Προεδρικό διάταγμα 17/10/84 - Άρθρο 1

Άρθρο 1


Συνδεθείτε στην Υπηρεσία Νομοσκόπιο
Είσοδος στην υπηρεσία Νομοσκόπιο.
   
Χρήστης
Κωδικός
  Υπενθύμιση στοιχείων λογαριασμού
   
 
Νέοι χρήστες
Εάν είστε νέος χρήστης, θα πρέπει να δημιουργήσετε ένα ΔΩΡΕΑΝ λογαριασμό προκειμένου να φύγει το παράθυρο αυτό και να αποκτήσετε πλήρη πρόσβαση στην υπηρεσία Νομοσκόπιο.
Δημιουργία νέου λογαριασμού

 

 

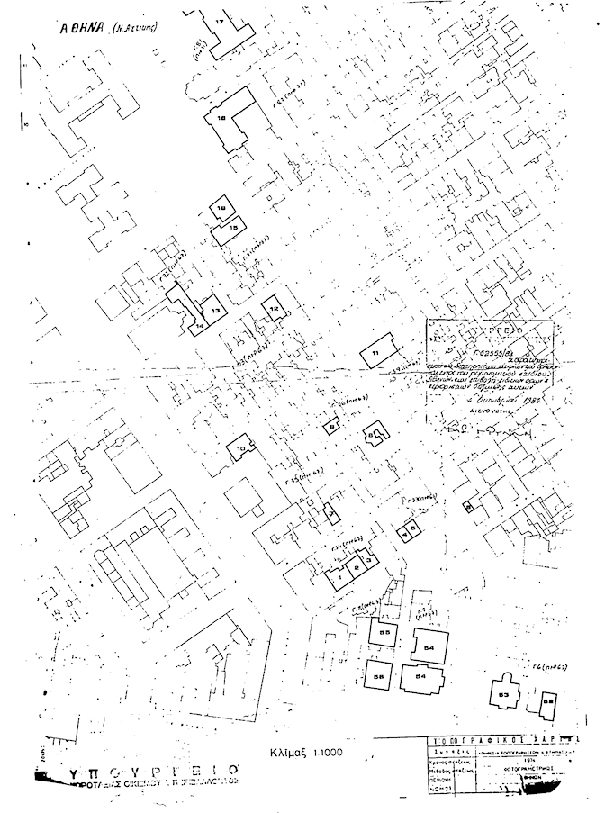
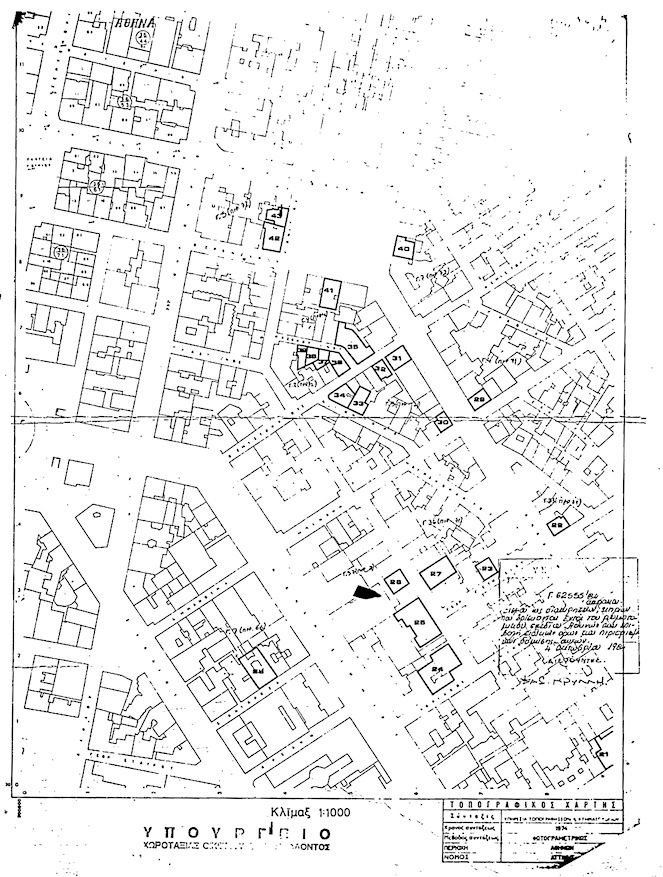
Χαρακτηρίζονται ως διατηρητέα, 56 κτίρια του ρυμοτομικού σχεδίου Αθηνών που βρίσκονται στις οδούς:

 

1. Κριεζώτου 3

2. Κριεζώτου 5

3. Κριεζώτου 7

4. Κριεζώτου 11 και Βαλαωρίτου 2

5. Κριεζώτου 11

6. Ακαδημίας 14

7. Βουκουρεστίου 17

8. Ακαδημίας 23

9. Βαλαωρίτου 16

10. Αμερικής 8

11. Ακαδημίας 30 και Λυκαβηττού 2

12. Ομήρου 22

13. Ομήρου 11 και Βησσαρίωνος 1

14. Ομήρου 9

15. Ακαδημίας 45

16. Ακαδημίας 47 και Σίνα

17. Ακαδημίας 50 Μασσαλίας, Σόλωνος και Ασκληπιού (Πνευματικό κτίριο Δήμου Αθηναίων)

18. Ακαδημίας 46-48 και Μασσαλίας (Πανεπιστήμιο Αθηνών)

19. Κοραή 5

20. Πεσμαζόγλου 12 (Ιονική - Λαϊκή Τράπεζα)

21. Ακαδημίας 55 και Ιπποκράτους

22. Ακαδημίας 70 και Ζωοδόχου Πηγής 1

23. Γεωργίου Γενναδίου 5

24. Φειδίου 1 και Χαριλάου Τρικούπη 3

25. Φειδίου 3

26. Φειδίου 5

27. Φειδίου 8

28. Σανταρόζα 3

29. Ακαδημίας 82 και Εμμανουήλ Μπενάκη 21

30. Ακαδημίας 77 και Εμμανουήλ Μπενάκη 19

31. Ακαδημίας 89 και Θεμιστοκλέους 32

32. Θεμιστοκλέους 18

33. Νικηταρά 12

34. Θεμιστοκλέους 10 και Νικηταρά 14

35. Κατακουζηνού 2 και Θεμιστοκλέους 17

36. Κατακουζηνού 1 και Θεμιστοκλέους 15

37. Κατακουζηνού 3

38. Κατακουζηνού 5

39. Κατακουζηνού 7

40. Τζορτζ 4

41. Βερανζέρου 3

42. Κάνιγγος 15 και Βερανζέρου 2

43. Κάνιγγος 17

44. Πλατεία Παύλου Μελά και Ρηγίλλης (Σαρόγλεια Λέσχη Αξιωματικών)

45. Μουρούζη 16 και Ρηγίλλης 2

46. Βασιλίσσης Σοφίας 18 - Πλατεία Π. Μελά και Μουρούζη 19

47. Βασιλίσσης Σοφίας 16 - Μουρούζη 17

48. Βασιλίσσης Σοφίας 4 - Μουρούζη 3

49. Βασιλίσσης Σοφίας 31 και Ηροδότου 1 (πρώην Καναδική Πρεσβεία)

50. Βασιλίσσης Σοφίας 17 και Κουμπάρη 1 (Μουσείο Μπενάκη)

51. Βασιλίσσης Σοφίας 13 και Σέκερη 2 (Ιταλική Πρεσβεία)

52. Βασιλίσσης Σοφίας 9 και Μέρλιν 1

53. Βασιλίσσης Σοφίας και Ακαδημίας 2 (Γαλλική Πρεσβεία)

54. Βασιλίσσης Σοφίας και Ζαλοκώστα (Υπουργείο Εξωτερικών)

55. Ζαλοκώστα 3 (Υπουργείο Προεδρίας Κυβέρνησης)

56. Βασιλίσσης Σοφίας και Ζαλοκώστα (Αιγυπτιακή Πρεσβεία)

 

όπως φαίνονται με μαύρο περίγραμμα στα 6 σχετικά πρωτότυπα διαγράμματα, σε κλίμακα 1:1.000, που θεωρήθηκαν από τον Προϊστάμενο της Διεύθυνσης Πολεοδομικών Εφαρμογών με την υπ' αριθμόν 62555/1984 πράξη του και που αντίτυπά τους δημοσιεύονται συνοπτικά με το παρόν Διάταγμα.

 

pd.17.10.84.1

pd.17.10.84.2

pd.17.10.84.3

pd.17.10.84.4

pd.17.10.84.5

pd.17.10.84.6

 



Copyright © 2020 TechnoLogismiki. Με την επιφύλαξη παντός δικαιώματος.