| Συνδεθείτε στην Υπηρεσία Νομοσκόπιο | | | | | Νέοι χρήστες | | Εάν είστε νέος χρήστης, θα πρέπει να δημιουργήσετε ένα ΔΩΡΕΑΝ λογαριασμό προκειμένου να φύγει το παράθυρο αυτό και να αποκτήσετε πλήρη πρόσβαση στην υπηρεσία Νομοσκόπιο. | | Δημιουργία νέου λογαριασμού | | |
2.1. Πινακίδες αναγγελίας κινδύνου
1. Οι πινακίδες αναγγελίας κινδύνου πρέπει να εφιστούν την προσοχή των οδηγών στους υπάρχοντες κινδύνους. Πρέπει να τοποθετούνται εκεί όπου είναι απόλυτα απαραίτητες για την ασφάλεια της κυκλοφορίας, και εφόσον εκτιμάται ότι ένας προσεκτικός οδηγός δεν θα μπορέσει να αναγνωρίσει έγκαιρα τον κίνδυνο και να αντιδράσει σωστά.
2. Ενδείκνυται ο συνδυασμός των πινακίδων αναγγελίας κινδύνου με άλλες πινακίδες, π.χ. ρυθμιστικές. Ένας τέτοιος συνδυασμός (π.χ. πινακίδες με κωδικούς Κ-1)δ, Ρ-30 και Ρ-32, πινακίδες με κωδικούς Κ-4 και Ρ-31) μάλιστα είναι σκόπιμος, επειδή η πινακίδα αναγγελίας κινδύνου εξηγεί στον οδηγό το λόγο της επιβαλλόμενης απαγόρευσης.
3. Οι πινακίδες αναγγελίας κινδύνου πρέπει να τοποθετούνται 400 m πριν από την επικίνδυνη θέση. Συνήθως περιττεύει η αναγραφή αυτής της απόστασης σε πρόσθετη πινακίδα. Συνιστάται όμως σε ιδιαίτερα επικίνδυνες θέσεις η επανάληψη των πινακίδων αναγγελίας κινδύνου 200 m πριν από την επικίνδυνη θέση ή ακόμη και πρόσθετη προειδοποίηση σε απόσταση 800 και 600 m. Σε αυτές τις περιπτώσεις οι αποστάσεις από την επικίνδυνη θέση πρέπει να αναγράφονται σε πρόσθετη πινακίδα.
2.2. Ρυθμιστικές πινακίδες
1. Οι ρυθμιστικές πινακίδες εξυπηρετούν στη γνωστοποίηση στους οδηγούς των υποχρεώσεων, των περιορισμών και των απαγορεύσεων που επιβάλλονται σε ορισμένα οδικά τμήματα ή θέσεις για την ασφάλεια της κυκλοφορίας.
2. Στις περιπτώσεις όπου οι οδηγοί δεν μπορούν να κατανοήσουν την αναγκαιότητα τοποθέτησης ορισμένων ρυθμιστικών πινακίδων, υφίσταται ο κίνδυνος, να μη ληφθεί υπόψη η σήμανση, επειδή θα διακατέχονται από την αίσθηση ότι αυτή είναι εσφαλμένη. Αυτό συμβαίνει συνήθως με τις πινακίδες με κωδικό Ρ-32 (μέγιστη επιτρεπόμενη ταχύτητα) και Ρ-30 (απαγόρευση προσπέρασης για οχήματα κάθε είδους). Ειδικά όσον αφορά τη χρήση αυτών των συγκεκριμένων πινακίδων πρέπει να ισχύει:
| • | Πινακίδα Ρ-32 : Επειδή η εμπειρία έχει δείξει, ότι οι περισσότεροι οδηγοί προσαρμόζουν τη ταχύτητά τους με βάση τα γεωμετρικά χαρακτηριστικά της οδού, τις κυκλοφοριακές συνθήκες και τις συνθήκες ορατότητας, η χρήση της πινακίδας Ρ-32 είναι απαραίτητη μόνο σε εκείνα τα τμήματα ή τις θέσεις, όπου προβλέπεται ότι ο μέσος οδηγός δεν μπορεί να εκτιμήσει ότι πρέπει να διανύσει με μειωμένη ταχύτητα για λόγους ασφάλειας. |
Συνιστάται η μέγιστη επιτρεπόμενη ταχύτητα σε αυτοκινητοδρόμους να μην είναι μικρότερη από 60 km/h. Η μείωση της μέγιστης επιτρεπόμενης ταχύτητας πρέπει να γίνεται σταδιακά με βήματα των 20 km/h (100 km/h - 80 km/h - 60 km/h) και η ελάχιστη απόσταση μεταξύ των πινακίδων Ρ-32 να είναι 200 m για λόγους ασφαλείας.
| • | Πινακίδα Ρ-30. Η χρήση αυτής της πινακίδας είναι απαραίτητη σε οδικά τμήματα με ανεπαρκείς συνθήκες ορατότητας ή σε ειδικές κυκλοφοριακές συνθήκες π.χ. θέσεις εκτελούμενων έργων. |
2.3. Πρόσθετες πινακίδες
1. Οι πρόσθετες πινακίδες υποδεικνύουν την απόσταση από την οποία αρχίζει να ισχύουν οι υποδείξεις, αναγγελίας των κύριων πινακίδων ή τα μήκη των οδικών τμημάτων στα οποία ισχύουν αυτές. Επίσης οι πρόσθετες πινακίδες υποδεικνύουν τους τύπους των οχημάτων για τα οποία ισχύουν οι κύριες πινακίδες.
2. Κατά κύριο λόγο επιδιώκεται η χρήση γραφικών συμβόλων ή σύντομων ευκολονόητων κειμένων.
3. Οι αναγραφές των αποστάσεων και των μηκών πρέπει να στρογγυλεύονται (π.χ. 60 m αντί 63 m, 80 m αντί 75 m, 250 m αντί 268 m, 800 m αντί 750 m, 1,2 km αντί 1 235 m).
2.4. Μεγέθη πινακίδων
1. Οι πινακίδες σταθερού περιεχομένου πρέπει να έχουν το πραγματικά απαιτούμενο μέγεθος και να αποφεύγονται οι χωρίς λόγο υπερδιαστασιολογήσεις.
2. Τα μεγέθη των πινακίδων επιλέγονται με τη βοήθεια των επόμενων πινάκων.
3. Όταν σε εξαιρετικές περιπτώσεις επιβάλλονται αποκλίσεις από τις διαστάσεις που δίνονται στους Πίνακες 2.4-1 και 2.4-2, τότε πρέπει να γίνεται γραμμική μεγέθυνση ή σμίκρυνση.
Πίνακας 2.4-1: Μεγέθη πινακίδων σταθερού περιεχομένου
|
Μέγεθος ανάλογο της ταχύτητας
|
Ταχύτητα Οδού V
|
V < 50
|
50 < V < 80
|
> 80
|
Σχήμα πινακίδας *
|
Μικρό
|
Μεσαίο
|
Μεγάλο
|
Τριγωνικό (μήκος πλευράς)
Κυκλικό (μήκος διαμέτρου)
Τετραγωνικό (μήκος πλευράς)
Ρομβοειδές (μήκος πλευράς)
Οκταγωνικό (μήκος πλευράς)
Ορθογωνικό (βάση x ύψος)
|
600
450
450
400
247
600 x 450
|
900
650
650
600
370
|
1 200
900
900
800
494
|
800 x 600
|
* Λόγω κινδύνου τραυματισμού πρέπει οι γωνίες των πινακίδων να στρογγυλεύονται. Η ακτίνα στρογγύλευσης για το μεσαίο μέγεθος ανέρχεται σε 40 mm. Για τα μεγέθη μικρό και μεγάλο η ακτίνα στρογγύλευσης προκύπτει με γραμμική σμίκρυνση ή μεγέθυνση.
Πίνακας 2.4-2: Μεγέθη πρόσθετων πινακίδων
Ταχύτητα Οδού V
|
Μέγεθος ανάλογο της ταχύτητας
|
V < 50
|
50 < V < 80
|
> 80
|
Κατηγορία Πινακίδας*1
|
Μικρό
|
Μεσαίο
|
Μεγάλο
|
(70%)
|
(100%)
|
(125%)
|
Ύψος 1
|
231 x 420
|
330 x 600
|
412 x 750
|
Ύψος 2
|
315 x 420
|
450 x 600
|
562 x 750
|
Ύψος 3
|
420 x 420
|
600 x 600
|
750 x 750
|
* Λόγω κινδύνου τραυματισμού πρέπει οι γωνίες των πινακίδων να στρογγυλεύονται. Η ακτίνα στρογγύλευσης για το μεσαίο μέγεθος ανέρχεται σε 40 mm. Για τα μεγέθη μικρό και μεγάλο η ακτίνα στρογγύλευσης προκύπτει με γραμμική σμίκρυνση ή μεγέθυνση.
2.5. Πινακίδες καθοδήγησης
2.5.1. Πινακίδες καθοδήγησης σε ανισόπεδους κόμβους
2.5.1.1 Γενικά
Οι πινακίδες καθοδήγησης υποδεικνύουν έγκαιρα στους οδηγούς τις ιδιαιτερότητες και τη γεωμετρία ενός κόμβου.
Ιδιαιτερότητες είναι:
2.5.1.2 Πρόσθεση λωρίδας
1. Πρόσθεση λωρίδας υφίσταται, όταν το μήκος μιας λωρίδας επιτάχυνσης είναι τουλάχιστον 500 m (συμπεριλαμβανομένης της συναρμογής). Η πρόσθεση λωρίδων αναγγέλλεται με τις πινακίδες με κωδικό Π-70.17 έως Π-70.19 ανάλογα με το πλήθος των λωρίδων.

|

|

|
Πρόσθεση μιας λωρίδας
κυκλοφορίας σε
οδόστρωμα μιας λωρίδας
κυκλοφορίας
|
Πρόσθεση μιας λωρίδας
κυκλοφορίας σε
οδόστρωμα δύο ή
περισσότερων λωρίδων
κυκλοφορίας
|
Πρόσθεση δύο λωρίδων
κυκλοφορίας σε
οδόστρωμα δύο ή
περισσότερων λωρίδων
κυκλοφορίας
|
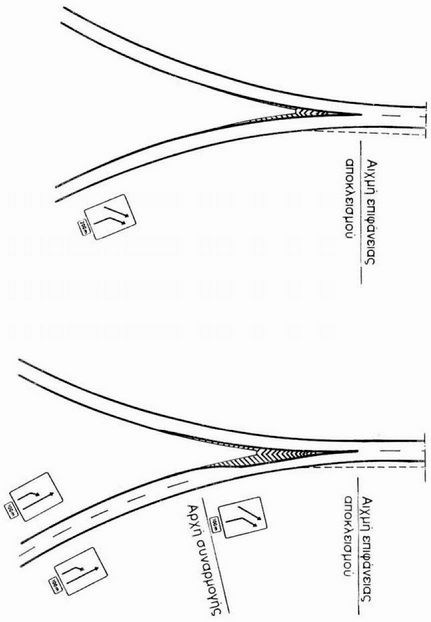
Σχήμα 1: Πινακίδες καθοδήγησης για την αναγγελία πρόσθεσης λωρίδας (ων)
2. Οι πινακίδες τοποθετούνται κατά μήκος του συμβάλλοντος κλάδου, σε επαρκή απόσταση από την είσοδο. Η πινακίδα Π-70.19 τοποθετείται και στις δύο πλευρές του οδοστρώματος του κλάδου, ενώ οι πινακίδες Π-70.17 και Π-70.18 μόνο στο δεξιό άκρο. Οι αναγραφές αποστάσεων στην πρόσθετη πινακίδα αναφέρονται στην αιχμή της επιφάνειας αποκλεισμού και εξαρτώνται από τις τοπικές συνθήκες και τα εκάστοτε κατασκευαστικά δεδομένα (γεωμετρική διαμόρφωση της οριζοντιογραφίας, μηκοτομή, διατομή).
2.5.1.3. Τέλος λωρίδας
1. Η αφαίρεση λωρίδας σε έναν κλάδο αναγγέλλεται με την πινακίδα με κωδικό Π-70.20 σε επαρκή απόσταση πριν την αρχή της συναρμογής. Όταν σε εξαιρετικές περιπτώσεις αφαιρείται η δεξιά λωρίδα, τότε χρησιμοποιείται η πινακίδα με κωδικό Π-70.10. Οι πινακίδες αυτές κατά κανόνα τοποθετούνται και στις δύο πλευρές του οδοστρώματος του κλάδου. Οι αναγραφές αποστάσεων στην πρόσθετη πινακίδα αναφέρονται στην αρχή της συναρμογής και εξαρτώνται από τα εκάστοτε κατασκευαστικά δεδομένα. Σε περιπτώσεις πρόσθεσης λωρίδας με παράλληλη αναγγελία του τέλους της λωρίδας επιτάχυνσης (παρ. 2.5.1.4.γ και δ), χρησιμοποιούνται οι πινακίδες με κωδικό Π-70.40, Π-70.53 και Π-70.54.
Σχήμα 2: Πινακίδες καθοδήγησης για την αναγγελία του τέλους λωρίδας
2. Τα σήματα με κωδικούς Κ-6 (μονόπλευρη στένωση οδοστρώματος) και P-30 (απαγόρευση προσπέρασης) δεν επιτρέπεται να χρησιμοποιούνται συμπληρωματικά.
2.5.1.4. Τυπική σήμανση κλάδων εισόδου σε αυτοκινητόδρομο

α. Δίιχνη είσοδος με λωρίδα επιτάχυνσης

β. Μονόιχνη είσοδος με πρόσθεση λωρίδας κυκλοφορίας

γ. Δίιχνη είσοδος με πρόσθεση λωρίδας κυκλοφορίας

δ. Δίιχνη είσοδος με δίιχνη λωρίδα επιτάχυνσης
2.5.1.5 Τυπική σήμανση κλάδων εισόδου σε συνδετήριους κλάδους
Η πινακίδα Π-70.17 τοποθετείται εφόσον η απόσταση μεταξύ της αιχμής της επιφάνειας αποκλεισμού και της αρχής της επόμενης συναρμογής είναι τουλάχιστον 500 m (Πρόσθεση λωρίδας κυκλοφορίας).


2.5.2. Πινακίδες καθοδήγησης σε περιοχές πρόσθετης λωρίδας σε ανωφερικά τμήματα αυτοκινητοδρόμων
2.5.2.1 Γενικά
1. Η κυκλοφοριακή καθοδήγηση σε περιοχές πρόσθετης λωρίδας επιτυγχάνεται με τις πινακίδες καθοδήγησης, οι οποίες υποδεικνύουν έγκαιρα στους οδηγούς την πρόσθεση, τη διάρκεια και το τέλος πρόσθετης λωρίδας. Οι πινακίδες αυτές τοποθετούνται δεξιά και αριστερά του κλάδου του αυτοκινητοδρόμου, στο φυτικό έρεισμα και στη κεντρική νησίδα αντίστοιχα.
2. Η παρατηρούμενη εμπλοκή της ταχείας και της βραδείας κυκλοφορίας μπορεί να διευθετηθεί με την υπόδειξη των ελάχιστων υποχρεωτικών ταχυτήτων που αναφέρονται σε κάθε λωρίδα κυκλοφορίας (βλέπε Σχήμα 3).
2.5.2.2 Περιοχή διεύρυνσης του οδοστρώματος
1. Η διεύρυνση αναγγέλλεται με τη πινακίδα καθοδήγησης με κωδικό Π-68.10, 200 m πριν από την αρχή της συναρμογής και την πρόσθετη πινακίδα Πρ-1. Με ταυτόχρονη υπόδειξη των ελάχιστων ορίων ταχύτητας ανά λωρίδα κυκλοφορίας η πινακίδα καθοδήγησης διαμορφώνεται όπως στο Σχήμα 3)α.
2. Η τιμή της αναγραφόμενης ελάχιστης υποχρεωτικής ταχύτητας για την μεσαία λωρίδα, ανέρχεται συνήθως σε 50 km/h. Αυτή η τιμή μπορεί να αυξηθεί σε ανωφέρειες με κατά μήκος κλίση S < 3% σε 60 km/h, ενώ σε ανωφέρειες με κατά μήκος κλίση S > 5% μπορεί να μειωθεί σε 40 km/h.
3. Η τιμή της αναγραφόμενης ελάχιστης υποχρεωτικής ταχύτητας για την εσωτερική λωρίδα, ανέρχεται συνήθως σε 80 km/h. Αυτή η τιμή μπορεί να αυξηθεί σε 90 km/h σε ανωφέρειες με κατά μήκος κλίση S < 3%, ενώ σε ανωφέρειες με κατά μήκος κλίση S > 5%, μπορεί να μειωθεί σε 70 km/h.
2.5.2.3 Περιοχή πρόσθετης λωρίδας
Στην αρχή της πρόσθετης λωρίδας η τρίιχνη κυκλοφοριακή καθοδήγηση καθίσταται σαφής με τη χρήση μίας πινακίδας καθοδήγησης, με κωδικό Π-68.11 στην οποία αναφέρεται ο συνολικός αριθμός των λωρίδων κυκλοφορίας και μίας πρόσθετης πινακίδας με κωδικό Πρ-2 στην οποία αναγράφεται το μήκος της πρόσθετης λωρίδας, με ταυτόχρονη υπόδειξη των ελάχιστων ορίων ταχυτήτων ανά λωρίδα κυκλοφορίας (βλέπε Σχήμα 3, β). Μετά από κάθε είσοδο στον αυτοκινητόδρομο (περιοχές ανισόπεδων κόμβων) πρέπει να τοποθετείται μία πινακίδα επανάληψης με αναγραφή του υπολειπόμενου μήκους της πρόσθετης λωρίδας. Η υπόδειξη των ελάχιστων επιτρεπομένων ταχυτήτων είναι απαραίτητη με πινακίδα επανάληψης σε αποστάσεις περίπου 2 000 m (βλέπε Σχήμα 3, δ).
2.5.2.4 Περιοχή στένωσης του οδοστρώματος
1. Η πορεία της πρόσθετης λωρίδας στην περιοχή της στένωσης του οδοστρώματος επισημαίνεται με πινακίδες καθοδήγησης με κωδικό Π-70.40 (βλέπε Σχήμα 2). Οι πινακίδες αυτές τοποθετούνται με αντίστοιχες αναγραφές αποστάσεων, 600 m, 400 m και 200 m πριν από την αρχή της συναρμογής. Στην περιοχή της στένωσης αίρονται τα ελάχιστα όρια ταχυτήτων, με πινακίδες καθοδήγησης που διαμορφώνονται όπως στο Σχήμα 3, γ.
2. Σε περιπτώσεις που κρίνεται απαραίτητο, είναι δυνατό στη περιοχή της στένωσης του οδοστρώματος να συνιστάται μείωση της ταχύτητας στα 100 km/h με την πινακίδα με κωδικό P-32.
3. Στη περιοχή της στένωσης του οδοστρώματος και στο οδικό τμήμα που ακολουθεί για τη βελτίωση της κυκλοφοριακής ροής τοποθετείται η πινακίδα P-31 (απαγόρευση προσπέρασης φορτηγών) στην αρχή και στο τέλος της συναρμογής. Η απαγόρευση αίρεται 1000 m περίπου μετά το τέλος της πρόσθετης λωρίδας με την τοποθέτηση της πινακίδας που δείχνεται στα Σχήματα 4 και 5. Η απόσταση αυτή είναι σκόπιμο να αυξάνεται, σε περιπτώσεις δυσμενών κατά μήκος κλίσεων.
2.5.3 Σχήμα, διαστάσεις
Οι πινακίδες καθοδήγησης είναι ορθογωνίου σχήματος (βλέπε παράγραφο 2.5.1). Οι πρόσθετες πινακίδες που χρησιμοποιούνται για τις αναγραφές αποστάσεων και μηκών στους αυτοκινητοδρόμους είναι μεγέθους (3) (412 x 750 mm σύμφωνα με τον Πίνακα 2.4-2), ενώ στους κλάδους κόμβων είναι μεγέθους (2) (330 x 600 mm σύμφωνα με τον Πίνακα 2.4-2). Είναι δυνατόν οι δύο πινακίδες (καθοδήγησης και πρόσθετη) να αποτελέσουν μία ενιαία πινακίδα.
Έναρξη πρόσθετης λωρίδας
Π-68.10

|
Μήκος πρόσθετης λωρίδας
Π-68.11

|
Τέλος πρόσθετης λωρίδας
Π-68.20

|
Επιβαλλόμενα ελάχιστα όρια ταχυτήτων
Π-68.21

|
Σχήμα 3: Πινακίδες καθοδήγησης σε περιοχές πρόσθετης λωρίδας σε τμήματα ανωφέρειας

Σχήμα 4: Τυπική διατομή σε περιοχές πρόσθετης λωρίδας σε τμήματα ανωφέρειας. Διαμόρφωση σε νεοκατασκευασμένα τμήματα αυτοκινητοδρόμων
Σχήμα 5: Τυπική σήμανση σε περιοχές πρόσθετης λωρίδας σε τμήματα ανωφέρειας. Διαμόρφωση σε υφιστάμενα τμήματα αυτοκινητοδρόμων