| Συνδεθείτε στην Υπηρεσία Νομοσκόπιο | | | | | Νέοι χρήστες | | Εάν είστε νέος χρήστης, θα πρέπει να δημιουργήσετε ένα ΔΩΡΕΑΝ λογαριασμό προκειμένου να φύγει το παράθυρο αυτό και να αποκτήσετε πλήρη πρόσβαση στην υπηρεσία Νομοσκόπιο. | | Δημιουργία νέου λογαριασμού | | |
Απόφαση ΥΠΠΟΑ/ΓΔΑΜΤΕ/ΔΠΑΝΣΜ/53047/5914/894/2017: Χαρακτηρισμός ως μνημείου του ανεμόμυλου στου φρυδιού τ' ανέφεμα φερόμενης ιδιοκτησίας Κωνσταντίνας και Καλλιόπης Κουτλάκη στην περιοχή Φρυ Κάσου, (ΦΕΚ 83/ΑΑΠ/2017), 18-04-2017.
Η Υπουργός Πολιτισμού και Αθλητισμού
Έχοντας υπόψη:
1. Τις διατάξεις:
α) Του άρθρου 90 του προεδρικού διατάγματος 63/2005 (ΦΕΚ 98/Α/2005) Κωδικοποίηση της Νομοθεσίας για την Κυβέρνηση και τα Κυβερνητικά Όργανα καθώς και ότι από την εφαρμογή των κανονιστικών αυτών διατάξεων δεν προκαλείται δαπάνη σε βάρος του Κρατικού προϋπολογισμού.
β) Του νόμου 2039/1992 (ΦΕΚ 61/Α/1992) Περί Κύρωσης της Σύμβασης για την προστασία της Αρχιτεκτονικής Κληρονομιάς της Ευρώπης.
γ) Του νόμου 3028/2002 (ΦΕΚ 153/Α/2002) Για την προστασία των Αρχαιοτήτων και εν γένει της Πολιτιστικής Κληρονομιάς ιδίως του άρθρου 6 παράγραφος 4.
δ) Του προεδρικού διατάγματος [ΠΔ] 104/2014 (ΦΕΚ 171/Α/2014) Οργανισμός Υπουργείου Πολιτισμού και Αθλητισμού, καθώς και το προεδρικό διάταγμα 191/2003 (ΦΕΚ 146/Α/2003) Οργανισμός του Υπουργείου Πολιτισμού κατά το μέρος που αυτό διατηρείται σε ισχύ με το άρθρο 70 του προεδρικού διατάγματος [ΠΔ] 104/2014.
ε) Του άρθρου 1 του προεδρικού διατάγματος 70/2015 (ΦΕΚ 114/Α/2015) Ανασύσταση των Υπουργείων ... σχετικά με τη σύσταση Υπουργείου Πολιτισμού και Αθλητισμού.
στ) Του προεδρικού διατάγματος 125/2016 (ΦΕΚ 210/Α/2016) Διορισμός Υπουργών, Αναπληρωτών Υπουργών και Υφυπουργών.
ζ) Της υπ' αριθμόν ΥΠΠΟΑ/ΓΔΔΥΗΔ/ΔΔΑΑΔ/ΤΔΑΔΤΠ/Α1 /272598/33659/30330/23405/2015 κοινής απόφασης του Πρωθυπουργού και του Υπουργού Πολιτισμού και Αθλητισμού για το διορισμό Μετακλητού Γενικού Γραμματέα του Υπουργείου Πολιτισμού και Αθλητισμού (ΦΕΚ 706/ΥΟΔΔ/2015).
2. Την υπουργική απόφαση ΥΠΠΟ/ΔΟΕΠΥ/ΤΟΠΥΝΣ/14/3698/2004 Οργάνωση και λειτουργία των Συμβουλίων του νόμου 3028/2002 (ΦΕΚ 70/Β/2004).
3. Την κοινή υπουργική απόφαση ΥΠΠΟ/ΓΝΟΣ/49610/1990 (ΦΕΚ 743/Β/1990) Εξαίρεση από τον περιορισμό των τριών υπογραφών.
4. Την εισήγηση της Διεύθυνσης Προστασίας και Αναστήλωσης Νεωτέρων και Σύγχρονων Μνημείων και τα λοιπά στοιχεία του φακέλου.
5. Την ομόφωνη γνωμοδότηση του Κεντρικού Συμβουλίου Νεωτέρων Μνημείων, σύμφωνα με το υπ' αριθμόν 5/16-02-2017 Πρακτικό, (θέμα 3°), αποφασίζουμε:
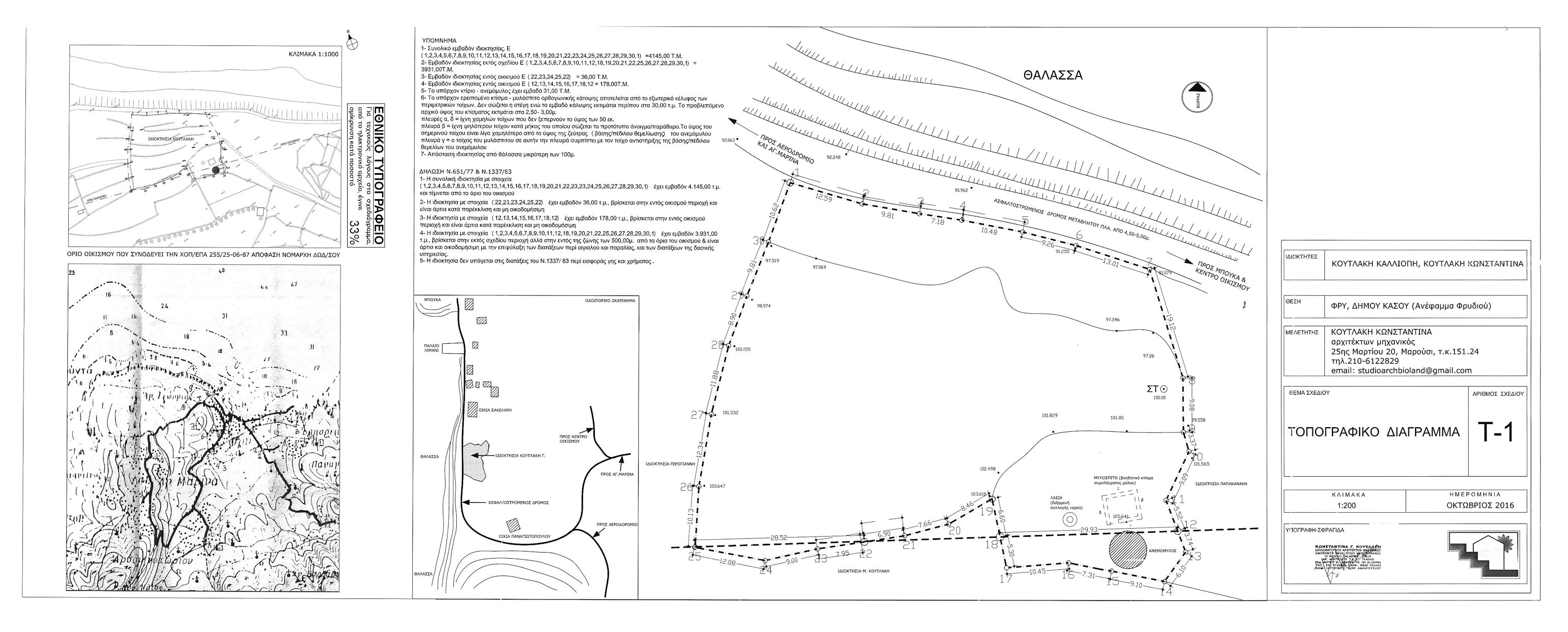
τον χαρακτηρισμό ως μνημείου, σύμφωνα με τις διατάξεις του άρθρου 6 παράγραφος 1)β του νόμου 3028/2002, του ανεμόμυλου φερόμενης ιδιοκτησίας Κωνσταντίνας και Καλλιόπης Κουτλάκη στου φρυδιού τ' ανέφεμα στην περιοχή Φρυ Κάσου, της λασίας και του μηχανολογικού εξοπλισμού του (αξόνι, ρόδα με σταυρό, δύο μυλόπετρες, τράπεζα, δύο κουλούρες προσανατολισμού της φτερωτής) in situ, διότι διατηρεί αναλλοίωτα τα αρχιτεκτονικά, μορφολογικά και τεχνολογικά χαρακτηριστικά των ειδικών αυτών κατασκευών (ανεμόμυλος), σημαντικά για τη μελέτη της κοινωνικής, οικονομικής και πολιτισμικής ανάπτυξης της περιοχής στο τέλος του 19ου αιώνα.

Η απόφαση αυτή να δημοσιευθεί στην Εφημερίδα της Κυβερνήσεως.
Αθήνα, 29-03-2017
Η Υπουργός