Απόφαση 51218/94 - Άρθρο 1

Άρθρο 1: Ρυθμίσεις


Συνδεθείτε στην Υπηρεσία Νομοσκόπιο
Είσοδος στην υπηρεσία Νομοσκόπιο.
   
Χρήστης
Κωδικός
  Υπενθύμιση στοιχείων λογαριασμού
   
 
Νέοι χρήστες
Εάν είστε νέος χρήστης, θα πρέπει να δημιουργήσετε ένα ΔΩΡΕΑΝ λογαριασμό προκειμένου να φύγει το παράθυρο αυτό και να αποκτήσετε πλήρη πρόσβαση στην υπηρεσία Νομοσκόπιο.
Δημιουργία νέου λογαριασμού

 

 

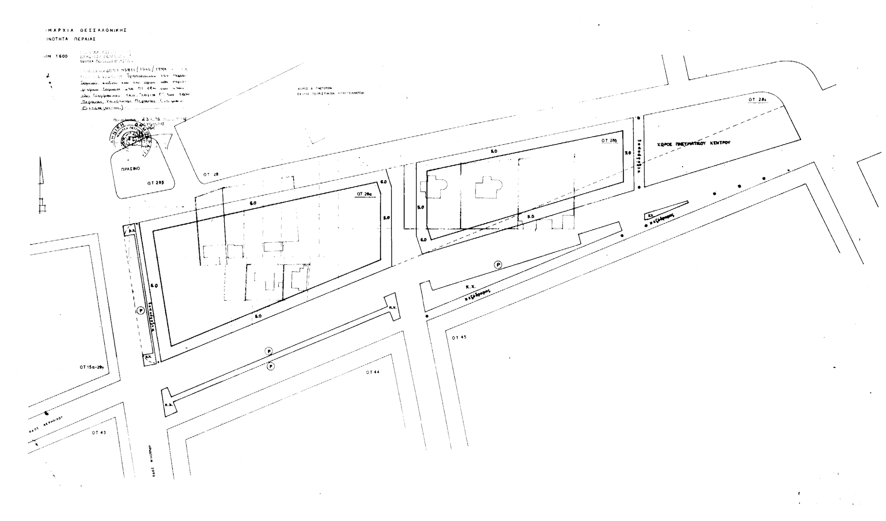
1. Εγκρίνεται τροποποίηση του ρυμοτομικού σχεδίου της (Κάτω) Περαίας Κοινότητας Περαίας στο οικοδομικό τετράγωνο 28Α και στο τμήμα της οδού Θερμαϊκού μεταξύ των οικοδομικών τετραγώνων 44 και 45 αφενός και του οικοδομικού τετραγώνου 28Α αφετέρου, όπως εικονίζεται στο διάγραμμα κλίμακας 1:500 που θεωρήθηκε από την προϊσταμένη της Διεύθυνσης Πολεοδομίας Θεσσαλονίκης, το οποίο συνοδεύει την παρούσα, συγκεκριμένα δε εγκρίνονται τα ακόλουθα:

 

α) Διάνοιξη οδού και πεζοδρόμων σε βάρος του οικοδομικού τετραγώνου 28Α και διάσπασή του σε τρία νέα οικοδομικά τετράγωνα (με αριθμούς 28Α, 28Δ και 28Ε) σε νησίδα πρασίνου και σε χώρο στάθμευσης.

 

β) Καθορισμός του δημιουργούμενου οικοδομικού τετραγώνου 28Ε ως χώρο πνευματικού κέντρου.

 

γ) Διεύρυνση των δημιουργούμενων οικοδομικών τετραγώνων 28Ε και 28Δ στην νότια πλευρά τους σε βάρος της οδού Θερμαϊκού.

 

δ) Καθορισμός νησίδων κοινοχρήστου πρασίνου, χώρων στάθμευσης, οδών και πεζοδρόμων σε βάρος του τμήματος της οδού Θερμαϊκού μεταξύ των οικοδομικών τετραγώνων 28Α - 28Δ - 28Ε αφενός και 45 - 45 αφετέρου.

 

2. Στα οικοδομικά τετράγωνα 28Α και 28Δ επιβάλλεται η τήρηση προκηπίων πλάτους 5 και 6 m όπως σημειώνεται στο πιο πάνω διάγραμμα που συνοδεύει την παρούσα.

 

3. Στα οικοδομικά τετράγωνα 28Α και 28Δ επιβάλλονται οι ακόλουθοι όροι και περιορισμοί δόμησης:

 

α) Αρτιότητα: Ελάχιστο πρόσωπο 15 m και ελάχιστο εμβαδόν 1.000 m2. Κατά παρέκκλιση θεωρούνται άρτια οικόπεδα που έχουν σχηματισθεί πριν την 05-12-1969 εφόσον έχουν ελάχιστο πρόσωπο 9 m και ελάχιστο εμβαδόν 250 m2.

 

β) Συντελεστή δόμησης: 0.6. Σε κάθε περίπτωση αρτίου οικοπέδου επιτρέπεται η δόμηση τουλάχιστο 200 m2.

 

γ) Μέγιστο ύψος οικοδομών: 8.5 m.

 

δ) Μέγιστη κάλυψη: 70% του οικοπέδου.

 

ε) Δεν επιτρέπεται η εγκατάσταση βιομηχανικών, βιοτεχνικών συνεργείων αυτοκινήτων και πρατηρίων υγρών και αερίων καυσίμων.

 

στ) Σε περίπτωση ανέγερσης ξενοδοχείου ο συντελεστής δόμησης η μέγιστη κάλυψη και το μέγιστο ύψος διέπονται από τις σχετικές διατάξεις του από [ΒΔ] 31-10-1969 βασιλικού διατάγματος (ΦΕΚ 232/Δ/1969) για δόμηση τουριστικών εγκαταστάσεων στον τομέα Γ της Περαίας.

 

ζ) Κατά τα λοιπά ισχύουν οι διατάξεις του Γενικού Οικοδομικού Κανονισμού/85 .

 

4. Στο οικοδομικό τετράγωνο 28Ε επιβάλλονται οι ακόλουθοι όροι και περιορισμοί δόμησης:

 

α) Συντελεστής δόμησης: 0.6.

 

β) Μέγιστη κάλυψη: 70% του οικοπέδου.

 

γ) Μέγιστο ύψος οικοδομών: 8.5 m.

 

δ) Κατά τα λοιπά ισχύουν οι διατάξεις του νόμου 1577/1985 Γενικός Οικοδομικός Κανονισμός.

 

a.51218.94



Copyright © 2017 TechnoLogismiki. Με την επιφύλαξη παντός δικαιώματος.