| Συνδεθείτε στην Υπηρεσία Νομοσκόπιο | | | | | Νέοι χρήστες | | Εάν είστε νέος χρήστης, θα πρέπει να δημιουργήσετε ένα ΔΩΡΕΑΝ λογαριασμό προκειμένου να φύγει το παράθυρο αυτό και να αποκτήσετε πλήρη πρόσβαση στην υπηρεσία Νομοσκόπιο. | | Δημιουργία νέου λογαριασμού | | |
Απόφαση ΕΠΑ/64/1993: Επέκταση ρυμοτομικού σχεδίου Ανθόφυτου Κιλκίς, (ΦΕΚ 1237/Δ/1993), 04-10-1993.
Ο Νομάρχης Κιλκίς
Έχοντας υπόψη:
1. Τις διατάξεις του νόμου 1337/1983 Οικιστικός Νόμος και άλλες συναφείς ρυθμίσεις και ειδικά την παράγραφο 5 του άρθρου 38.
2. Τις διατάξεις του από 24-04-1985 προεδρικού διατάγματος Τρόπος καθορισμού ορίου οικισμών κάτω των 2.000 κατοίκων κ.λ.π., όπως τροποποιήθηκε και συμπληρώθηκε μεταγενέστερα από τα από 14-02-1987 και από 25-04-1989 προεδρικά διατάγματα.
3. Τις διατάξεις του από 20-08-1985 προεδρικού διατάγματος περί πολεοδόμησης και επέκτασης οικισμών κάτω των 2.000 κατοίκων κ.λ.π.
4. Τις διατάξεις του από 17-07-1923 νομοθετικού διατάγματος και ειδικά τα άρθρα 1 έως 9.
5. Τις διατάξεις του νόμου 1577/1985 περί Γενικού Οικοδομικού Κανονισμού και ειδικότερα τα άρθρα 6, 7, 8, 9 όπως τροποποιήθηκαν μεταγενέστερα.
6. Τις διατάξεις του νόμου 1558/1985 Κυβερνητικά και κυβερνητικά όργανα και ειδικότερα το άρθρο 23 παράγραφος 1.
7. Τις διατάξεις του αναγκαστικού νόμου 314/1968, όπως τροποποιήθηκε με το νομοθετικό διάταγμα 1018/1971 περί μεταβιβάσεως αρμοδιοτήτων στους Νομάρχες και συμπληρώθηκε με το από 02-04-1985 προεδρικό διάταγμα.
8. Την οίκοθεν ΕΠΑ/141/1986 απόφαση Νομάρχη Κιλκίς για τον καθορισμό του ορίου του οικισμού Ανθοφύτου νομού Κιλκίς.
9. Το υπ' αριθμόν 3277/1993 έγγραφο της ΙΣT' Εφορείας προϊστορικών και κλασσικών αρχαιοτήτων, καθώς και το υπ' αριθμόν 2118/1993 έγγραφο του Δασαρχείου Κιλκίς, με τα οποία οι αντίστοιχοι φορείς μας ενημερώνουν ότι δεν έχουν αντίρρηση για την επέκταση του ρυμοτομικού σχεδίου του οικισμού στις συγκεκριμένες εκτάσεις.
10. Την υπ' αριθμόν 6/1993 απόφαση του Κοινοτικού Συμβουλίου Ανθοφύτου, καθώς και τα υπόλοιπα απαιτούμενα από το Νόμο δικαιολογητικά.
11. Την με αριθμό πρωτοκόλλου 61/1993 εισήγηση του Τμήματος Πολεοδομίας και Πολεοδομικών Εφαρμογών για το θέμα.
12. Την από 09-09-1993 συνεδρίαση του Συμβουλίου Χωροταξίας, Οικισμού και Περιβάλλοντος του νομού Κιλκίς στην οποία έγινε ομόφωνα δεκτή η παραπάνω εισήγηση, αποφασίζουμε:
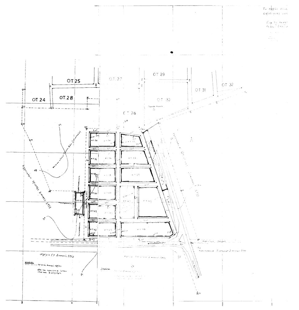
α) Την έγκριση της επέκτασης του ρυμοτομικού σχεδίου Ανθοφύτου Κιλκίς, όπως φαίνεται στα συνημμένα διαγράμματα, κυρωμένα από τον Προϊστάμενο του Τμήματος Πολεοδομίας και Πολεοδομικών Εφαρμογών.
β) Τον καθορισμό ορίων αρτιότητας στην περιοχή επέκτασης ως εξής: πρόσωπο 13 m και εμβαδόν 300 m2. Κατά παρέκκλιση θεωρούνται άρτια και οικοδομήσιμα τα οικόπεδα με όποιο εμβαδόν και διαστάσεις είχαν κατά την 03-05-1985, ημερομηνία έκδοσης του από 24-04-1985 προεδρικού διατάγματος.
Με το γεγονός ότι η παρούσα μελέτη δε βαρύνει τον προϋπολογισμό του Δημοσίου, καθώς και του οικείου οργανισμού τοπικής αυτοδιοίκησης.
γ) Τη δημοσίευση της παρούσας στην Εφημερίδα της Κυβερνήσεως.

Κιλκίς, 13-09-1993
Ο Νομάρχης