Προεδρικό διάταγμα 15/1/86e - Άρθρο 1

Άρθρο 1


Συνδεθείτε στην Υπηρεσία Νομοσκόπιο
Είσοδος στην υπηρεσία Νομοσκόπιο.
   
Χρήστης
Κωδικός
  Υπενθύμιση στοιχείων λογαριασμού
   
 
Νέοι χρήστες
Εάν είστε νέος χρήστης, θα πρέπει να δημιουργήσετε ένα ΔΩΡΕΑΝ λογαριασμό προκειμένου να φύγει το παράθυρο αυτό και να αποκτήσετε πλήρη πρόσβαση στην υπηρεσία Νομοσκόπιο.
Δημιουργία νέου λογαριασμού

 

 

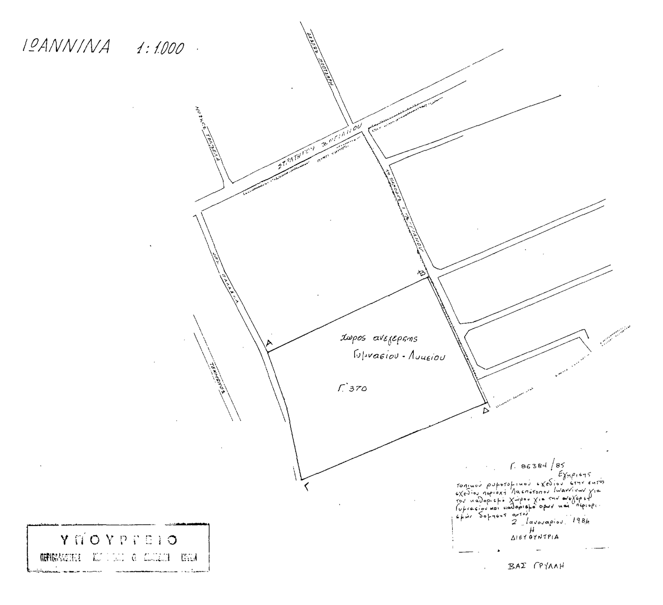
Εγκρίνεται τοπικό ρυμοτομικό σχέδιο για τον καθορισμό χώρου για την ανέγερση Γυμνασίου - Λυκείου στην εκτός σχεδίου περιοχή Λασπότοπου Ιωαννίνων, όπως φαίνεται με τα στοιχεία Λ, Β, Γ, Δ στο σχετικό πρωτότυπο διάγραμμα σε κλίμακα 1:1000 που έχει θεωρηθεί από τον Προϊστάμενο της Διεύθυνσης Πολεοδομικών Εφαρμογών με την υπ' αριθμόν 86384/1985 πράξη του αντίτυπο δημοσιεύεται με το παρόν διάταγμα.

 

pd.15.1.86e



Copyright © 2020 TechnoLogismiki. Με την επιφύλαξη παντός δικαιώματος.