| Συνδεθείτε στην Υπηρεσία Νομοσκόπιο | | | | | Νέοι χρήστες | | Εάν είστε νέος χρήστης, θα πρέπει να δημιουργήσετε ένα ΔΩΡΕΑΝ λογαριασμό προκειμένου να φύγει το παράθυρο αυτό και να αποκτήσετε πλήρη πρόσβαση στην υπηρεσία Νομοσκόπιο. | | Δημιουργία νέου λογαριασμού | | |
Απόφαση 3548/166/2012: Τροποποίηση του εγκεκριμένου ρυμοτομικού σχεδίου οικισμού Καρδιάς Πτολεμαΐδας στα οικοδομικά τετράγωνα 426 και 427, (ΦΕΚ 47/ΑΑΠ/2012), 22-02-2012.
Ο Περιφερειάρχης Δυτικής Μακεδονίας
Έχοντας υπόψη:
1. Τις διατάξεις του από 17-07-1923 νομοθετικού διατάγματος, και ειδικότερα των άρθρων 3, 9, 11, 70 περί σχεδίων πόλεων, κωμών κ.τ.λ. όπως τροποποιήθηκαν και συμπληρώθηκαν μεταγενέστερα.
2. Το νόμο 1337/1983 (ΦΕΚ 33/Α/1983) περί επέκτασης των Πολεοδομικών σχεδίων, Οικιστική ανάπτυξη και σχετικές ρυθμίσεις.
3. Τις διατάξεις του άρθρου 29 του νόμου 2831/2000 (ΦΕΚ 140/Α/2000), όπως αντικαταστάθηκαν από το άρθρο 10 του νόμου 3044/2002 (ΦΕΚ 197/Α/2002).
4. Την εγκύκλιο 6/2006 περί άσκησης αρμοδιοτήτων πολεοδομικού σχεδιασμού.
5. Το νόμο 3852/2010 (ΦΕΚ 87/Α/2010) Νέα Αρχιτεκτονική της Αυτοδιοίκησης και της Αποκεντρωμένης Διοίκησης - Πρόγραμμα Καλλικράτης και ειδικότερα το άρθρο 186 παράγραφος II υποπερίπτωση ΣΤ αριθμός 39.
6. Το προεδρικό διάταγμα 146/2010 Οργανισμός της Περιφέρειας Δυτικής Μακεδονίας (ΦΕΚ 239/Α/2010).
7. Το από [ΠΔ] 09-05-1977 προεδρικό διάταγμα (ΦΕΚ 164/Δ/1997) περί επεκτάσεως του ρυμοτομικού σχεδίου Πτολεμαΐδας και καθορισμού των όρων και περιορισμών δομήσεως των οικοπέδων αυτού.
8. Την υπ' αριθμόν 340/93/1993 (ΦΕΚ 1428/Δ/1993) απόφαση Νομάρχη Κοζάνης περί Αναθεώρησης του εγκεκριμένου ρυμοτομικού σχεδίου του Δήμου Πτολεμαΐδας νομού Κοζάνης.
9. Την υπ' αριθμόν 416/2002 απόφαση Δημοτικού Συμβουλίου Πτολεμαΐδας, που γνωμοδοτεί θετικά για την εν λόγω τροποποίηση.
10. Την υπ' αριθμόν 229/2011 απόφαση Δημοτικού Συμβουλίου Εορδαίας, που επικαιροποιεί την υπ' αριθμόν 416/2002 απόφαση Δημοτικού Συμβουλίου του πρώην Δήμου Πτολεμαΐδας.
11. Την υπ' αριθμόν 19/2011 θετική γνωμοδότηση του Συμβουλίου Χωροταξίας, Οικισμού και Περιβάλλοντος Νομού Κοζάνης που διατυπώθηκε στην 7η Συνεδρίαση Θέμα 1ο, στις 22-12-2011.
12. Το υπ' αριθμόν 51704/2011 έγγραφο του Δήμου Εορδαίας με το οποίο βεβαιώνεται ότι κατά της εν λόγω τροποποίησης δεν υποβλήθηκαν ενστάσεις, κανένα οικόπεδο δεν καθίσταται μη άρτιο και δεν έχουμε μείωση των κοινοχρήστων χώρων της πόλης.
13. Τις διατάξεις του άρθρου 90 του Κώδικα Νομοθεσίας για την Κυβέρνηση και τα κυβερνητικά όργανα (ΦΕΚ 98/Α/2005) που κυρώθηκε με το άρθρο πρώτο του προεδρικού διατάγματος 63/2005 και το γεγονός ότι από την εφαρμογή των κανονιστικών αυτών διατάξεων δεν προκαλείται δαπάνη σε βάρος του Κρατικού ή Δημοτικού προϋπολογισμού.
Και επειδή:
Η συγκεκριμένη τροποποίηση δεν αντίκειται στις διατάξεις της εγκυκλίου 6/2006, αποφασίζουμε:
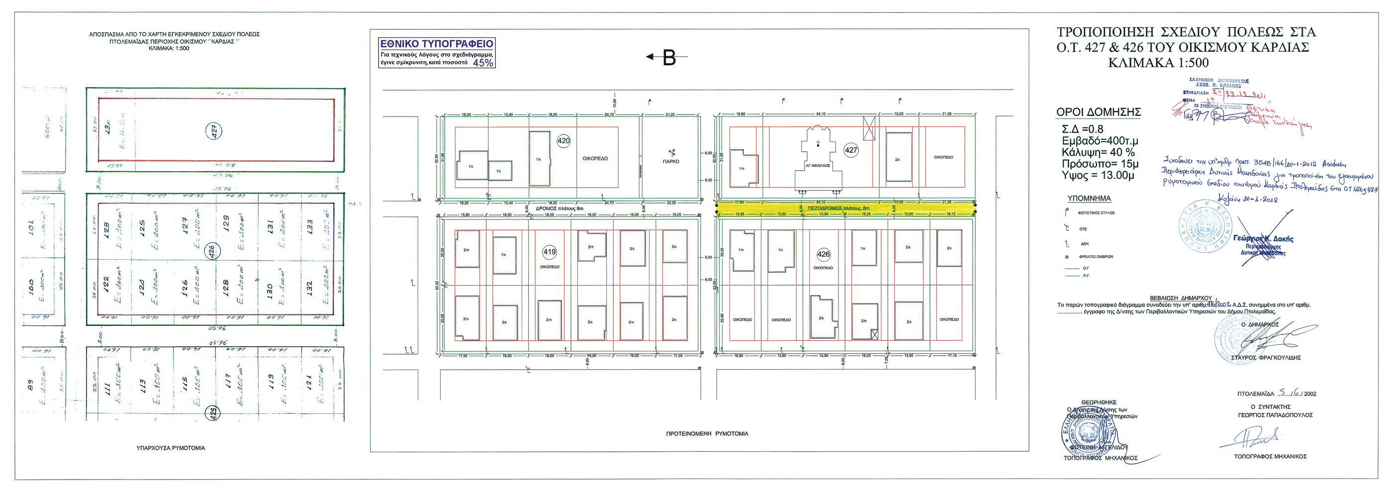
Την τροποποίηση του εγκεκριμένου ρυμοτομικού σχεδίου οικισμού Καρδιάς Πτολεμαΐδας στα οικοδομικά τετράγωνα 426 και 427 και συγκεκριμένα τον αποχαρακτηρισμό του υφιστάμενου δρόμου μεταξύ των οικοδομικών τετραγώνων 426 και 427 και το χαρακτηρισμό του ως ΠΕΖΟΔΡΟΜΟ όπως φαίνεται στο συνημμένο τοπογραφικό διάγραμμα, θεωρημένο από την Διεύθυνση Περιβαλλοντικών Υπηρεσιών, τμήμα Πολεοδομίας του Δήμου Πτολεμαΐδας.
Η παρούσα απόφαση και τα συνημμένα σχέδια που τη συνοδεύουν να αναρτηθούν στο κτίριο της Περιφερειακής Ενότητας Κοζάνης της Περιφέρειας Δυτικής Μακεδονίας, Διεύθυνση Περιβάλλοντος και Χωρικού Σχεδιασμού 3ος όροφος, για 15 ημέρες μετά τη δημοσίευση της απόφασης και των συνημμένων σχεδίων που τη συνοδεύουν στο Φύλλο της Εφημερίδας της Κυβερνήσεως.

Η ισχύς της παρούσας αρχίζει από την δημοσίευση στην Εφημερίδα της Κυβερνήσεως.
Η απόφαση αυτή να δημοσιευθεί στην Εφημερίδα της Κυβερνήσεως.
Κοζάνη, 20-10-2012
Ο Περιφερειάρχης