| Συνδεθείτε στην Υπηρεσία Νομοσκόπιο | | | | | Νέοι χρήστες | | Εάν είστε νέος χρήστης, θα πρέπει να δημιουργήσετε ένα ΔΩΡΕΑΝ λογαριασμό προκειμένου να φύγει το παράθυρο αυτό και να αποκτήσετε πλήρη πρόσβαση στην υπηρεσία Νομοσκόπιο. | | Δημιουργία νέου λογαριασμού | | |
Απόφαση 46039/2015: Χαρακτηρισμός ως διατηρητέου κτιρίου που βρίσκεται στον οικισμό Καλέντζι της Δημοτικής Ενότητας Καστανοχωρίων του Δήμου Βορείων Τζουμέρκων (νομού Ιωαννίνων) και καθορισμός ειδικών όρων και περιορισμών δόμησης αυτού, (ΦΕΚ 231/ΑΑΠ/2015), 18-11-2015.
Ο Υπουργός και ο Αναπληρωτής Υπουργός Περιβάλλοντος και Ενέργειας
Έχοντας υπόψη:
1. Τις διατάξεις του άρθρου 6 (παράγραφος 3)α) του νόμου 4067/2012 Νέος Οικοδομικός Κανονισμός (ΦΕΚ 79/Α/2012) όπως ισχύει.
2. Τις διατάξεις των άρθρων 26 και 27 του νόμου 4030/2011 Νέος τρόπος έκδοσης αδειών δόμησης, ελέγχου κατασκευών και λοιπών διατάξεων (ΦΕΚ 249/Α/2011), όπως τροποποιήθηκαν με το άρθρο 49 (παράγραφοι 6 και 7) του νόμου 4178/2013 Αντιμετώπιση της Αυθαίρετης Δόμησης Περιβαλλοντικό ισοζύγιο και άλλες διατάξεις (ΦΕΚ 174/Α/2013) και όπως το άρθρο 27 αντικαταστάθηκε με το άρθρο 21 (παράγραφος 4) του νόμου 4258/2014 Διαδικασία Οριοθέτησης και ρυθμίσεις θεμάτων για τα υδατορέματα ρυθμίσεις Πολεοδομικής νομοθεσίας και άλλες διατάξεις (ΦΕΚ 94/Α/2014) και ισχύουν.
3. Τις διατάξεις των άρθρων 1, 2, 283 και 286 του νόμου 3852/2010 Νέα Αρχιτεκτονική της Αυτοδιοίκησης και της Αποκεντρωμένης Διοίκησης - Πρόγραμμα Καλλικράτης (ΦΕΚ 87/Α/2010), όπως ισχύουν και του άρθρου 1 της υπ' αριθμόν 45892/2010 απόφασης του Υπουργού Εσωτερικών, Αποκέντρωσης και Ηλεκτρονικής Διακυβέρνησης Πρωτοβάθμιοι και Δευτεροβάθμιοι Οργανισμοί Τοπικής Αυτοδιοίκησης της Χώρας κ.λ.π. ((ΦΕΚ 1292/Β/2010), διόρθωση σφάλματος (ΦΕΚ 1623/Β/2010)).
4. Τις διατάξεις του άρθρου 90 του Κώδικα Νομοθεσίας για την Κυβέρνηση και τα κυβερνητικά όργανα που κυρώθηκε με το άρθρο πρώτο του προεδρικού διατάγματος 63/2005 (ΦΕΚ 98/Α/2005).
5. Τις διατάξεις του άρθρου 4 του προεδρικού διατάγματος 70/2015 Ανασύσταση των Υπουργείων Πολιτισμού και Αθλητισμού, Υποδομών, Μεταφορών και Δικτύων, Αγροτικής Ανάπτυξης και Τροφίμων. Ανασύσταση του Υπουργείου Ναυτιλίας και Αιγαίου και μετονομασία του σε Υπουργείο Ναυτιλίας και Νησιωτικής Πολιτικής. Μετονομασία του Υπουργείου Πολιτισμού, Παιδείας και Θρησκευμάτων σε Υπουργείο Παιδείας, Έρευνας και Θρησκευμάτων, του Υπουργείου Οικονομίας, Υποδομών, Ναυτιλίας και Τουρισμού σε Υπουργείο Οικονομίας, Ανάπτυξης και Τουρισμού και του Υπουργείου Παραγωγικής Ανασυγκρότησης, Περιβάλλοντος και Ενέργειας σε Υπουργείο Περιβάλλοντος και Ενέργειας. Μεταφορά Γενικής Γραμματείας Βιομηχανίας στο Υπουργείο Οικονομίας, Ανάπτυξης και Τουρισμού (ΦΕΚ 114/Α/2015).
6. Την υπ' αριθμόν Υ31/2015 απόφαση του Πρωθυπουργού Ανάθεση αρμοδιοτήτων στον Αναπληρωτή Υπουργό Περιβάλλοντος και Ενέργειας, Ιωάννη Τσιρώνη (ΦΕΚ 2183/Β/2015).
7. Την υπ' αριθμόν 240/2004 απόφαση της Επιτροπής Πολεοδομικού και Αρχιτεκτονικού Ελέγχου Νομαρχιακής Αυτοδιοίκησης Ιωαννίνων.
8. Την από 06-06-2005 αιτιολογική έκθεση της Διεύθυνσης Πολεοδομικού Σχεδιασμού - Τμήμα Παραδοσιακών Οικισμών του Υπουργείου Περιβάλλοντος, Χωροταξίας και Δημοσίων Έργων.
9. Το υπ' αριθμόν 1527/02-07-2005 έγγραφο του Δήμου Καστανοχωρίων (νομού Ιωαννίνων) (αριθμός πρωτοκόλλου ΥΠΕΧΩΔΕ 30912/2005).
10. Την από 22-09-2014 αίτηση των φερόμενων ιδιοκτητών Βασιλείου, Δημοσθένη και Κωνσταντίνας Πατερούση (αριθμός πρωτοκόλλου ΥΠΕΚΑ 44004/2014).
11. Την από 25-11-2014 εισήγηση της Διεύθυνσης Αρχιτεκτονικής, Οικοδομικών Κανονισμών και Αδειοδοτήσεων - Τμήμα Διατηρητέων Κτιρίων του Υπουργείου Περιβάλλοντος, Ενέργειας και Κλιματικής Αλλαγής, προς το Κεντρικό Συμβούλιο Αρχιτεκτονικής.
12. Την υπ' αριθμόν 207/συνεδρίαση 36η/12-12-2014 γνωμοδότηση του Κεντρικού Συμβουλίου Αρχιτεκτονικής.
13. Το γεγονός ότι από τις κανονιστικές διατάξεις αυτής της απόφασης δεν προκαλείται δαπάνη σε βάρος του κρατικού προϋπολογισμού και του προϋπολογισμού του οικείου οργανισμού τοπικής αυτοδιοίκησης., αποφασίζουμε:
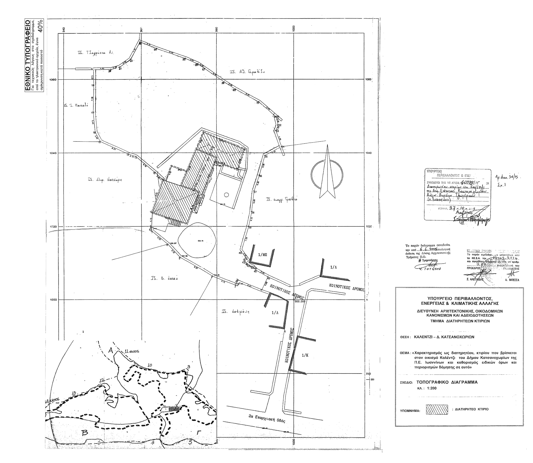
1. Χαρακτηρίζεται ως διατηρητέο το κτίριο που βρίσκεται στον οικισμό Καλέντζι της Δημοτικής Ενότητας Καστανοχωρίων του Δήμου Βορείων Τζουμέρκων (νομού Ιωαννίνων) και φέρεται ως ιδιοκτησία Βασιλείου, Δημοσθένη και Κωνσταντίνας Πατερούση, όπως φαίνεται με μαύρη διαγράμμιση στο σχετικό πρωτότυπο διάγραμμα σε κλίμακα 1:200, που θεωρήθηκε από τον Προϊστάμενο της Διεύθυνσης Τοπογραφικών Εφαρμογών και Γεωχωρικών Πληροφοριών με την υπ' αριθμόν 46039/2015 πράξη του και που αντίτυπό του σε φωτοσμίκρυνση συνδημοσιεύεται με την παρούσα απόφαση.
2. Ως διατηρητέο χαρακτηρίζεται το σύνολο του κτιρίου καθώς και η εναρμονιζόμενη με αυτό μεταγενέστερη προσθήκη, όχι όμως και τα πάσης φύσεως μεταγενέστερα προσκτίσματα που το αλλοιώνουν. Ο καθορισμός των προσκτισμάτων, στοιχείων ή προσθηκών που το αλλοιώνουν πραγματοποιούνται από το Συμβούλιο Αρχιτεκτονικής.
3. Στο χαρακτηριζόμενο ως διατηρητέο κτίριο απαγορεύεται κάθε αφαίρεση, αλλοίωση ή καταστροφή των επί μέρους αρχιτεκτονικών ή καλλιτεχνικών και διακοσμητικών στοιχείων του, πλην των στοιχείων, για τα οποία το Συμβούλιο Αρχιτεκτονικής έχει γνωμοδοτήσει για την αφαίρεσή τους.
4. Επιτρέπεται η επισκευή και η ενίσχυση του φέροντα οργανισμού χωρίς την προσθήκη νέων φερόντων στοιχείων, με υλικά διαφορετικά από τα υφιστάμενα, καθώς και ο εκσυγχρονισμός των εγκαταστάσεων για λόγους λειτουργικούς, εφόσον δεν αλλοιώνεται ο αρχιτεκτονικός χαρακτήρας και δεν θίγονται τα διατηρητέα στοιχεία του.
5. Επιτρέπεται η καθαίρεση των νεωτερικών επιχρισμάτων και η ενίσχυση των λιθοδομών με επιμελημένο αρμολόγημα με υλικά συμβατά με τα αρχικά.
6. Απαγορεύεται η τοποθέτηση φωτεινών ή μη επιγραφών και διαφημίσεων στο χαρακτηριζόμενο ως διατηρητέο κτίριο. Επιτρέπεται η τοποθέτηση επιγραφών μικρών διαστάσεων που πληροφορούν για τη χρήση των χώρων του κτιρίου.
7. Αιτήσεις για προσθήκη στο χαρακτηριζόμενο ως διατηρητέο κτίριο υποβάλλονται στη Διεύθυνση Αρχιτεκτονικής, Οικοδομικών Κανονισμών και Αδειοδοτήσεων του Υπουργείου Παραγωγικής Ανασυγκρότησης, Περιβάλλοντος και Ενέργειας, με γνώμη του οικείου Συμβουλίου Αρχιτεκτονικής, σύμφωνα με τις δια τάξεις του άρθρου 6 (παράγραφος 3)γ.) του νόμου 4067/2012 (ΦΕΚ 79/Α/2012), όπως ισχύει, εφόσον δεν παραβλάπτεται το χαρακτηριζόμενο ως διατηρητέο κτίριο και ο χώρος που το περιβάλλει.
8. Για οποιαδήποτε επέμβαση στο εξωτερικό και εσωτερικό του χαρακτηριζόμενου ως διατηρητέου κτιρίου όπως και για την τοποθέτηση επιγραφών απαιτείται έγκριση του οικείου Συμβουλίου Αρχιτεκτονικής.
9. Η ισχύς της παρούσας απόφασης αρχίζει από τη δημοσίευσή της στην Εφημερίδα της Κυβερνήσεως.

Η απόφαση αυτή να δημοσιευθεί στην Εφημερίδα της Κυβερνήσεως.
Αθήνα, 27-10-2015
Ο Υπουργός