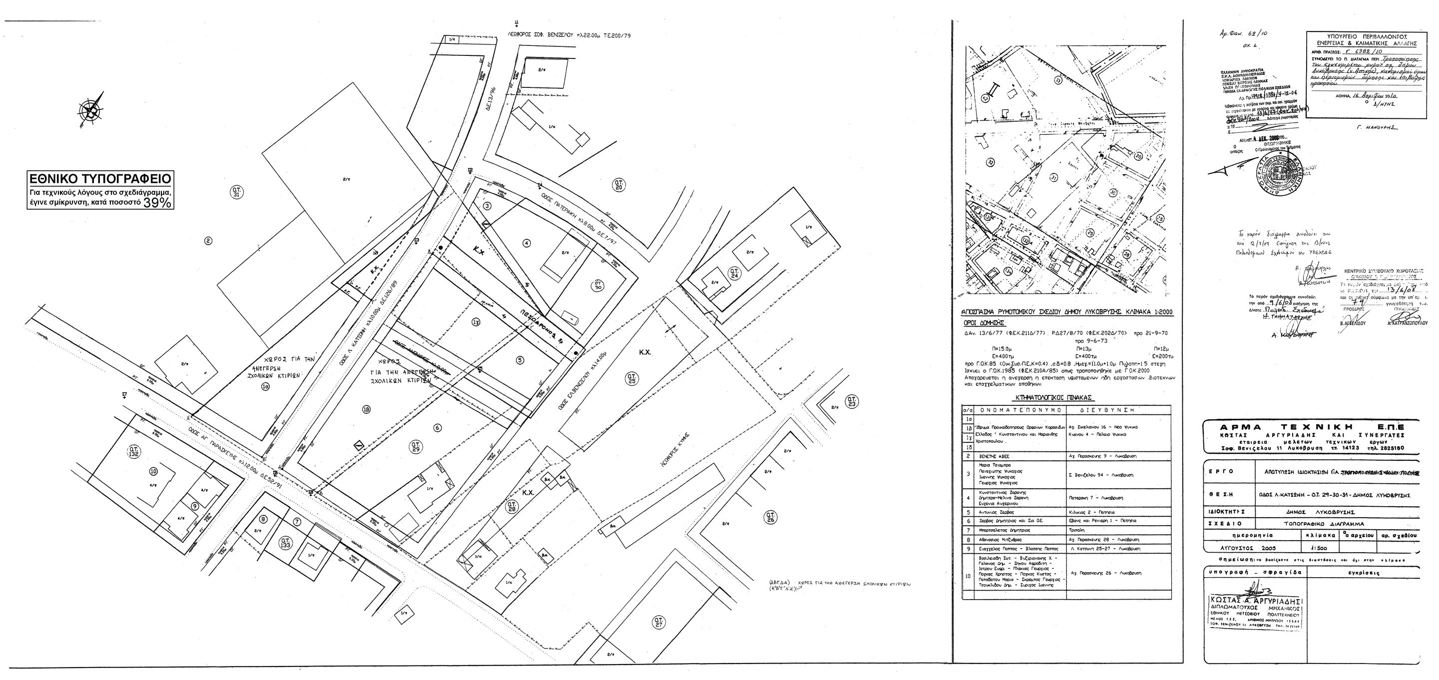
Εγκρίνεται η τροποποίηση του εγκεκριμένου ρυμοτομικού σχεδίου του δήμου Λυκόβρυσης (Νομού Αττικής) στα Οικοδομικά Τετράγωνα 29, 30 και 31 και ειδικότερα:

 

α) στα Οικοδομικά Τετράγωνα 29 και 30 με την κατάργηση της μεταξύ αυτών οδού, την έγκριση πεζοδρόμου εντός του Οικοδομικού Τετραγώνου 30, την ενοποίηση του Οικοδομικού Τετραγώνου 29 και τμήματος του Οικοδομικού Τετραγώνου 30 για τη δημιουργία χώρου ανέγερσης σχολικών κτιρίων, τον καθορισμό κοινοχρήστου χώρου και τη δημιουργία νέου οικοδομικού τετραγώνου και

 

β) στο Οικοδομικό Τετράγωνο 31 με τη μετατροπή τμημάτων αυτού σε χώρο για την ανέγερση σχολικών κτιρίων και κοινόχρηστο χώρο,

 

όπως οι παραπάνω ρυθμίσεις φαίνονται στο σχετικό πρωτότυπο διάγραμμα σε κλίμακα 1:500 που θεωρήθηκε από τον Προϊστάμενο της Διεύθυνσης Τοπογραφικών Εφαρμογών με την 6382/2010 πράξη του και που αντίτυπό του σε φωτοσμίκρυνση δημοσιεύεται με το παρόν προεδρικό διάταγμα.

 

pd.23.4.10



Copyright © 2020 TechnoLogismiki. Με την επιφύλαξη παντός δικαιώματος.