Απόφαση 64110/16

Απόφαση 64110/4983/2016: Έγκριση τροποποίησης του εγκεκριμένου ρυμοτομικού σχεδίου στην 6Η Δημοτική Ενότητα του Δήμου Αθηναίων, με χαρακτηρισμό ως πεζοδρόμων: α) του μη χαρακτηρισμένου τμήματος της οδού Αγίου Νικολάου, μεταξύ των οδών Λεωφόρου Ιωνίας και Αχαρνών και β) τμήματος της οδού Μοσχοπόλεως, μεταξύ των οδών Αγίου Νικολάου και Τιθορέας


Συνδεθείτε στην Υπηρεσία Νομοσκόπιο
Είσοδος στην υπηρεσία Νομοσκόπιο.
   
Χρήστης
Κωδικός
  Υπενθύμιση στοιχείων λογαριασμού
   
 
Νέοι χρήστες
Εάν είστε νέος χρήστης, θα πρέπει να δημιουργήσετε ένα ΔΩΡΕΑΝ λογαριασμό προκειμένου να φύγει το παράθυρο αυτό και να αποκτήσετε πλήρη πρόσβαση στην υπηρεσία Νομοσκόπιο.
Δημιουργία νέου λογαριασμού

 

 

Απόφαση 64110/4983/2016: Έγκριση τροποποίησης του εγκεκριμένου ρυμοτομικού σχεδίου στην 6Η Δημοτική Ενότητα του Δήμου Αθηναίων, με χαρακτηρισμό ως πεζοδρόμων: α) του μη χαρακτηρισμένου τμήματος της οδού Αγίου Νικολάου, μεταξύ των οδών Λεωφόρου Ιωνίας και Αχαρνών και β) τμήματος της οδού Μοσχοπόλεως, μεταξύ των οδών Αγίου Νικολάου και Τιθορέας, (ΦΕΚ 225/ΑΑΠ/2016), 03-11-2016.

 

Ο Γενικός Γραμματέας Αποκεντρωμένης Διοίκησης Αττικής

 

Έχοντας υπόψη:

 

1.Το νόμο 2503/1997 (ΦΕΚ 107/Α/1997) για τη Διοίκηση, Οργάνωση, Στελέχωση της Περιφέρειας κ.λ.π. και ειδικότερα το άρθρο 1 παράγραφος 2, όπως τροποποιήθηκε με το άρθρο 56 του νόμου 4257/2014 (ΦΕΚ 93/Α/2014) για Επείγουσες ρυθμίσεις αρμοδιότητας Υπουργείου Εσωτερικών και ισχύει.

 

2. Το άρθρο 28 του νόμου 4325/2015 (ΦΕΚ 47/Α/2015) για τον Εκδημοκρατισμό της Διοίκησης - Καταπολέμηση Γραφειοκρατίας και Ηλεκτρονική Διακυβέρνηση. Αποκατάσταση αδικιών και άλλες διατάξεις.

 

3. Την πράξη 4/2015 του Υπουργικού Συμβουλίου της 06-02-2015, με την οποία έγιναν αποδεκτές οι παραιτήσεις των Γενικών Γραμματέων των Αποκεντρωμένων Διοικήσεων της χώρας.

 

4. Το άρθρο 280 του νόμου 3852/2010 (ΦΕΚ 87/Α/2010) για τη Νέα Αρχιτεκτονική της Αυτοδιοίκησης και της Αποκεντρωμένης Διοίκησης - Πρόγραμμα Καλλικράτης.

 

5. Το προεδρικό διάταγμα 135/2010 για τον Οργανισμό της Αποκεντρωμένης Διοίκησης Αττικής.

 

6. Το άρθρο 31 παράγραφος 1 του νόμου 4067/2012 (ΦΕΚ 79/Α/2012) για το Νέο Οικοδομικό Κανονισμό, όπως τροποποιήθηκε και ισχύει.

 

7. Το άρθρο 29 του νόμου 2831/2000 (ΦΕΚ 140/Α/2000) για την τροποποίηση των διατάξεων του νόμου 1577/1985 Γενικός Οικοδομικός Κανονισμός και άλλες πολεοδομικές διατάξεις.

 

8. Την υπ' αριθμόν Φ39/1895/2015 (όπως ορθά επαναλήφθηκε στις 07-04-2015) απόφαση του Γενικού Γραμματέα της Αποκεντρωμένης Διοίκησης Αττικής για Ανασυγκρότηση των Συμβουλίων Πολεοδομικών θεμάτων και Αμφισβητήσεων στην έδρα κάθε Περιφερειακής Ενότητας της Περιφέρειας Αττικής, όπως τροποποιήθηκε με τις υπ' αριθμόν Φ39/2209/2015, 7541/515/2016 και 35412/2878/2016 αποφάσεις του ιδίου.

 

9. Την υπ' αριθμόν 4310/1937 απόφαση (ΦΕΚ 162/Β/1937), περί κυρώσεως των λεπτομερειακών διαγραμμάτων εφαρμογής (1:500) του σχεδίου της Συνοικίας Κάτω Πατησίων Θυμαράκια.

 

10. Το από [ΒΔ] 24-01-1948 βασιλικό διάταγμα (ΦΕΚ 228/Α/1948), περί τροποποίησης του σχεδίου, με τη διάνοιξη οδού στο Οικοδομικό Τετράγωνο, μεταξύ των οδών Ιωνίας και Μοσχοπόλεως, παρά τον Άγιο Νικόλαο Αχαρνών.

 

11. Το από [ΒΔ] 27-09-1956 βασιλικό διάταγμα (ΦΕΚ 228/Α/1956), περί τροποποίησης του σχεδίου, με την κατάργηση των πρασιών της οδού Αχαρνών, από της οδού Αγίου Μελετίου, μέχρι της οδού Ευγένιου Καραβία.

 

12. Το από [ΒΔ] 16-04-1957 βασιλικό διάταγμα (ΦΕΚ 70/Α/1957), περί τροποποίησης του ρυμοτομικού σχεδίου Αθηνών κατά την συνάντηση των οδών Μαδουρή και Μοσχοπόλεως.

 

13. Την με αριθμό 5299/81/1986 (ΦΕΚ 315/Δ/1986) απόφαση Νομάρχη Δ/τος Αθηνών, περί τροποποίησης του σχεδίου της Αθήνας, με χαρακτηρισμό του χώρου γύρω από την εκκλησία Αγίου Νικολάου (Αχαρνών) ως κοινόχρηστου πρασίνου (πλατεία) και την αναγνώριση και πεζοδρόμηση τμημάτων των οδών Αγίων Νικολάου και Νεμέσεως.

 

14. Την υπ' αριθμόν ΥΠΠΟ/ΓΔΑΠΚ/ΑΡΧ/Β1/Φ26/4823/592/2003 απόφαση Υπουργού Πολιτισμού (ΦΕΚ 99/Β/2003), με την οποία χαρακτηρίστηκε ο Ιερός Ναός Αγίου Νικολάου, ο οποίος βρίσκεται επί πλατείας της οδού Αχαρνών, ως νεώτερο μνημείο, διότι διατηρεί τοιχογραφίες του πολύ γνωστού ζωγράφου και συγγραφέα Φώτη Κόντογλου.

 

15. Το υπ' αριθμόν πρωτοκόλλου 2535/20.01.2016 έγγραφο της Διεύθυνσης Πολεοδομικού Σχεδιασμού και Τράπεζας Γης - Τμήμα Πολεοδομικών Μελετών και Ρυθμίσεων του Υπουργείου Περιβάλλοντος και Ενέργειας, με το οποίο διαβιβάστηκε ο φάκελος τροποποίησης, στην Διεύθυνση Περιβάλλοντος και Χωρικού Σχεδιασμού Αποκεντρωμένης Διοίκησης Αττικής.

 

16. Το υπ' αριθμόν πρωτοκόλλου 47208/2015 έγγραφο της Διεύθυνσης Αρχιτεκτονικής, Οικοδομικών Κανονισμών και Αδειοδοτήσεων - Τμήμα Ιστορικών Κέντρων Πόλεων και Παραδοσιακών Οικισμών - του ίδιου Υπουργείου.

 

17. Το υπ' αριθμόν πρωτοκόλλου 342528/2015 έγγραφο της Διεύθυνσης Σχεδίου Πόλεως και Δόμησης - Τμήμα Πολεοδομικού Σχεδιασμού του Δήμου Αθηναίων.

 

18. Το υπ' αριθμόν πρωτοκόλλου 15264/2012 έγγραφο της Διεύθυνσης Ειδικών Έργων Αναπτυξιακών Περιοχών του Υπουργείου Περιβάλλοντος και Κλιματικής Αλλαγής.

 

19. Την υπ' αριθμόν 90 πράξη - 4η/11-03-2014 Συνεδρίαση της Επιτροπής Ποιότητας Ζωής του Δήμου Αθηναίων όπως και τις υπ' αριθμόν 599/26-03-2014 (της 6ης Συνεδρίασης) και 1206/08-10-2015 αποφάσεις του Δημοτικού Συμβουλίου του οικείου Δήμου.

 

20. Την υπ' αριθμόν πρωτοκόλλου 7408/475/11-04-2016 εισήγηση της Διεύθυνσης Περιβάλλοντος και Χωρικού Σχεδιασμού της Αποκεντρωμένης Διοίκησης Αττικής προς το Συμβούλιο Πολεοδομικών Θεμάτων και Αμφισβητήσεων Περιφερειακής Ενότητας Κεντρικού Τομέα Αθηνών για έγκριση της προτεινόμενης τροποποίησης.

 

21. Το με αριθμό 11 πρακτικό επί του 1ου θέματος της 11ης/26-07-2016 συνεδρίασης του Συμβουλίου Πολεοδομικών Θεμάτων και Αμφισβητήσεων Περιφερειακής Ενότητας Κεντρικού Τομέα Αθηνών, σύμφωνα με το οποίο γνωμοδότησε ομόφωνα υπέρ της τροποποίησης του εγκεκριμένου ρυμοτομικού σχεδίου, στην 6η Δημοτική Ενότητα του Δήμου Αθηναίων, με χαρακτηρισμό ως πεζοδρόμων: α) του μη χαρακτηρισμένου τμήματος της οδού Αγίου Νικολάου, μεταξύ των οδών Λεωφόρων Ιωνίας και Αχαρνών και β) τμήματος της οδού Μοσχοπόλεως, μεταξύ των οδών Αγίου Νικολάου και Τιθορέας.

 

22. Το γεγονός ότι από τις διατάξεις της παρούσας δεν προκαλείται δαπάνη σε βάρος του προϋπολογισμού του οικείου οργανισμού τοπικής αυτοδιοίκησης, σύμφωνα με την υπ' αριθμόν πρωτοκόλλου 331292/2015 βεβαίωση της Προϊσταμένης του Τμήματος Πολεοδομικού Σχεδιασμού του Δήμου.

 

Και επειδή

 

Σύμφωνα με το υπ' αριθμόν πρωτοκόλλου 15264/26-04-2012 έγγραφο (σχετικό 18) της Διεύθυνσης Ειδικών Έργων Ανάπτυξης Περιοχών του Υπουργείου Περιβάλλοντος και Κλιματικής Αλλαγής, η αναγκαιότητα της εν θέματι τροποποίησης είχε ήδη προκύψει κατά το στάδιο της προμελέτης της ανάπλασης της πλατείας Αγίου Νικολάου.
στο ίδιο έγγραφο αναφέρεται επί πλέον ότι: δεν υπήρξε διαφωνία ή διατύπωση άλλης άποψης από πλευράς της Διεύθυνσης Μελετών του Δήμου Αθηναίων ή του Υπουργείου Πολιτισμού. Κατόπιν των παραπάνω και προκειμένου να υλοποιηθούν οι στόχοι της ανάπλασης, προκύπτει η ανάγκη να χαρακτηρισθούν ως πεζόδρομοι τα τμήματα της οδού Αγίου Νικολάου από την οδό Μοσχοπόλεως έως την Λεωφόρο Ιωνίας και της οδού Μοσχοπόλεως από την οδό Τιθορέας έως την οδό Αγίου Νικολάου...
Οι προτεινόμενες πεζοδρομήσεις:
oεντάσσονται και υποστηρίζουν το υπάρχον δίκτυο πεζοδρόμων, με στόχο την ανάδειξη του Ιερού Ναού Αγίου Νικολάου,
oενισχύουν την αναβάθμιση της περιοχής, σε συνδυασμό με τις προτεινόμενες διαμορφώσεις, στα πλαίσια της μελέτης ανάπλασης του χώρου της πλατείας, για τις οποίες υπάρχει η σύμφωνη γνώμη της αρμόδιας Υπηρεσίας του Υπουργείου Πολιτισμού και
oδεν δυσχεραίνουν τη λειτουργία των υφιστάμενων στην περιοχή χρήσεων
Η συγκεκριμένη πολεοδομική ρύθμιση αποτελεί πολεοδομικό λόγο, που αποβλέπει στο κοινό όφελος, καθόσον συνδράμει στην βελτίωση της ποιότητας ζωής, τόσο των μόνιμων κατοίκων της περιοχής, όσο και των επισκεπτών της και θα λειτουργήσει θετικά ως προς την κυκλοφορία της οδού Λεωφόρου Ιωνίας, που αποτελεί άξονα του Βασικού Οδικού Δικτύου, σε συνδυασμό με τις κυκλοφοριακές ρυθμίσεις που προτείνονται και αναφέρονται στο υπ' αριθμόν πρωτοκόλλου 15264/2012 έγγραφο (σχετικό 18) της Διεύθυνσης Ειδικών Έργων Α. Περιοχών του Υπουργείου Περιβάλλοντος, Ενέργειας και Κλιματικής Αλλαγής, αποφασίζουμε:

 

Την τροποποίηση του εγκεκριμένου ρυμοτομικού σχεδίου στη 6η Δημοτική Ενότητα, του Δήμου Αθηναίων, με χαρακτηρισμό ως πεζοδρόμων:

 

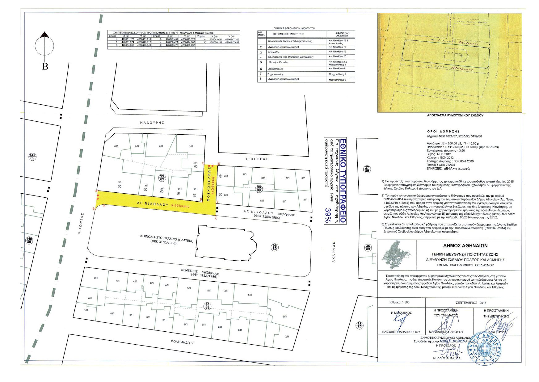
α) του μη χαρακτηρισμένου τμήματος της οδού Αγίου Νικολάου, μεταξύ των οδών Λεωφόρου Ιωνίας και Αχαρνών και β) τμήματος της οδού Μοσχοπόλεως, μεταξύ των οδών Αγίου Νικολάου και Τιθορέας, μεταξύ των οικοδομικών τετραγώνων 95/89, 96/89 και 99/89, όπως αυτά εμφανίζονται στο από Σεπτέμβριο 2015 τοπογραφικό διάγραμμα που συνοδεύει την υπ' αριθμόν 1206/2015 απόφαση του Δημοτικού Συμβουλίου του Δήμου Αθηναίων, την (21) σχετική Γνωμοδότηση του αρμόδιου Συμβουλίου Πολεοδομικών Θεμάτων και Αμφισβητήσεων και την παρούσα απόφαση.

 

Κατά της παρούσας απόφασης επιτρέπεται προσφυγή στον Υπουργό Περιβάλλοντος και Ενέργειας εντός 30 ημερών από την δημοσίευση της στην Εφημερίδα της Κυβερνήσεως Η παρούσα θα αναρτηθεί στο διαδίκτυο, στο Πρόγραμμα ΔΙΑΥΓΕΙΑ, μετά τη δημοσίευση αυτής στο φύλλο της Εφημερίδας της Κυβερνήσεως.

 

a.64110.16

 

Η απόφαση αυτή να δημοσιευθεί στην Εφημερίδα της Κυβερνήσεως.

 

Νέο Ψυχικό, 01-09-2016

 

Η Ασκούσα καθήκοντα Γενικού Γραμματέα Αποκεντρωμένης Διοίκησης

 



Copyright © 2017 TechnoLogismiki. Με την επιφύλαξη παντός δικαιώματος.