Προεδρικό διάταγμα 14/4/10 - Άρθρο 1

Άρθρο 1


Συνδεθείτε στην Υπηρεσία Νομοσκόπιο
Είσοδος στην υπηρεσία Νομοσκόπιο.
   
Χρήστης
Κωδικός
  Υπενθύμιση στοιχείων λογαριασμού
   
 
Νέοι χρήστες
Εάν είστε νέος χρήστης, θα πρέπει να δημιουργήσετε ένα ΔΩΡΕΑΝ λογαριασμό προκειμένου να φύγει το παράθυρο αυτό και να αποκτήσετε πλήρη πρόσβαση στην υπηρεσία Νομοσκόπιο.
Δημιουργία νέου λογαριασμού

 

 

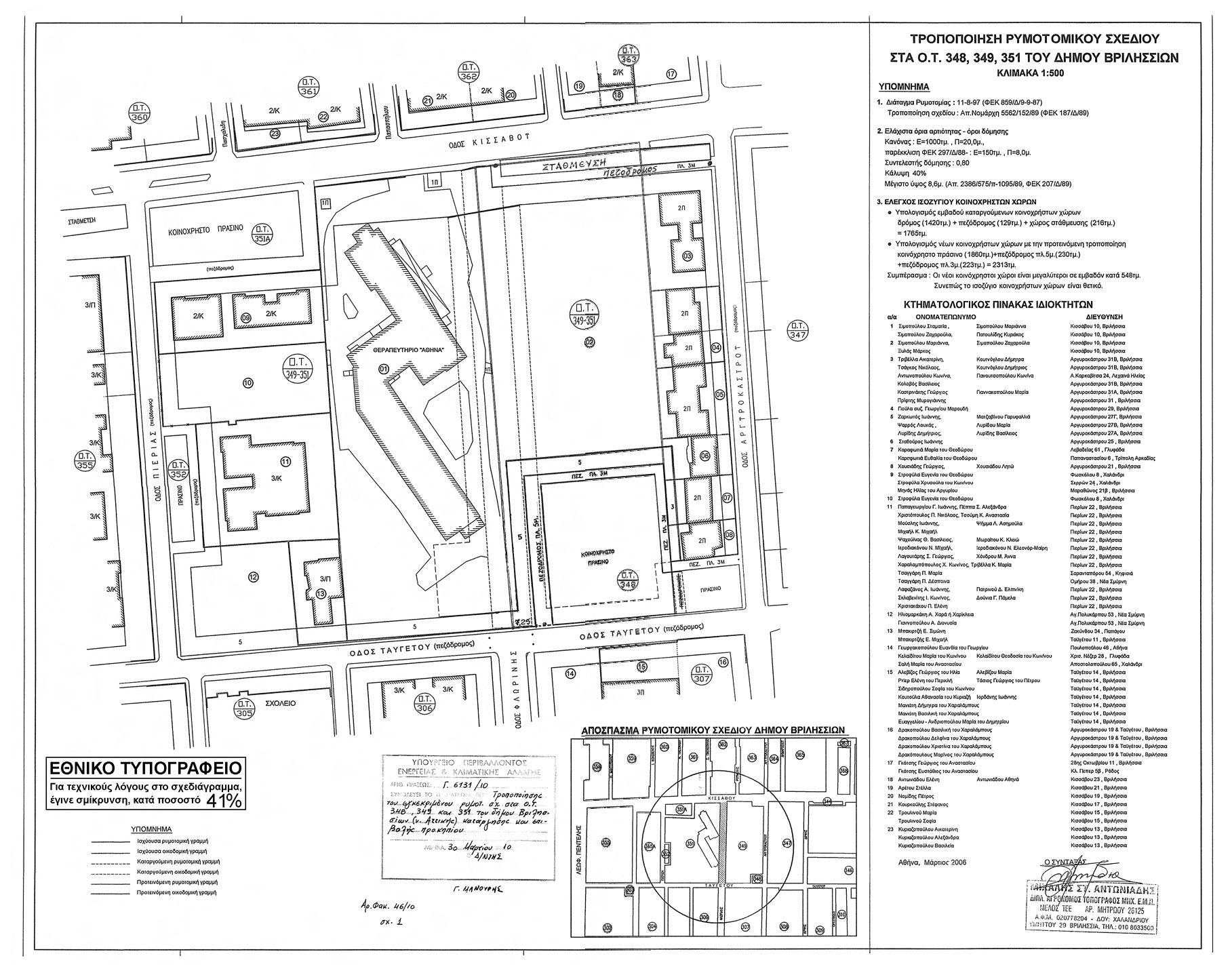
Εγκρίνεται η τροποποίηση του εγκεκριμένου ρυμοτομικού σχεδίου του Δήμου Βριλησσίων (νομού Αττικής) και ειδικότερα με την κατάργηση τμήματος οδού μεταξύ των οικοδομικών τετραγώνων 349 και 351 και τη δημιουργία νέου ενιαίου Οικοδομικού Τετραγώνου (349 - 351), το καθορισμό κοινοχρήστου χώρου πρασίνου, την κατάργηση και έγκριση πεζοδρόμων και το καθορισμό χώρου στάθμευσης κατ' επέκταση του ήδη υφισταμένου μέχρι την οδό Αργυροκάστρου, όπως οι ρυθμίσεις αυτές φαίνονται στο σχετικό πρωτότυπο διάγραμμα σε κλίμακα 1:500 που θεωρήθηκε από τον Προϊστάμενο της Διεύθυνσης Τοπογραφικών Εφαρμογών του Υπουργείου Περιβάλλοντος, Ενέργειας και Κλιματικής Αλλαγής, με την αριθμόν 6131/2010 πράξη του και που αντίτυπό του σε φωτοσμίκρυνση δημοσιεύεται με το παρόν διάταγμα.

 

pd.14.4.10



Copyright © 2020 TechnoLogismiki. Με την επιφύλαξη παντός δικαιώματος.