Προεδρικό διάταγμα 16/9/98 - Άρθρο 1

Άρθρο 1


Συνδεθείτε στην Υπηρεσία Νομοσκόπιο
Είσοδος στην υπηρεσία Νομοσκόπιο.
   
Χρήστης
Κωδικός
  Υπενθύμιση στοιχείων λογαριασμού
   
 
Νέοι χρήστες
Εάν είστε νέος χρήστης, θα πρέπει να δημιουργήσετε ένα ΔΩΡΕΑΝ λογαριασμό προκειμένου να φύγει το παράθυρο αυτό και να αποκτήσετε πλήρη πρόσβαση στην υπηρεσία Νομοσκόπιο.
Δημιουργία νέου λογαριασμού

 

 

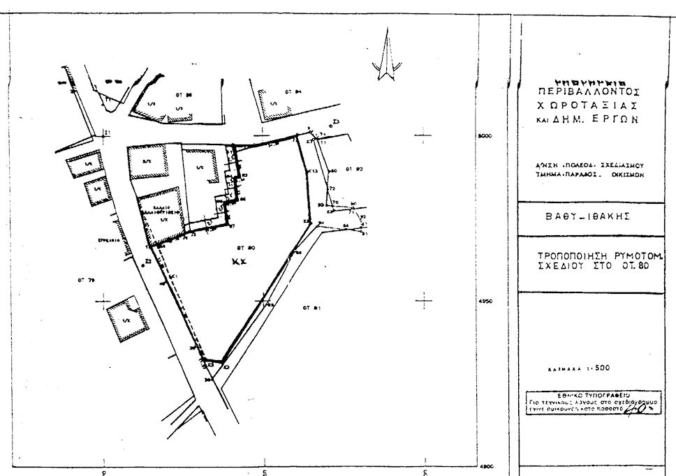
Εγκρίνεται η τροποποίηση του εγκεκριμένου ρυμοτομικού σχεδίου, στην περιοχή Γελατέικα, του οικισμού Βαθύ, του Δήμου Ιθάκης (Νομού Κεφαλληνίας), ο οποίος έχει χαρακτηρισθεί ως παραδοσιακός με το από 19-10-1978 προεδρικό διάταγμα (ΦΕΚ 594/Δ/1978) και ειδικότερα στο οικοδομικό τετράγωνο 80 με τη μετατόπιση ρυμοτομικής - οικοδομικής γραμμής και της μετατροπή τμήματος αυτού σε κοινόχρηστο χώρο, όπως φαίνεται στο σχετικό πρωτότυπο διάγραμμα σε κλίμακα 1:500, που θεωρήθηκε από τον Προϊστάμενο της Διεύθυνσης Τοπογραφικών Εφαρμογών με την 20362/1998 πράξη του και που αντίτυπό του σε φωτοσμίκρυνση δημοσιεύεται με το παρόν διάταγμα.

 

pd.16.9.98



Copyright © 2020 TechnoLogismiki. Με την επιφύλαξη παντός δικαιώματος.