Προεδρικό διάταγμα 18/2/09d - Άρθρο 1

Άρθρο 1


Συνδεθείτε στην Υπηρεσία Νομοσκόπιο
Είσοδος στην υπηρεσία Νομοσκόπιο.
   
Χρήστης
Κωδικός
  Υπενθύμιση στοιχείων λογαριασμού
   
 
Νέοι χρήστες
Εάν είστε νέος χρήστης, θα πρέπει να δημιουργήσετε ένα ΔΩΡΕΑΝ λογαριασμό προκειμένου να φύγει το παράθυρο αυτό και να αποκτήσετε πλήρη πρόσβαση στην υπηρεσία Νομοσκόπιο.
Δημιουργία νέου λογαριασμού

 

 

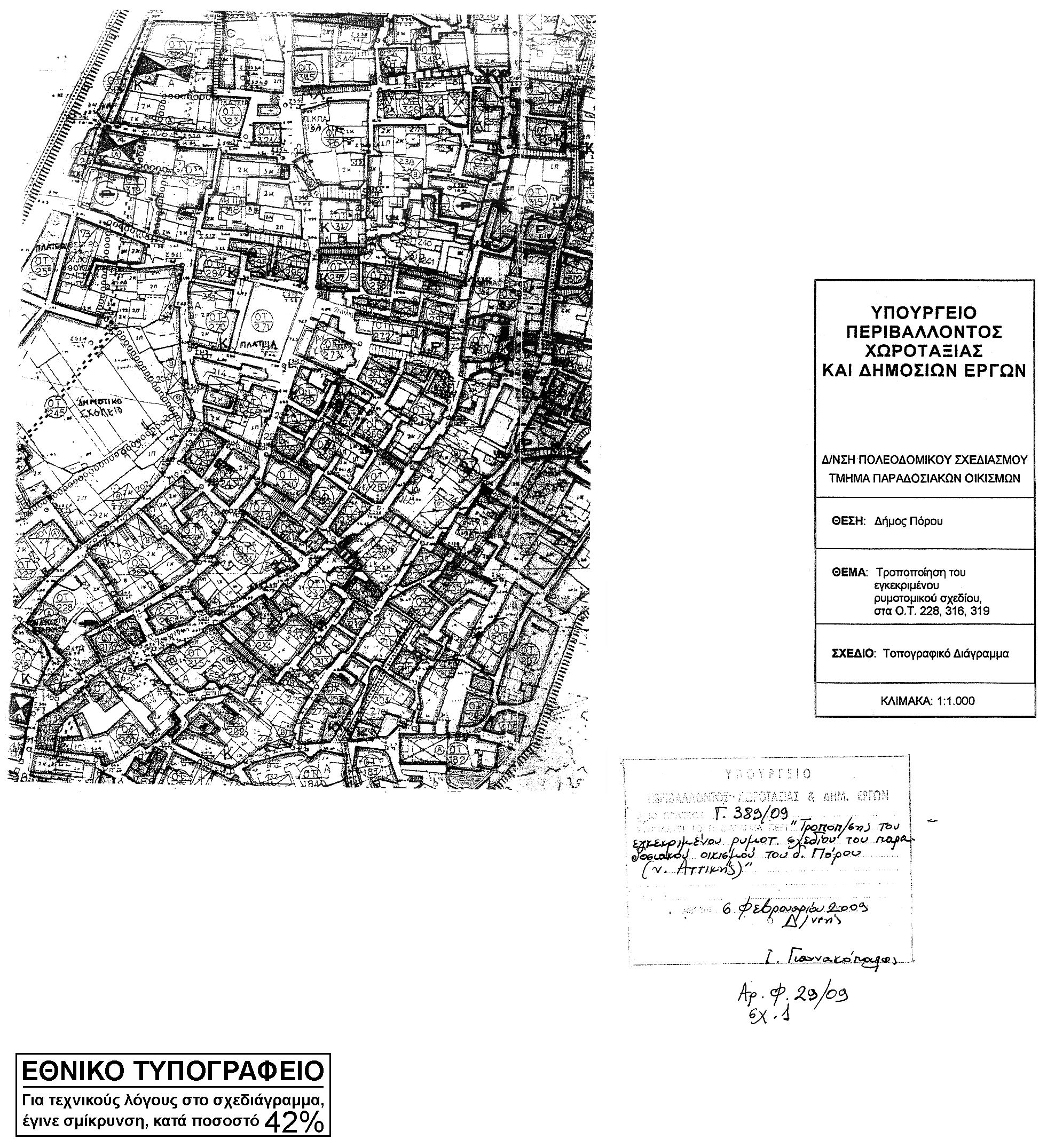
Εγκρίνεται η τροποποίηση του εγκεκριμένου ρυμοτομικού σχεδίου του Δήμου Πόρου (Νομός Αττικής), ο οποίος έχει κηρυχθεί ως παραδοσιακός με το από 03-09-1993 προεδρικό διάταγμα (ΦΕΚ 1200/Δ/1993) και ειδικότερα στα Οικοδομικά Τετράγωνα 228, 316 και 319 με τη μετατροπή τους από χώρους στάθμευσης αυτοκινήτων (Ρ) σε οικοδομήσιμα, όπως φαίνεται στο σχετικό πρωτότυπο διάγραμμα σε κλίμακα 1:1000, που θεωρήθηκε από τον Προϊστάμενο της Διεύθυνσης Τοπογραφικών Εφαρμογών με την υπ' αριθμόν 389/2009 πράξη του και που αντίτυπο του σε φωτοσμίκρυνση δημοσιεύεται με το παρόν διάταγμα.

 

pd.18.2.09d



Copyright © 2020 TechnoLogismiki. Με την επιφύλαξη παντός δικαιώματος.