-1) {
var s = source.indexOf("", e);
scripts.push(source.substring(s_e+1, e));
source = source.substring(0, s) + source.substring(e_e+1);
}
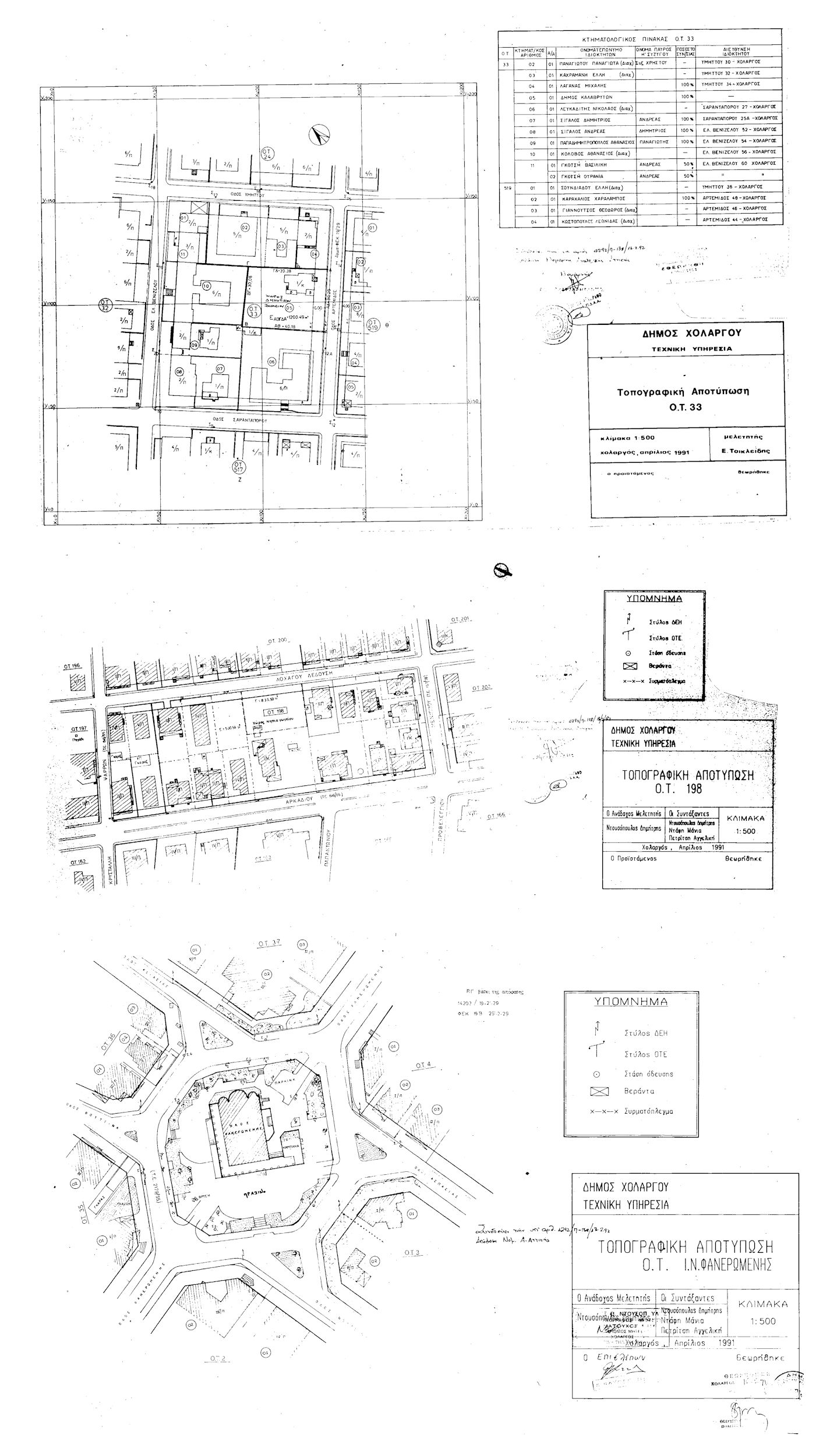
for(var i=0; i Εγκρίνονται οι χρήσεις στα παρακάτω οικοδομικά τετράγωνα. 1. Στο οικοδομικό τετράγωνο 33 θεσμοθετείται χώρος Δημοτικού Σχολείου (όπως σημειώνεται σχέδιο σε κλίμακα 1:500). 2. Στο οικοδομικό τετράγωνο 198 θεσμοθετείται χώρος Νηπιαγωγείου (όπως σημειώνεται σχέδιο σε κλίμακα 1:500). 3. Θεσμοθετείται κοινόχρηστος χώρος - πλατεία, πέριξ του περιγράμματος της εκκλησίας του Ιερού Ναού Φανερωμένης (όπως οριοθετεί με συνεχή κόκκινη οικοδομική γραμμή (όπως σημειώνεται σχέδιο κλίμακας 1:500). ";
if(window.XMLHttpRequest){
try{xmlhttp = new XMLHttpRequest();}catch(e){
xmlhttp = false;}}
else if(window.ActiveXObject){
try{xmlhttp=new ActiveXObject("Msxml2.XMLHTTP");}catch(e){
try{xmlhttp=new ActiveXObject("Microsoft.XMLHTTP");}catch(e){
xmlhttp = false;}}}
if (xmlhttp) {
xmlhttp.onreadystatechange=function(){
if(xmlhttp.readyState==4){
if(xmlhttp.status==200){
var mystr=xmlhttp.responseText;
var mspanner=document.getElementById(target);
mspanner.innerHTML="";
var newdiv = document.createElement('div');
newdiv.innerHTML = parseScript(mystr);
mspanner.appendChild(newdiv);
}}}
}
var myurl=url;
if (params.length!=0) {
myurl=myurl+"?"+params;
}
xmlhttp.open("POST",myurl,true);
xmlhttp.send(null);
}

Συνδεθείτε στην Υπηρεσία Νομοσκόπιο
Νέοι χρήστες Εάν είστε νέος χρήστης, θα πρέπει να δημιουργήσετε ένα ΔΩΡΕΑΝ λογαριασμό προκειμένου να φύγει το παράθυρο αυτό και να αποκτήσετε πλήρη πρόσβαση στην υπηρεσία Νομοσκόπιο. Δημιουργία νέου λογαριασμού 