Προεδρικό διάταγμα 17/10/03 - Άρθρο 2

Άρθρο 2


Συνδεθείτε στην Υπηρεσία Νομοσκόπιο
Είσοδος στην υπηρεσία Νομοσκόπιο.
   
Χρήστης
Κωδικός
  Υπενθύμιση στοιχείων λογαριασμού
   
 
Νέοι χρήστες
Εάν είστε νέος χρήστης, θα πρέπει να δημιουργήσετε ένα ΔΩΡΕΑΝ λογαριασμό προκειμένου να φύγει το παράθυρο αυτό και να αποκτήσετε πλήρη πρόσβαση στην υπηρεσία Νομοσκόπιο.
Δημιουργία νέου λογαριασμού

 

 

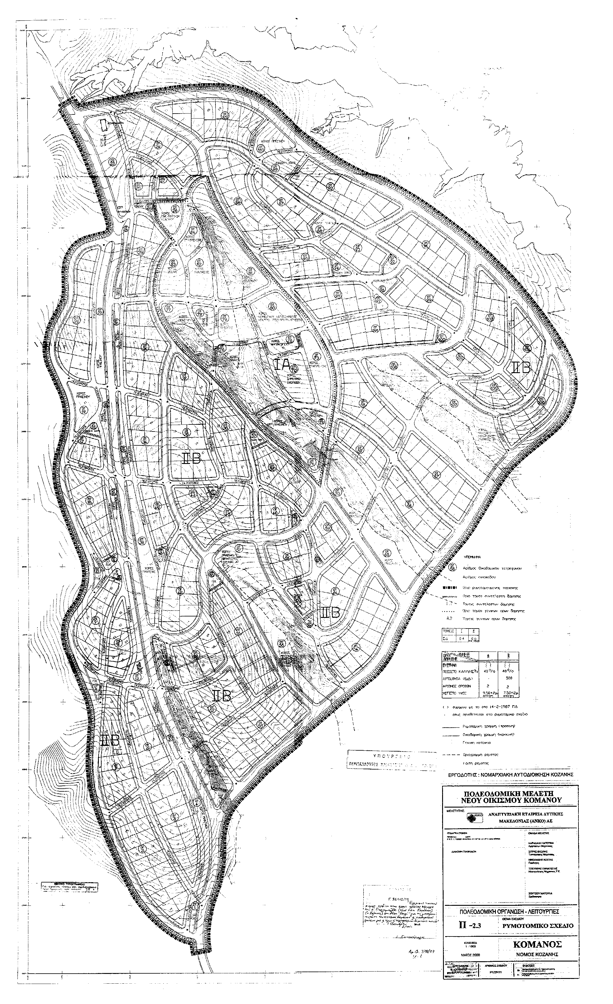
Εγκρίνεται τοπικό ρυμοτομικό σχέδιο στην εκτός σχεδίου περιοχή του δήμου Πτολεμαΐδας (τέως κοινότητας Κομάνου) (νομού Κοζάνης), στη θέση Κουρί για τη μετεγκατάσταση του οικισμού Κομάνου με τον καθορισμό οικοδομικών τετραγώνων, οδών, πεζοδρόμων, κοινοχρήστων χώρων, χώρων παιδικής χαράς, πρασίνου, πλατείας, στάθμευσης αυτοκινήτων, πρασίνου - αθλητισμού (πυρήνας Α), πρασίνου - αθλητισμού (πυρήνας Β), χώρου πνευματικού κέντρου, εκκλησίας, υγείας, πρόνοιας, δημοτικού σχολείου, νηπιαγωγείου, πάρκου, κοινοτικού καταστήματος - κέντρου πολλαπλών χρήσεων, όπως οι ρυθμίσεις αυτές φαίνονται στο σχετικό πρωτότυπο διάγραμμα σε κλίμακα 1:1000 που θεωρήθηκε από τον Προϊστάμενο της Διεύθυνσης Τοπογραφικών Εφαρμογών με την 36412/2003 πράξη του και που αντίτυπό του σε φωτοσμίκρυνση δημοσιεύεται με το παρόν διάταγμα.

 

pd.17.10.03



Copyright © 2020 TechnoLogismiki. Με την επιφύλαξη παντός δικαιώματος.