| Συνδεθείτε στην Υπηρεσία Νομοσκόπιο | | | | | Νέοι χρήστες | | Εάν είστε νέος χρήστης, θα πρέπει να δημιουργήσετε ένα ΔΩΡΕΑΝ λογαριασμό προκειμένου να φύγει το παράθυρο αυτό και να αποκτήσετε πλήρη πρόσβαση στην υπηρεσία Νομοσκόπιο. | | Δημιουργία νέου λογαριασμού | | |
1. α. Αντικαθίσταται η παράγραφος 1 του άρθρου 8 του νόμου 2947/2001 (ΦΕΚ 228/Α/2001) ως εξής:
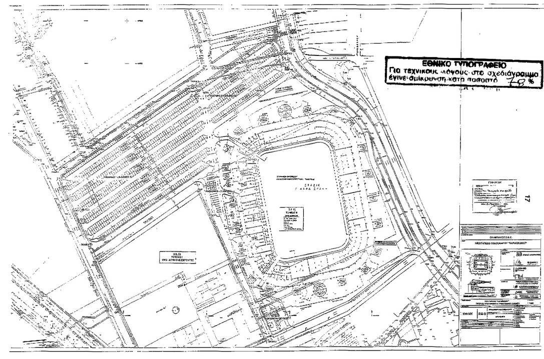
{1. α) Εγκρίνεται η τροποποίηση του εγκεκριμένου ρυμοτομικού σχεδίου Νέου Φαλήρου (Πειραιώς) στο χώρο του σταδίου Γεώργιος Καραϊσκάκη με τη μετατόπιση ρυμοτομικών και οικοδομικών γραμμών, όπως φαίνεται στο σχετικό πρωτότυπο διάγραμμα σε κλίμακα 1:500, που θεωρήθηκε από τον Προϊστάμενο Διεύθυνσης Τοπογραφικών Εφαρμογών του Υπουργείου Περιβάλλοντος, Χωροταξίας και Δημόσιων Έργων και του οποίου το αντίτυπο σε φωτοσμίκρυνση δημοσιεύεται με το νόμο αυτόν στην Εφημερίδα της Κυβερνήσεως.

β) Τροποποιείται το περίγραμμα των κτιριακών εγκαταστάσεων του σταδίου όπως φαίνεται στο παραπάνω διάγραμμα.}
β. Στο πρώτο εδάφιο της παραγράφου 3 του άρθρου 8 του νόμου 2947/2001 οι λέξεις αιθουσών εξυπηρέτησης τύπου και μέσων μαζικής ενημέρωσης διαγράφονται.
2. Λόγω των αναγκών διοργάνωσης των Ολυμπιακών Αγώνων του 2004 μεταφέρεται για πενήντα (50) έτη στη γενική γραμματεία Αθλητισμού η χρήση, η διοίκηση και διαχείριση του χώρου του σταδίου με την επωνυμία Ελληνική Ολυμπιακή Επιτροπή Στάδιο Γεώργιος Καραϊσκάκης (εφεξής στάδιο), συνολικής έκτασης 75.248 m2 περίπου, μετά των συστατικών και παραρτημάτων του και όλου του εξοπλισμού του, όπως απεικονίζεται με στοιχεία ΑΒΓΔΕΖΗΘΙΚΛΜΝΞΟΠΡΣΤΥΦΧ στο τοπογραφικό διάγραμμα της παραγράφου 1)α του άρθρου 8 του νόμου 2947/2001, όπως αντικαταστάθηκε με την προηγούμενη παράγραφο του παρόντος άρθρου.
3. Η γενική γραμματεία Αθλητισμού μπορεί να παραχωρήσει υπό όρους τη χρήση, διοίκηση και διαχείριση του χώρου του σταδίου στο αθλητικό σωματείο με την επωνυμία Ολυμπιακός Σύνδεσμος Φιλάθλων Πειραιώς (εφεξής σωματείο), που ιδρύθηκε με την υπ' αριθμόν 1247 της 26-05-1925 απόφαση του Πολυμελούς Πρωτοδικείου Πειραιά με έδρα τον Πειραιά. Η διάρκεια της παραχώρησης ορίζεται σε σαράντα εννέα (49) έτη εφόσον ο παραχωρησιούχος αναλαμβάνει την ανακατασκευή του σταδίου κατά τα οριζόμενα στις επόμενες παραγράφους με δικές του δαπάνες. Η παραχώρηση αρχίζει από την ημερομηνία υπογραφής της προβλεπόμενης στην επόμενη παράγραφο σύμβασης. Μετά τη λήξη της παραχώρησης η χρήση, διοίκηση και διαχείριση του σταδίου, μετά των συστατικών και παραρτημάτων του και όλου του εξοπλισμού του, όπως θα έχει διαμορφωθεί και σε όποια κατάσταση βρίσκεται το χρόνο εκείνο, επανέρχεται στην Ελληνική Ολυμπιακή Επιτροπή, άνευ ουδεμίας αποζημιώσεως του σωματείου ή οποιουδήποτε τρίτου.
4. Με σύμβαση που καταρτίζεται μεταξύ της Γενικής Γραμματείας Αθλητισμού και του σωματείου καθορίζονται:
α) οι ειδικότεροι όροι και προϋποθέσεις της παραχώρησης,
β) οι προδιαγραφές και το χρονοδιάγραμμα πραγματοποίησης των αναγκαίων εργασιών και επεμβάσεων ώστε ο χώρος να καταστεί κατάλληλος για την τέλεση των αγωνισμάτων του Ολυμπιακού Τουρνουά Ποδοσφαίρου κατά τη διάρκεια των Ολυμπιακών Αγώνων του 2004 στην Αθήνα, τη διεξαγωγή αγώνων των Εθνικών Ελληνικών Ομάδων Ποδοσφαίρου και αγώνων Ποδοσφαίρου Εθνικών και Διεθνών Οργανώσεων και τη διεξαγωγή των αθλητικών και άλλων εκδηλώσεων του σωματείου αυτού,
γ) οι παρεχόμενες ασφάλειες, εγγυήσεις και ρήτρες που επιβάλλονται για την καλή και εμπρόθεσμη πραγματοποίηση των πιο πάνω εργασιών και επεμβάσεων,
δ) οι ειδικότεροι όροι και προϋποθέσεις της τυχόν εκχώρησης δικαιωμάτων και υποχρεώσεων, σύμφωνα με τα οριζόμενα στην επόμενη παράγραφο του παρόντος,
ε) ποσοστό δεκαπέντε τοις εκατό (15%) επί των εσόδων από τα εισιτήρια και την εκμετάλλευση των διαφημιστικών χώρων του σταδίου θα καταβάλλεται στη γενική γραμματεία Αθλητισμού. Η υποχρέωση της ως άνω καταβολής αρχίζει δεκαπέντε (15) χρόνια μετά τη λήξη των Ολυμπιακών Αγώνων του 2004, μη εφαρμοζομένων των διατάξεων των παραγράφων 2, 3 και 4 του άρθρου 56 και του δεύτερου και τρίτου εδαφίου της παραγράφου 1 του άρθρου 67 του νόμου 2725/1999 (ΦΕΚ 121/Α/1999)
στ) ο χρόνος και ο τρόπος παραχώρησης της χρήσης των εγκαταστάσεων του σταδίου στην Οργανωτική Επιτροπή Ολυμπιακών Αγώνων ΑΘΗΝΑ 2004 Ανώνυμη Εταιρία για τις ανάγκες των Ολυμπιακών Αγώνων του 2004, σύμφωνα με τα οριζόμενα στην παράγραφο 6 του άρθρου 8 του νόμου 2947/2001,
ζ) κάθε άλλη σχετική λεπτομέρεια.
5. α. Με την ίδια σύμβαση το σωματείο αναλαμβάνει την υποχρέωση ανακατασκευής των εγκαταστάσεων του σταδίου και διαμόρφωσης του περιβάλλοντος χώρου αυτού, καθώς και την υποχρέωση δημιουργίας χώρων στάθμευσης συνολικής χωρητικότητας 1.130 περίπου θέσεων.
Οι δαπάνες των εργασιών ανακατασκευής, οι δαπάνες διαμόρφωσης του περιβάλλοντος χώρου του σταδίου και των χώρων στάθμευσης, καθώς και οι δαπάνες συντήρησης και λειτουργίας του σταδίου, βαρύνουν εξ ολοκλήρου το σωματείο, το οποίο για την κάλυψη τους, καθώς και για την εκτέλεση των σχετικών εργασιών, μπορεί να εκχωρεί δικαιώματα και υποχρεώσεις του, που απορρέουν από την προβλεπόμενη στην παράγραφο 4 του παρόντος άρθρου σύμβαση, σε τρίτους, ύστερα από έγκριση της γενικής γραμματείας Αθλητισμού, μη εφαρμοζομένων των διατάξεων των παραγράφων 2, 3 και 4 του άρθρου 56 και του δεύτερου και τρίτου εδαφίου της παραγράφου 1 του άρθρου 67 του νόμου 2725/1999.
β. Η ανακατασκευή θα γίνει σύμφωνα με το σχέδιο γενικής διάταξης που απεικονίζεται στο διάγραμμα της παραγράφου 1 και τους όρους και περιορισμούς δόμησης και χρήσης που καθορίζονται στο άρθρο 8 του νόμου 2947/2001, καθώς και τις Ολυμπιακές, αθλητικές και τεχνικές προδιαγραφές που θα καθορισθούν με τη σύμβαση της παραγράφου 4 και πρέπει να είναι έτοιμο προς χρήση για την τέλεση των Ολυμπιακών Αγώνων του 2004,
γ. Η επωνυμία του σταδίου Ελληνική Ολυμπιακή Επιτροπή Στάδιο Γεώργιος Καραϊσκάκης διατηρείται για όλο το διάστημα της παραχώρησης.
δ. για την κατασκευή του σταδίου και των χώρων στάθμευσης, απαιτείται η προηγούμενη έγκριση περιβαλλοντικών όρων, σύμφωνα με τη διαδικασία που προβλέπεται στην περίπτωση δ)β' της παραγράφου 1 του άρθρου 4 του νόμου 1650/1986, όπως αντικαταστάθηκε με το άρθρο 2 του νόμου 3010/2002 (ΦΕΚ 91/Α/2002). Η έγκριση περιβαλλοντικών όρων χορηγείται με κοινή απόφαση των Υπουργών Περιβάλλοντος, Χωροταξίας και Δημόσιων Έργων και Πολιτισμού, ύστερα από γνώμη του Οργανισμού Ρυθμιστικού Σχεδίου Αθήνας.
ε. Οι οικοδομικές άδειες εκδίδονται από το Υπουργείο Περιβάλλοντος, Χωροταξίας και Δημόσιων Έργων και σύμφωνα με τη διαδικασία που ορίζεται στην περίπτωση β' της παραγράφου 1 του άρθρου 5 του νόμου 2730/1999, όπως ισχύει, ύστερα από αίτηση του σωματείου. Η αίτηση για την έκδοση των παραπάνω αδειών συνοδεύεται από αντίγραφο της προβλεπόμενης στην παράγραφο 4 του παρόντος άρθρου σύμβασης.