Απόφαση 417/96

Απόφαση 417/1996: Έγκριση πολεοδομικής μελέτης επέκτασης αδόμητης κοινοτικής έκτασης εντός και εκτός ορίων του οικισμού Βαλανιδούσας νομού Πρέβεζας


Συνδεθείτε στην Υπηρεσία Νομοσκόπιο
Είσοδος στην υπηρεσία Νομοσκόπιο.
   
Χρήστης
Κωδικός
  Υπενθύμιση στοιχείων λογαριασμού
   
 
Νέοι χρήστες
Εάν είστε νέος χρήστης, θα πρέπει να δημιουργήσετε ένα ΔΩΡΕΑΝ λογαριασμό προκειμένου να φύγει το παράθυρο αυτό και να αποκτήσετε πλήρη πρόσβαση στην υπηρεσία Νομοσκόπιο.
Δημιουργία νέου λογαριασμού

 

 

Απόφαση 417/2018: Έγκριση πολεοδομικής μελέτης επέκτασης αδόμητης κοινοτικής έκτασης εντός και εκτός ορίων του οικισμού Βαλανιδούσας νομού Πρέβεζας, (ΦΕΚ 184/Δ/1996), 28-02-1996.

 

Ο Νομάρχης Πρέβεζας

 

Έχοντας υπόψη:

 

1. Τις διατάξεις του νόμου 3200/1955 περί διοικητικής αποκεντρώσεως και τις διατάξεις του νομοθετικού διατάγματος 3620/1956 περί τροποποιήσεως και συμπληρώσεως των διατάξεων περί διοικητικής αποκεντρώσεως.

 

2. Τις διατάξεις του νομοθετικού διατάγματος 532/1970 περί συμπληρώσεως των διατάξεων περί διοικητικής αποκεντρώσεως.

 

3. Τις διατάξεις του νόμου 1032/1980 περί συστάσεως Υπουργείου Χωροταξίας.

 

4. Τις διατάξεις του από 24-04-1985 προεδρικού διατάγματος Τρόπος καθορισμού ορίων οικισμών της Χώρας μέχρι 2.000 κατοίκους κ.λ.π. και των τροποποιήσεων του από 25-04-1989 προεδρικού διατάγματος.

 

5. Την υπ' αριθμόν οίκοθεν [Α] ΤΠ/4794/1985 απόφαση Νομάρχη περί καθορισμού των ορίων του οικισμού Βαλανιδούσας νομού Πρέβεζας.

 

6. Το από 20-08-1985 προεδρικό διάταγμα περί πολεοδόμησης και επέκτασης οικισμών κάτω των 2.000 κατοίκων (ΦΕΚ 414/Δ/1985).

 

7. Το υπ' αριθμόν 364/25-07-1994 έγγραφο της Κοινότητας Βαλανιδούσας.

 

8. Την υπ' αριθμόν ΤΠ/2635/09-11-1994 εισήγηση του Τμήματος Πολεοδομίας και Πολεοδομικών Εφαρμογών νομού Πρέβεζας.

 

9. Το υπ' αριθμόν 12/θέμα 4ο/18-11-1994 πρακτικό του Συμβουλίου Χωροταξίας, Οικισμού και Περιβάλλοντος νομού Πρέβεζας, με το οποίο εισηγείται θετικά, αποφασίζουμε:

 

Άρθρο μόνο

 

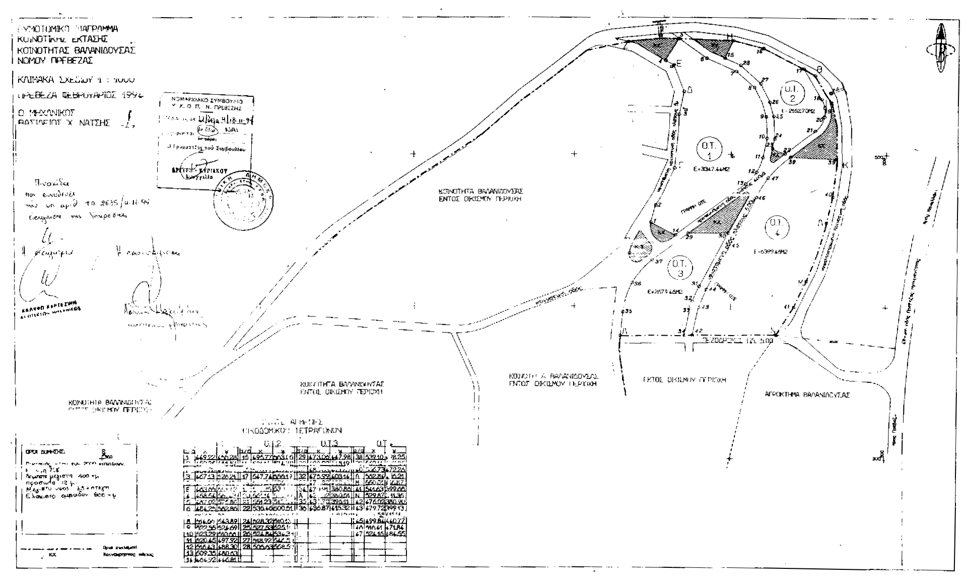
Εγκρίνουμε την πολεοδομική μελέτη επέκτασης αδόμητης κοινοτικής έκτασης εντός και εκτός ορίων του οικισμού Βαλανιδούσας με όρους δόμησης:

 

1. Πρόσωπο: 12 m.

 

2. Κάλυψη: 70%

 

3. Ελάχιστο εμβαδόν: 800 m2.

 

4. Μέγιστο ύψος: 7.50 + στέγη.

 

5. Μέγιστη δόμηση: 400 m2.

 

όπως ειδικότερα φαίνεται στο διάγραμμα που φέρει τη θεώρηση της Προϊσταμένης του Δ.Π. & Π.Ε. Αθηνάς Μαλανδράκη και τη σφραγίδα του Συμβουλίου Χωροταξίας, Οικισμού και Περιβάλλοντος.

 

Η παρούσα να δημοσιευθεί στην Εφημερίδα της Κυβερνήσεως.

 

a.417.96

 

Πρέβεζα, 08-02-1996

 

Ο Νομάρχης

 



Copyright © 2020 TechnoLogismiki. Με την επιφύλαξη παντός δικαιώματος.