Προεδρικό διάταγμα 19/8/10 - Άρθρο 1

Άρθρο 1


Συνδεθείτε στην Υπηρεσία Νομοσκόπιο
Είσοδος στην υπηρεσία Νομοσκόπιο.
   
Χρήστης
Κωδικός
  Υπενθύμιση στοιχείων λογαριασμού
   
 
Νέοι χρήστες
Εάν είστε νέος χρήστης, θα πρέπει να δημιουργήσετε ένα ΔΩΡΕΑΝ λογαριασμό προκειμένου να φύγει το παράθυρο αυτό και να αποκτήσετε πλήρη πρόσβαση στην υπηρεσία Νομοσκόπιο.
Δημιουργία νέου λογαριασμού

 

 

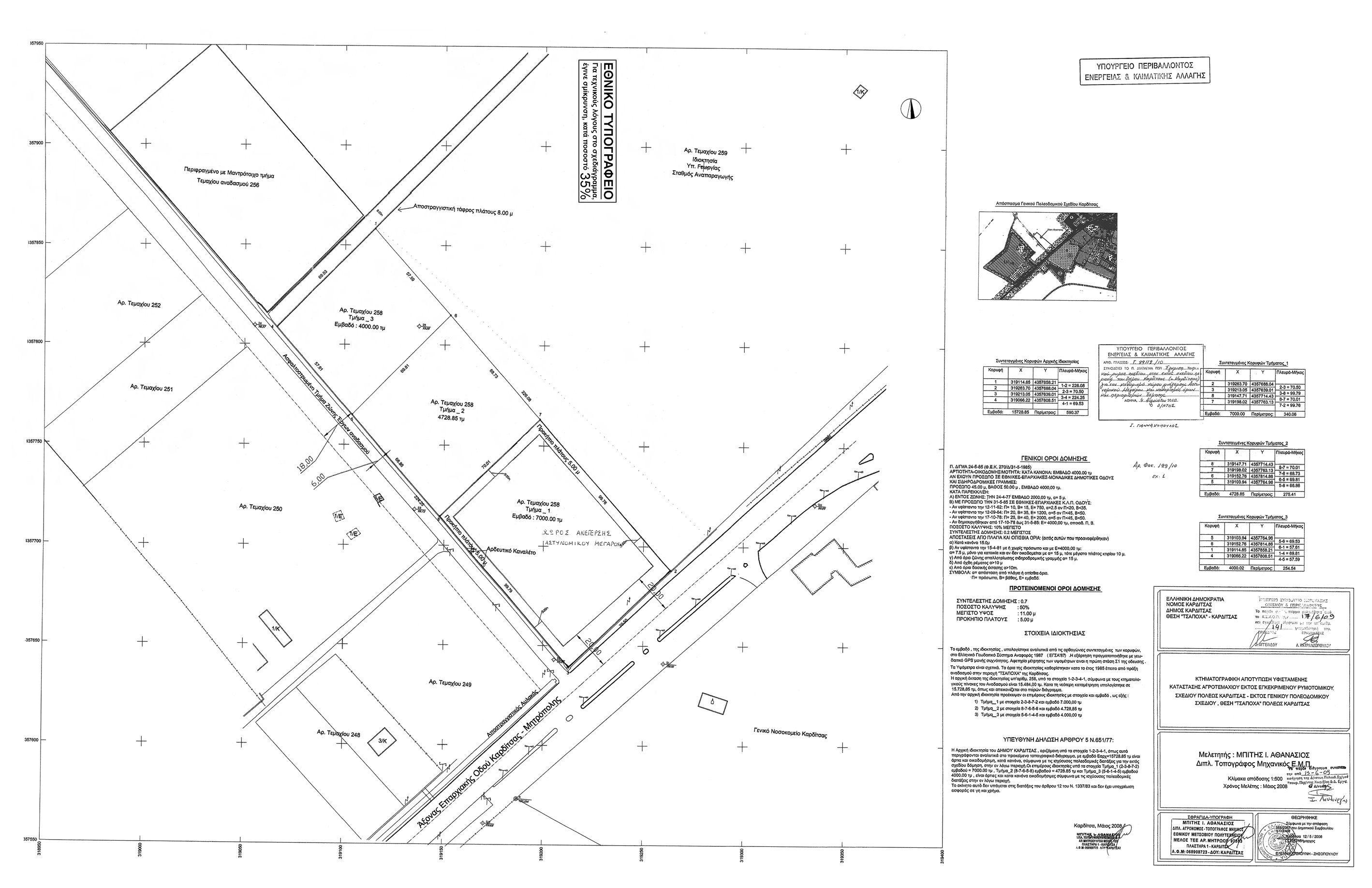
Εγκρίνεται τοπικό ρυμοτομικό σχέδιο σε εκτός σχεδίου περιοχή του Δήμου Καρδίτσας (νομού Καρδίτσας) για τον καθορισμό χώρου ανέγερσης Αστυνομικού Μεγάρου, όπως ο χώρος φαίνεται περικλεισμένος με πράσινη γραμμή, στο σχετικό πρωτότυπο διάγραμμα σε κλίμακα 1:500, που θεωρήθηκε από τον Προϊστάμενο της Διεύθυνσης Τοπογραφικών Εφαρμογών με την 29112/2010 πράξη του και που αντίτυπο του σε φωτοσμίκρυνση δημοσιεύεται με το παρόν διάταγμα.

 

pd.19.8.10



Copyright © 2020 TechnoLogismiki. Με την επιφύλαξη παντός δικαιώματος.