Απόφαση 39992/17

Απόφαση 39992/2017: Έγκριση των υπ' αριθμόν 289/2015 και 83/2016 πράξεων της Λιμενικής Επιτροπής Λέσβου με θέμα Επέκταση της χερσαίας ζώνης του λιμένα Καβάκι Πέτρας


Συνδεθείτε στην Υπηρεσία Νομοσκόπιο
Είσοδος στην υπηρεσία Νομοσκόπιο.
   
Χρήστης
Κωδικός
  Υπενθύμιση στοιχείων λογαριασμού
   
 
Νέοι χρήστες
Εάν είστε νέος χρήστης, θα πρέπει να δημιουργήσετε ένα ΔΩΡΕΑΝ λογαριασμό προκειμένου να φύγει το παράθυρο αυτό και να αποκτήσετε πλήρη πρόσβαση στην υπηρεσία Νομοσκόπιο.
Δημιουργία νέου λογαριασμού

 

 

Απόφαση 39992/2017: Έγκριση των υπ' αριθμόν 289/2015 και 83/2016 πράξεων της Λιμενικής Επιτροπής Λέσβου με θέμα Επέκταση της χερσαίας ζώνης του λιμένα Καβάκι Πέτρας, (ΦΕΚ 162/ΑΑΠ/2017), 19-07-2017.

 

Ο Συντονιστής Αποκεντρωμένης Διοίκησης Αιγαίου

 

Έχοντας υπόψη:

 

1. Τις διατάξεις των άρθρων 6 και 280 του νόμου 3852/2010 (ΦΕΚ 87/Α/2010) Νέα Αρχιτεκτονική της Αυτοδιοίκησης και της Αποκεντρωμένης Διοίκησης- Πρόγραμμα Καλλικράτης, όπως ισχύει.

 

Των άρθρων 28 και 28Α του νόμου 4325/2015 Εκδημοκρατισμός της Διοίκησης - Καταπολέμηση της Γραφειοκρατίας και Ηλεκτρονική Διακυβέρνηση. Αποκατάσταση αδικιών και άλλες διατάξεις (ΦΕΚ 47/Α/2015),
του προεδρικού διατάγματος 143/2010 (ΦΕΚ 236/Α/2010) Οργανισμός της Αποκεντρωμένης Διοίκησης Αιγαίου, όπως ισχύει.

 

2. Την υπ' αριθμόν 14192/2017 (ΦΕΚ 250/ΥΟΔΔ/2017) απόφαση του Υπουργού Εσωτερικών περί διορισμού του Νικόλαου Θεοδωρίδη ως Συντονιστή της Αποκεντρωμένης Διοίκησης Αιγαίου.

 

3. Τις διατάξεις του νόμου 2971/2001 (ΦΕΚ 285/Α/2001) Αιγιαλός, παραλία και άλλες διατάξεις, και ειδικότερα το άρθρο 21 αυτού, όπως συμπληρώθηκε με το άρθρο 49 του νόμου 4150/2013 (ΦΕΚ 102/A/2013).

 

4. Τις διατάξεις των άρθρων 14 και 15 του από [ΒΔ] 14-01-1939 βασιλικού διατάγματος Περί κωδικός των περί Λιμενικών Ταμείων κειμένων διατάξεων.

 

5. Τις διατάξεις του άρθρου 46 παράγραφος 21 του νόμου 3220/2004 (ΦΕΚ 15/Α/2004), δυνάμει των οποίων οι αρμοδιότητες του Υπουργού Οικονομίας και Οικονομικών, οι οποίες ανήκαν ή είχαν μεταβιβαστεί στους Νομάρχες μέχρι την έναρξη λειτουργίας των Νομαρχιακών Αυτοδιοικήσεων και αφορούν θέματα των Υπηρεσιών του Υπουργείου Οικονομίας και Οικονομικών, που εξαιρέθηκαν από την κατάργηση με τις διατάξεις της παραγράφου 2 του άρθρου 39 του νόμου 2218/1994 περιέρχονται στον Γενικό Γραμματέα της Περιφέρειας, εκτός των θεμάτων των Υ.Δ.Ε.

 

6. Τα υπ' αριθμόν 580/25-02-2016, 906/28-03-2016, 1481/10-05-2016 και 1648/13-05-2016 έγγραφα του Λιμενικού Ταμείου Λέσβου με τα οποία υποβλήθηκαν στους αρμόδιους φορείς οι υπ' αριθμόν 289/2015 και 83/2016 (συμπλήρωση της πρώτης) πράξεις της Λιμενικής Επιτροπής Λέσβου που αφορά στην επέκταση χερσαίας ζώνης λιμένα στο Καβάκι Πέτρας, με τα σχετικά τοπογραφικά διαγράμματα.

 

7. Τα υπ' αριθμόν 3387/68569/19-07-2016, 1840/41034/24-06-2016 και 1200/25306/07-03-2016 έγγραφα της Διεύθυνσης Αλιευτικών Πόρων και Αλιευτικής Πολιτικής του Υπουργείου Αγροτικής Ανάπτυξης και Τροφίμων.

 

8. Το υπ' αριθμόν ΔΛΥ/921/Φ.32/Μ/21-06-2016 έγγραφο της Διεύθυνσης Λιμενικών Υποδομών του Υπουργείου Υποδομών, Μεταφορών και Δικτύων.

 

9. Τα υπ' αριθμόν 730/21-04-2016 και 476/16-03-2016 έγγραφα της Υπηρεσίας Νεώτερων Μνημείων και Τεχνικών Έργων Βορείου Αιγαίου του Υπουργείου Πολιτισμού και Αθλητισμού.

 

10. Το υπ' αριθμόν 2562/29-06-2016 έγγραφο του Αυτοτελούς Γραφείου Δημόσιας Περιουσίας Λέσβου του Υπουργείου Οικονομικών.

 

11. Το υπ' αριθμόν 919/13-03-2017 έγγραφο του Δημοτικού Λιμενικού Ταμείου Λέσβου, με το οποίο διαβιβάζεται η υπ' αριθμόν 49/2017 πράξη του για την κατάργηση της χερσαίας ζώνης του λιμένα στον όρμο Πέτρας και την επέκταση της χερσαίας ζώνης λιμένα Καβάκι Πέτρας και το υπ' αριθμόν 25255/28-04-2017 έγγραφο με το οποίο ενημερώνουμε ότι μπορεί να εγκριθεί μόνο η επέκταση της χερσαίας ζώνης λιμένα σύμφωνα με τις αριθμ. 289/2015 και 83/2016 προηγούμενες αποφάσεις τους και σύμφωνα με τα προαναφερόμενα εγκριτικά έγγραφα από τους αρμόδιους φορείς.

 

12. Το υπ' αριθμόν 2428/06-06-2017 έγγραφο του Δημοτικού Λιμενικού Ταμείου με την υπ' αριθμόν 142/2017 απόφασή του σύμφωνα με την οποία καταργείται το Α' σκέλος της 49/2017 απόφασης τους, περί κατάργησης χερσαίας ζώνης του λιμένα στον όρμο Πέτρας και ζητείται η έγκριση των προηγούμενων αποφάσεων τους για την επέκταση της χερσαίας ζώνης λιμένα στο Καβάκι Πέτρας, με τις εγκρίσεις που είχαν δοθεί από τους αρμόδιους φορείς, αποφασίζουμε:

 

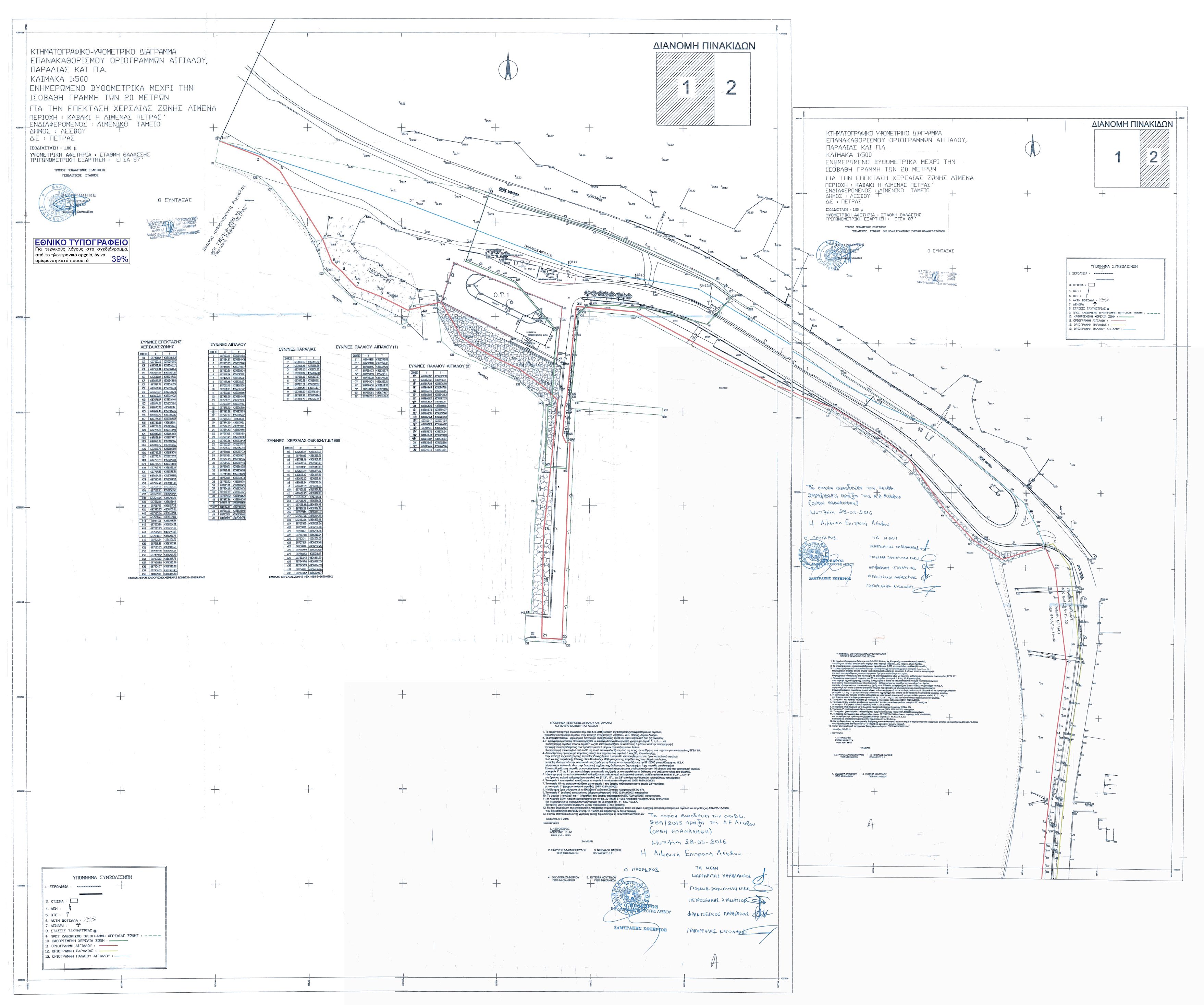
Εγκρίνουμε την υπ' αριθμόν 289/2015 και την 83/2016 συμπλήρωση αυτής πράξεις του Δημοτικού Λιμενικού Ταμείου Λέσβου που αφορούν στην επέκταση της χερσαίας ζώνης λιμένα στο Καβάκι Πέτρας, όπως ειδικότερα αναφέρεται στις ανωτέρω αποφάσεις και όπως αποτυπώνεται στο υψομετρικό - βυθομετρικό διάγραμμα που συνέταξε ο Ι. Πιττός, Τοπογράφος Μηχανικός, σε 2 πινακίδες τον Φεβρουάριο του 2012 σε κλίμακα 1:500 και θεωρήθηκε από τον Αναπληρωτή Προϊστάμενο της Διεύθυνσης Τεχνικών Έργων της Περιφερειακής Ενότητας Λέσβου Φώτιο Κρητικόπουλο, Τοπογράφο Μηχανικό, στις 30-07-2013.

 

To διάγραμμα αυτό αποτελεί αναπόσπαστο μέρος της παρούσας απόφασης.

 

Η απόφαση αυτή μαζί με τα συνοδευτικά διαγράμματα σε κλίμακα 1:500 να δημοσιευθεί στην Εφημερίδα της Κυβερνήσεως.

 

a.39992.17

 

Μυτιλήνη, 06-07-2017

 

Ο Συντονιστής Αποκεντρωμένης Διοίκησης

 

ΣΗΜΕΙΩΣΗ: Η παρούσα απόφαση καταργήθηκε με την υπ' αριθμόν 47871/2017 απόφαση (ΦΕΚ 213/ΑΑΠ/2017).

 



Copyright © 2020 TechnoLogismiki. Με την επιφύλαξη παντός δικαιώματος.