Προεδρικό διάταγμα 12/2/80b - Άρθρο 1

Άρθρο 1


Συνδεθείτε στην Υπηρεσία Νομοσκόπιο
Είσοδος στην υπηρεσία Νομοσκόπιο.
   
Χρήστης
Κωδικός
  Υπενθύμιση στοιχείων λογαριασμού
   
 
Νέοι χρήστες
Εάν είστε νέος χρήστης, θα πρέπει να δημιουργήσετε ένα ΔΩΡΕΑΝ λογαριασμό προκειμένου να φύγει το παράθυρο αυτό και να αποκτήσετε πλήρη πρόσβαση στην υπηρεσία Νομοσκόπιο.
Δημιουργία νέου λογαριασμού

 

 

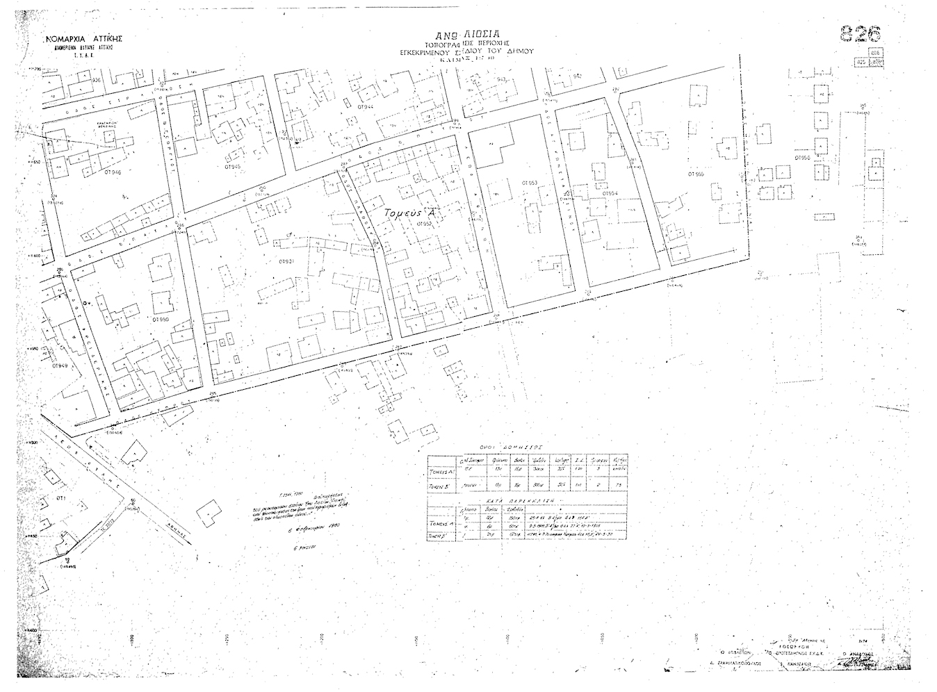
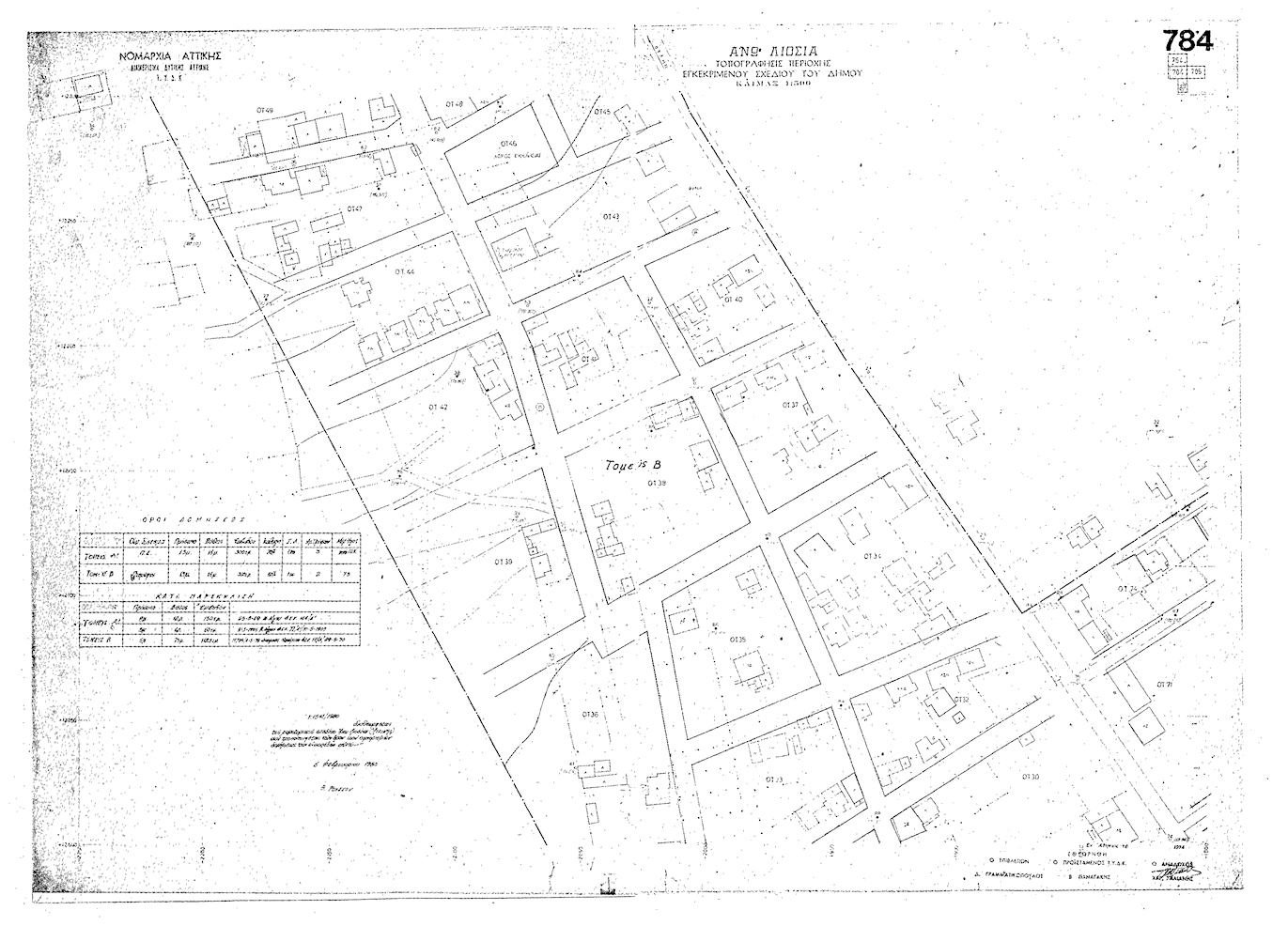
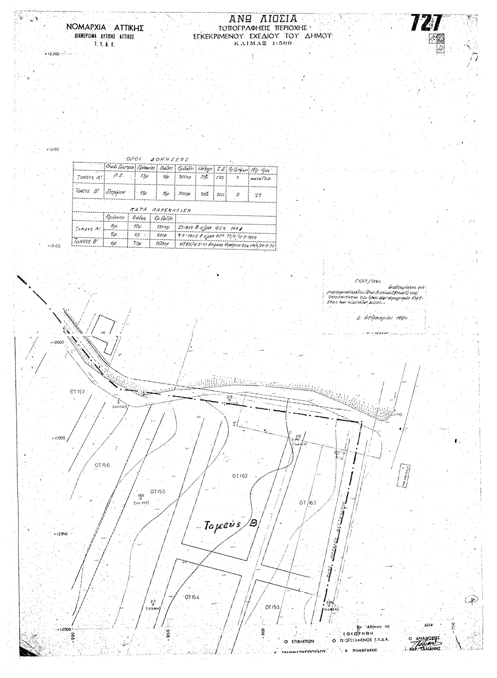
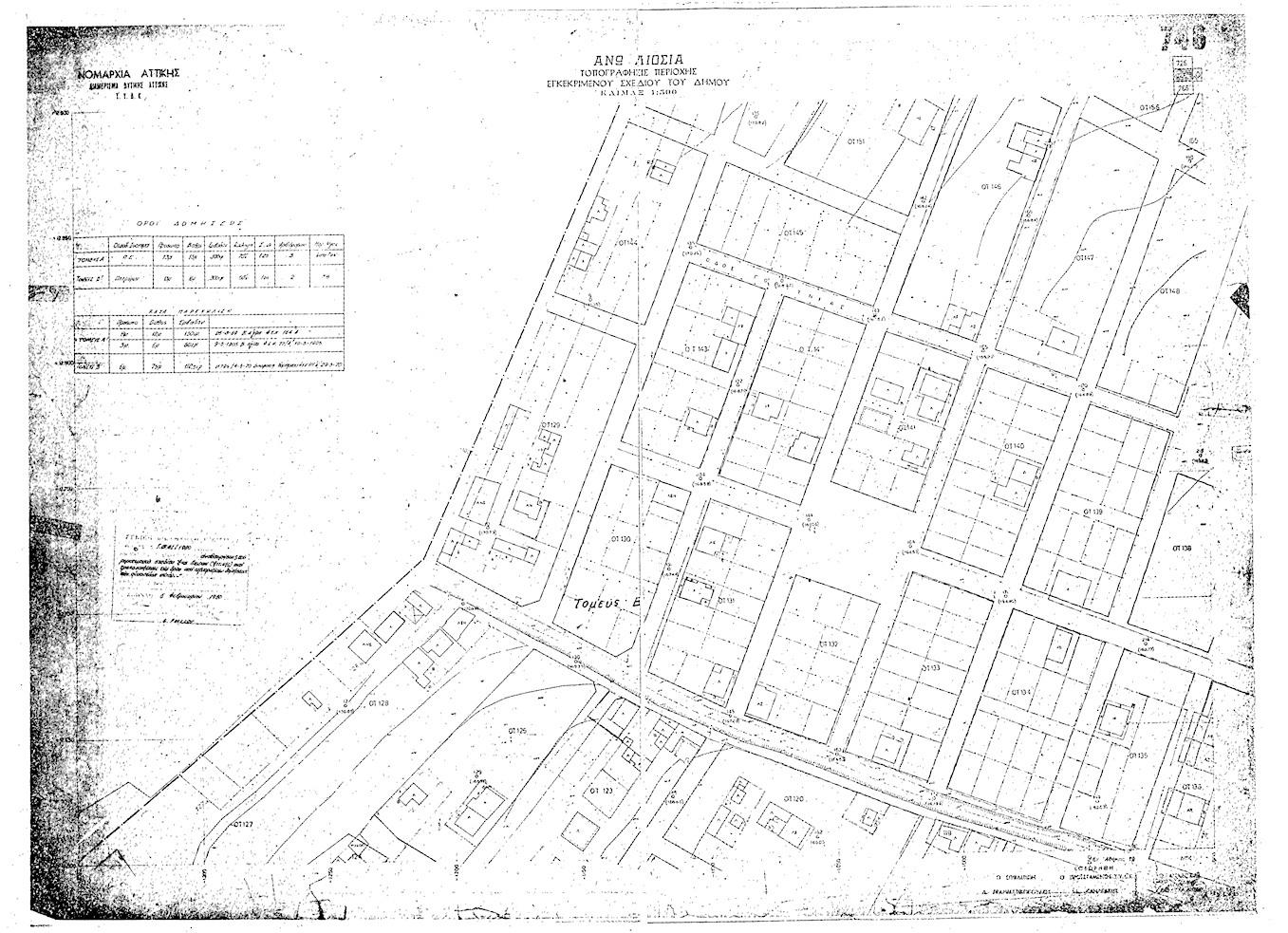
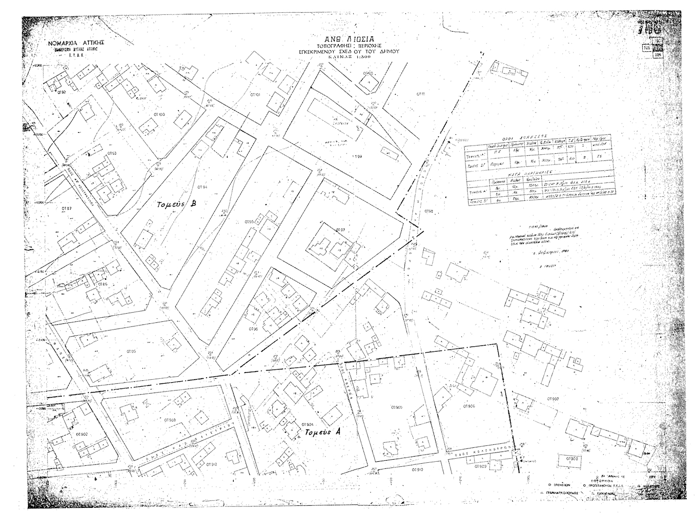
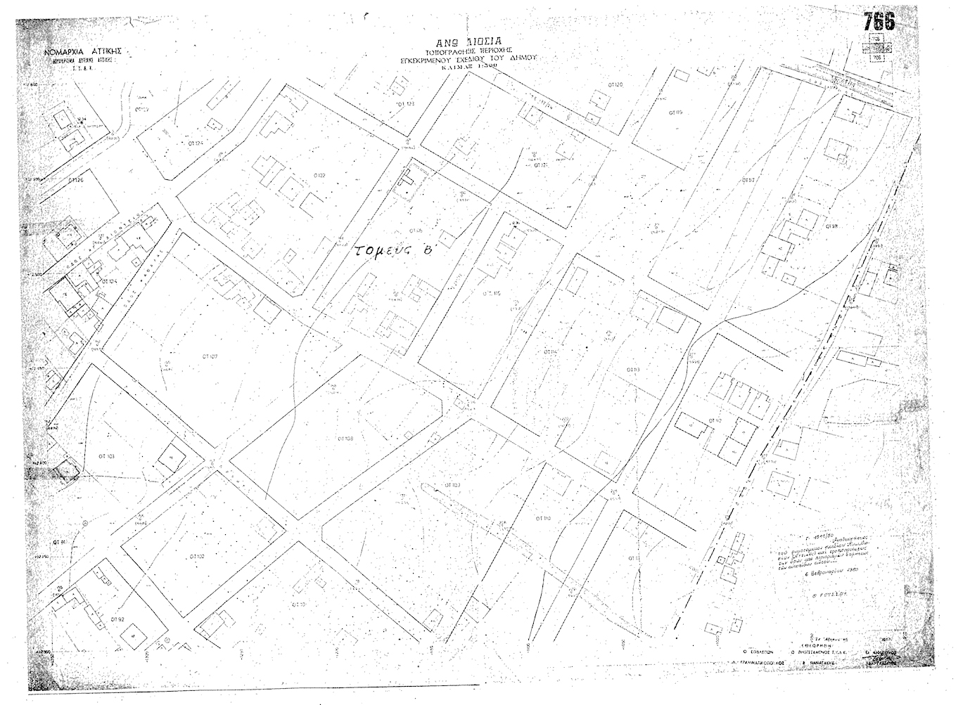
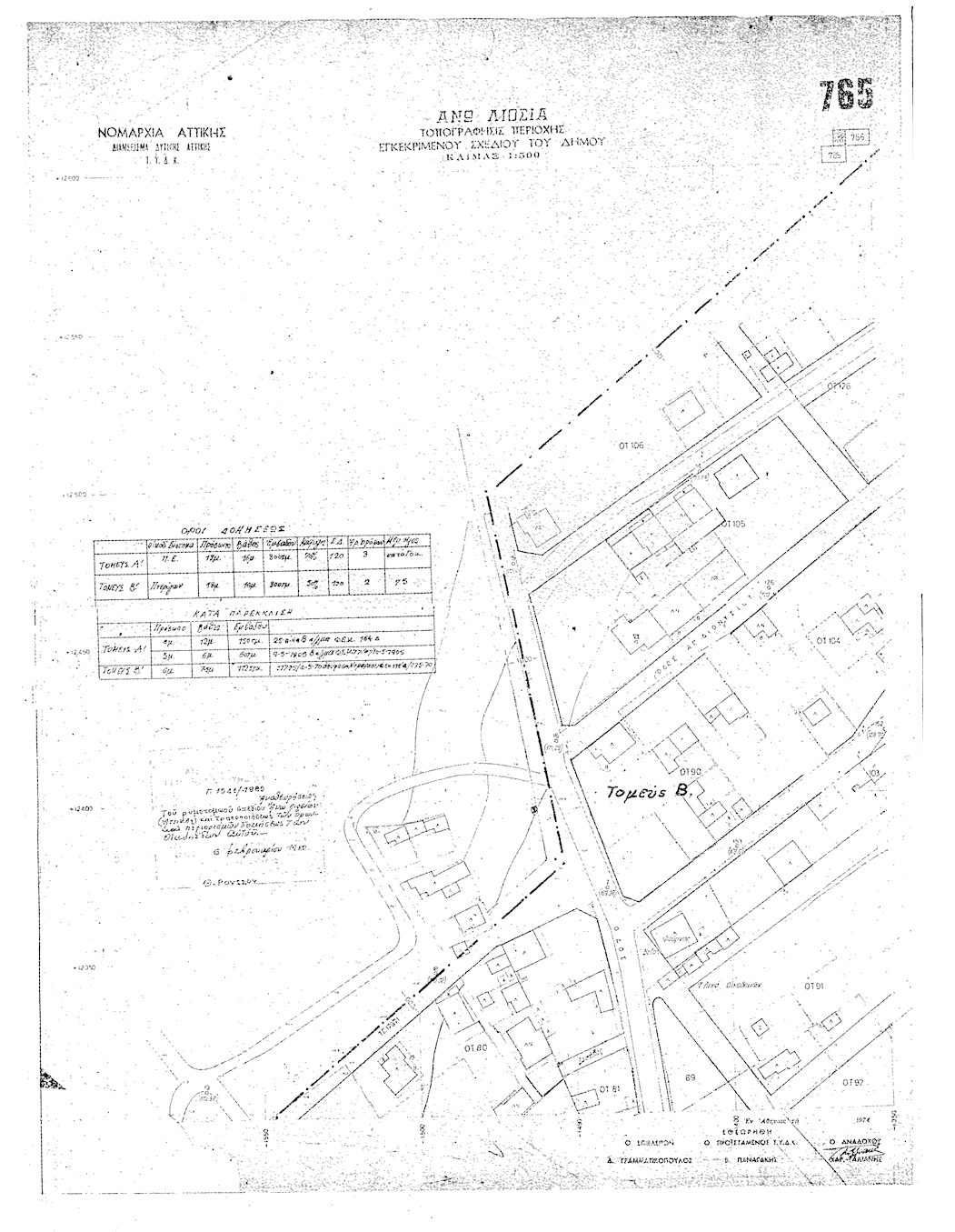
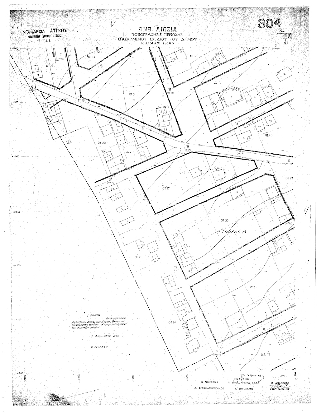
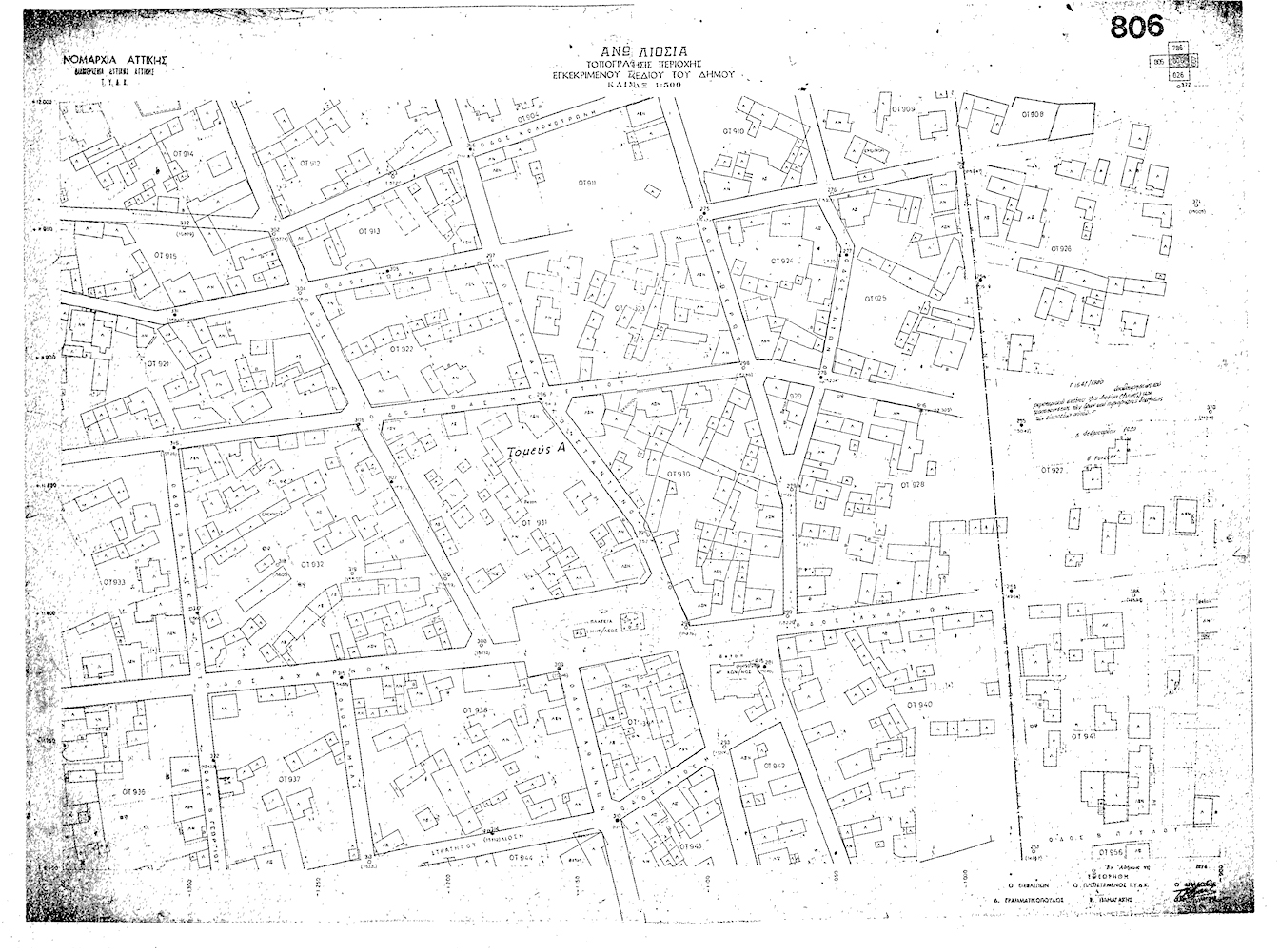
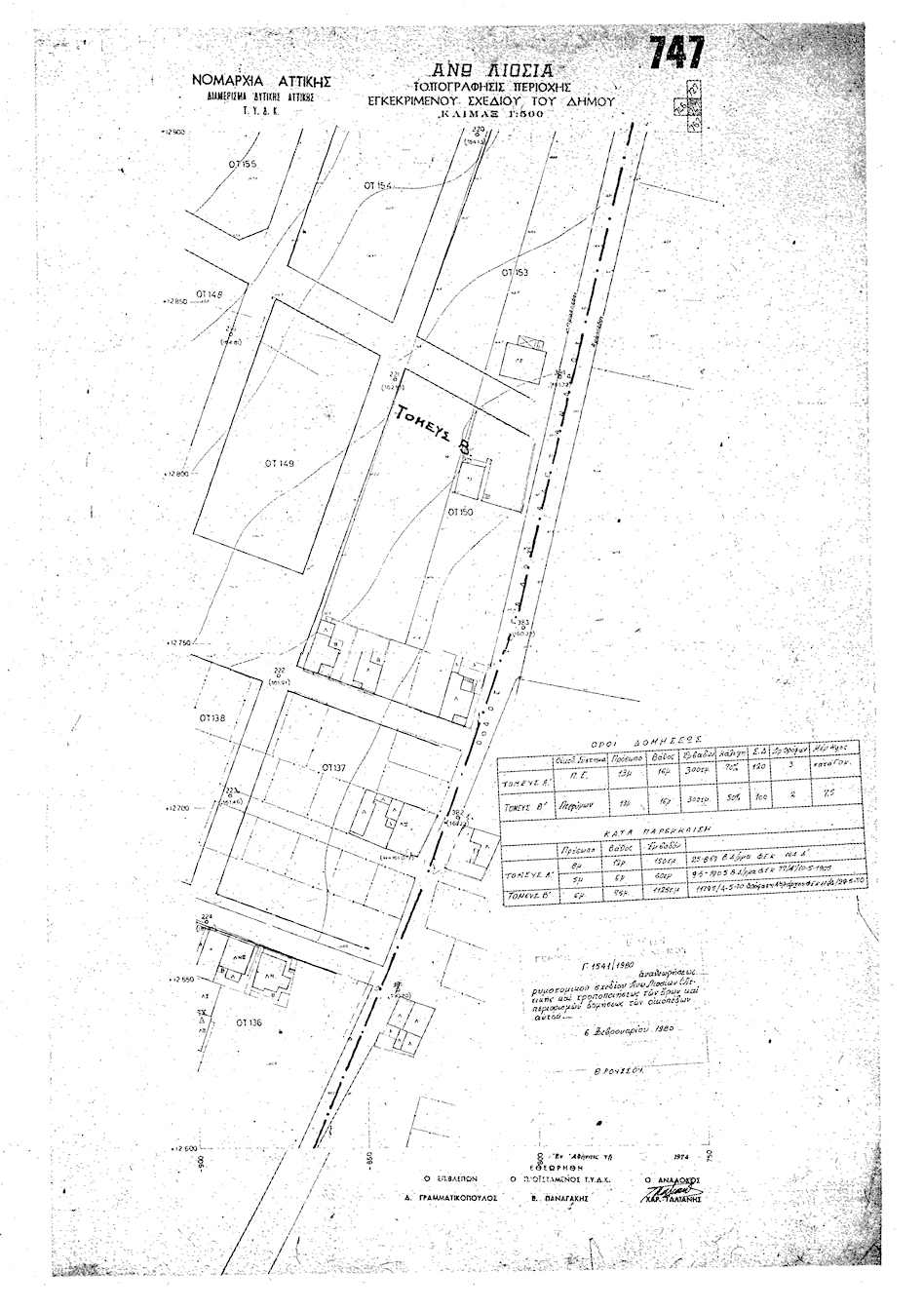
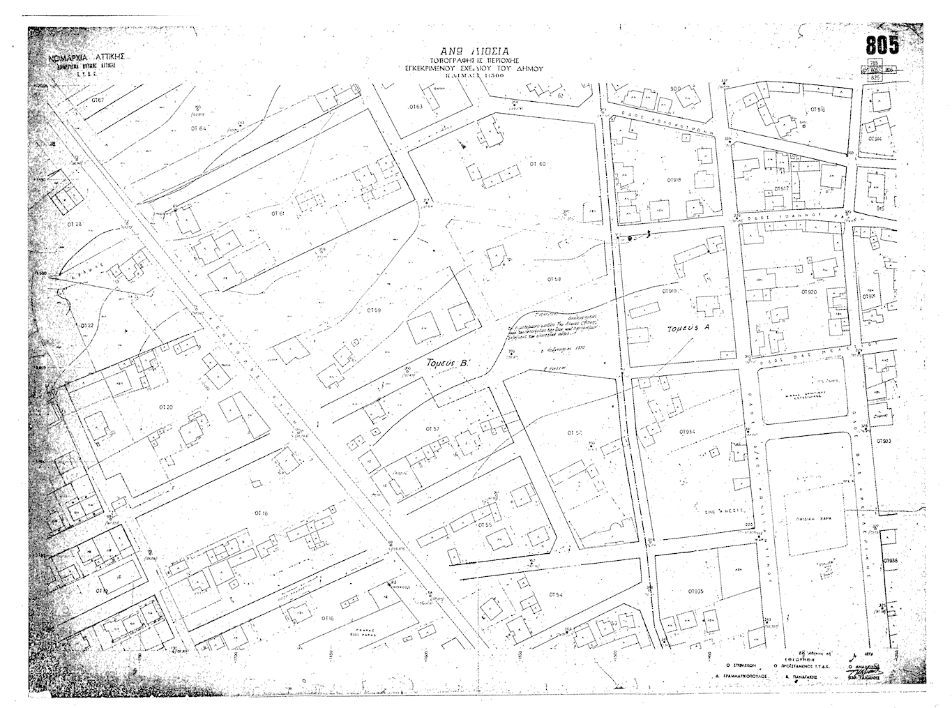
Εγκρίνεται η αναθεώρησις του ρυμοτομικού σχεδίου Άνω Λιοσίων (Αττικής) κατά τομείς Α και Β, εμφαινόμενους εις τα υπό του Γενικού Διευθυντού Οικισμού θεωρημένα δια της υπ' αριθμού Γ/1541/1980 πράξεως αυτού 18 πρωτότυπα διαγράμματα 1:500, των οποίων συνοπτικά αντίτυπα δημοσιεύονται μετά του παρόντος.

 

pd.12.2.80.1

pd.12.2.80.2

pd.12.2.80.3

pd.12.2.80.4

pd.12.2.80.5

pd.12.2.80.6

pd.12.2.80.7

pd.12.2.80.8

pd.12.2.80.9

pd.12.2.80.10

pd.12.2.80.11

pd.12.2.80.12

pd.12.2.80.13

pd.12.2.80.14

pd.12.2.80.15

pd.12.2.80.16

pd.12.2.80.17

pd.12.2.80.18

 



Copyright © 2017 TechnoLogismiki. Με την επιφύλαξη παντός δικαιώματος.