| Συνδεθείτε στην Υπηρεσία Νομοσκόπιο | | | | | Νέοι χρήστες | | Εάν είστε νέος χρήστης, θα πρέπει να δημιουργήσετε ένα ΔΩΡΕΑΝ λογαριασμό προκειμένου να φύγει το παράθυρο αυτό και να αποκτήσετε πλήρη πρόσβαση στην υπηρεσία Νομοσκόπιο. | | Δημιουργία νέου λογαριασμού | | |
Απόφαση 3356/2017: Χαρακτηρισμός ως διατηρητέου του κτιρίου που βρίσκεται εντός του χαρακτηρισμένου ως ιστορικού τόπου τμήματος του οικισμού Αρναίας στο Δήμο Αριστοτέλη του Νομού Χαλκιδικής, φερομένου ως ιδιοκτησίας Πλιάτσιου Γεωργίου και Πλιάτσιου Αικατερίνης του Δημητρίου, (ΦΕΚ 235/ΑΑΠ/2017), 06-10-2017.
Η Υφυπουργός Εσωτερικών
Έχοντας υπόψη:
1. Τις διατάξεις:
α) Του νόμου 4067/2012 Νέος Οικοδομικός Κανονισμός (ΦΕΚ 79/Α/2012) και ειδικότερα του άρθρου 6 Προστασία Αρχιτεκτονικής και Φυσικής Κληρονομιάς.
β) Του προεδρικού διατάγματος 358/1986 (ΦΕΚ 158/Α/1986) Καθορισμός αρμοδιοτήτων Υπουργείου Βόρειας Ελλάδας και ειδικότερα του άρθρου 2, παράγραφος δ αυτού.
γ) Του προεδρικού διατάγματος [ΠΔ] 108/2014 Οργανισμός του Υπουργείου Μακεδονίας και Θράκης (ΦΕΚ 175/Α/2014), όπως τροποποιήθηκε και ισχύει με την υπ' αριθμόν 5786/2017 (ΦΕΚ 22/Β/2017) κοινή υπουργική απόφαση περί μεταφοράς και κατανομής αρμοδιοτήτων ... Μακεδονίας και Θράκης.
δ) Του προεδρικού διατάγματος 24/2015 (ΦΕΚ 20/Α/2015) και προεδρικού διατάγματος 123/2016 (ΦΕΚ 208/Α/2016) περί σύστασης και μετονομασίας υπουργείων.
ε) Του προεδρικού διατάγματος 125/2016 (ΦΕΚ 210/Α/2016) Διορισμός Υπουργών, Αναπληρωτών Υπουργών και Υφυπουργών με το οποίο διορίζεται η Μαρία Κόλλια - Τσαρουχά στη θέση της Υφυπουργού Εσωτερικών.
στ) Της υπ' αριθμόν 39324/2016 απόφασης του Πρωθυπουργού και του Υπουργού Εσωτερικών (ΦΕΚ 3959/Β/2016) Ανάθεση αρμοδιοτήτων στην Υφυπουργό Εσωτερικών Μαρίας Κόλλια - Τσαρουχά.
ζ) Της υπ' αριθμόν οίκοθεν 4537/2015 απόφασης της Υφυπουργού Εσωτερικών και Διοικητικής Ανασυγκρότησης Εξουσιοδότηση στον Προϊστάμενο Γενικής Διεύθυνσης και στους Προϊσταμένους των Διευθύνσεων, των Αυτοτελών Τμημάτων και Τμημάτων του πρώην Υπουργείου Μακεδονίας και Θράκης για υπογραφή εγγράφων Με εντολή Υφυπουργού (ΦΕΚ 2628/Β/2015).
2. Το με αριθμό πρωτοκόλλου 2339/07-06-2016 έγγραφο του Τμήματος Παραδοσιακών Οικισμών και Διατηρητέων Κτιρίων της Διεύθυνσης Περιβάλλοντος και Πολιτισμού του Υπουργείου Εσωτερικών και Διοικητικής Ανασυγκρότησης.
3. Την από 14-10=2016 αιτιολογική έκθεση του Τμήματος Παραδοσιακών Οικισμών και Διατηρητέων Κτιρίων της Διεύθυνσης Περιβάλλοντος και Πολιτισμού του Υπουργείου Εσωτερικών και Διοικητικής Ανασυγκρότησης.
4. Το με αριθμό πρωτοκόλλου οίκοθεν 4227/14-10-2016 έγγραφο του Τμήματος Παραδοσιακών Οικισμών και Διατηρητέων Κτιρίων της Διεύθυνσης Περιβάλλοντος και Πολιτισμού του Υπουργείου Εσωτερικών και Διοικητικής Ανασυγκρότησης (κοινοποίηση της αιτιολογικής έκθεσης).
5. Το με αριθμό πρωτοκόλλου οίκοθεν 35462/17-11-2016 έγγραφο του Τμήματος Πολεοδομίας της Διεύθυνσης Τεχνικών Υπηρεσιών, Περιβάλλοντος και Πολεοδομίας του Δήμου Αριστοτέλη (αριθμός πρωτοκόλλου ΥΠΕΣΔΑ: 4818/18-11-2016) σχετικά με την ολοκλήρωση της διαδικασίας δημοσίευσης και θυροκόλλησης της ενημερωτικής πρόσκλησης, ανάρτησης στο δημοτικό κατάστημα και στο διαδίκτυο της από 14-10-2016 αιτιολογικής έκθεσης.
6. Την με αριθμό πρωτοκόλλου 4851/18-11-2016 ένσταση των ιδιοκτητών.
7. Την από 10-02-2017 εξέταση ένστασης του Τμήματος Παραδοσιακών Οικισμών και Διατηρητέων Κτιρίων της Διεύθυνσης Περιβάλλοντος και Πολιτισμού του Υπουργείου Εσωτερικών.
8. Την από 24-03-2017 εισήγηση του Τμήματος Παραδοσιακών Οικισμών και Διατηρητέων Κτιρίων της Διεύθυνσης Περιβάλλοντος και Πολιτισμού του Υπουργείου Εσωτερικών προς το Κεντρικό Συμβούλιο Αρχιτεκτονικής Μακεδονίας και Θράκης.
9. Τη θετική γνωμοδότηση του Κεντρικού Συμβουλίου Αρχιτεκτονικής Μακεδονίας και Θράκης (πρακτικό 2/25-07-2017/θέμα 1ο - 5ο στην ημερήσια διάταξη) (αριθμός πρωτοκόλλου ΥΠΕΣ: 3356/08-09-2017), αποφασίζουμε:
1. Απορρίπτουμε την με αριθμό πρωτοκόλλου 4851/18-11-2016 ένσταση των ιδιοκτητών κατά της από 14-10-2016 αιτιολογικής έκθεσης για τους λόγους που αναφέρονται στην από 10-02-2017 εξέταση ένστασης.
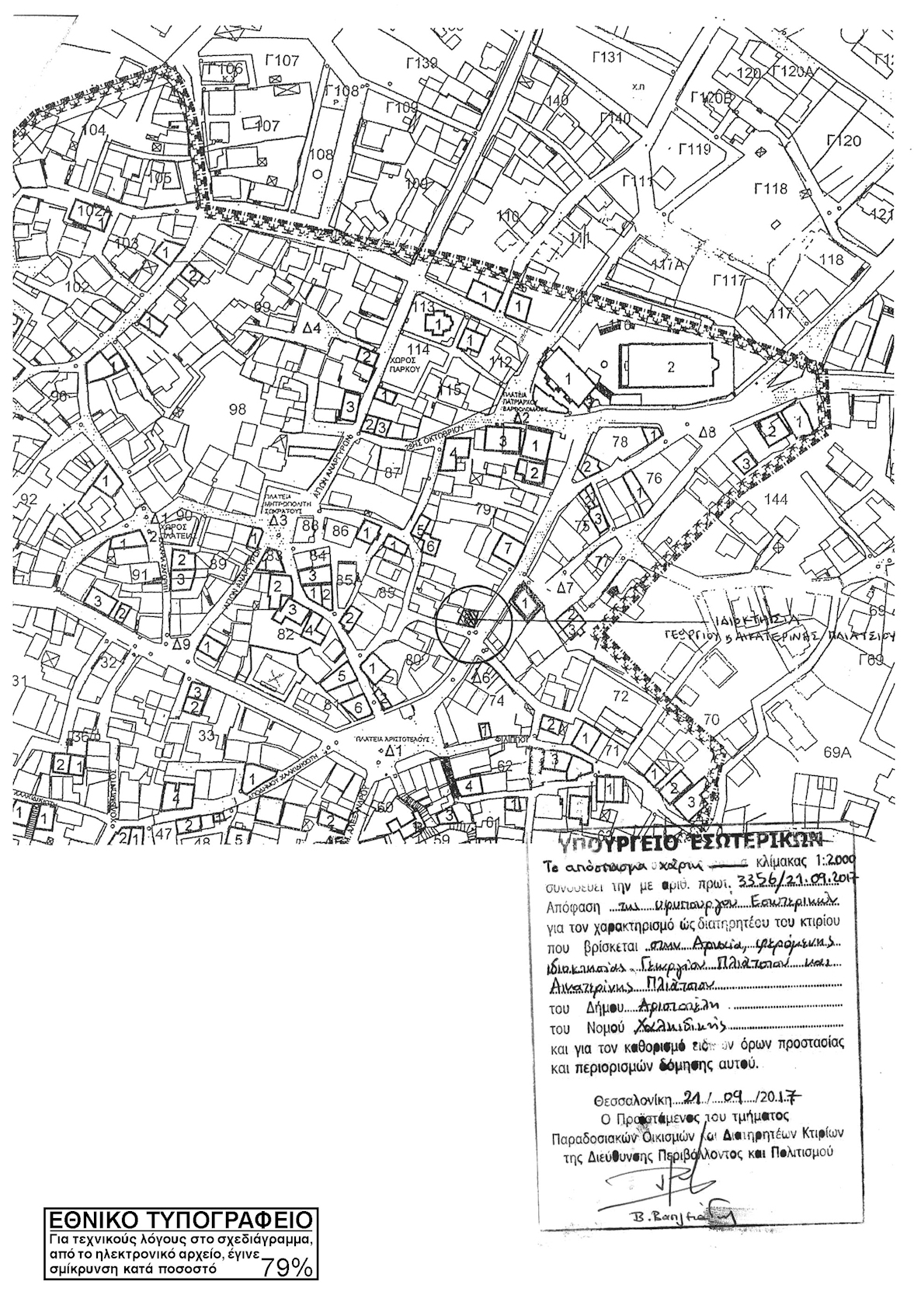
2. Χαρακτηρίζουμε ως διατηρητέο το κτίριο που βρίσκεται εντός του χαρακτηρισμένου ως ιστορικού τόπου τμήματος του οικισμού Αρναίας στο Δήμο Αριστοτέλη του Νομού Χαλκιδικής, φερομένου ως ιδιοκτησίας Πλιάτσιου Γεωργίου και Πλιάτσιου Αικατερίνης του Δημητρίου (η ενδεικτική θέση του οποίου σημειώνεται στο επισυναπτόμενο απόσπασμα χάρτη σε κλίμακα 1:2000), για τους παρακάτω λόγους:
α) Το κτίριο είναι αξιόλογο με αρχιτεκτονικά, κατασκευαστικά και μορφολογικά χαρακτηριστικά της παραδοσιακής αρχιτεκτονικής της Αρναίας. Αποτελεί αξιόλογο δείγμα της μακεδονικής αρχιτεκτονικής της περιοχής και τεκμήριο ιστορίας της τεχνολογίας κατασκευής των κτιρίων αυτής της εποχής.
β) Το κτίριο αποτελεί αξιόλογο κομμάτι του συνόλου και της κλίμακας των όγκων των κτιρίων του οικισμού, που συνδέεται με την ιστορία και την κοινωνική και οικονομική εξέλιξή του.
γ) Η διατήρησή του και η αποκατάστασή του θα συμβάλλει στην ανάδειξη του παραδοσιακού χαρακτήρα του οικισμού και στη διάσωση και ανάδειξη της παραδοσιακής αρχιτεκτονικής κληρονομιάς και της αισθητικής φυσιογνωμίας της περιοχής.
3. Στο χαρακτηριζόμενο ως διατηρητέο κτίριο απαγορεύεται κάθε αφαίρεση, αλλοίωση ή καταστροφή των επί μέρους αρχιτεκτονικών και διακοσμητικών στοιχείων του.
4. Επιτρέπεται η επισκευή, ο εκσυγχρονισμός των εγκαταστάσεων, η στατική ενίσχυση και η εσωτερική διαρρύθμιση του κτιρίου σύμφωνα με την τυπολογία της παραδοσιακής αρχιτεκτονικής του οικισμού, καθώς και η αλλαγή της χρήσης του, εφόσον δεν αλλοιώνεται ο γενικός αρχιτεκτονικός χαρακτήρας του και οι αρχές της σύνθεσής του.
5. Απαγορεύεται η τοποθέτηση φωτεινών ή μη επιγραφών και διαφημίσεων στη στέγη και στις όψεις του διατηρητέου κτιρίου, πλην των αναγκαίων, περιορισμένων διαστάσεων επιγραφών, που υποδηλώνουν τη χρήση του.
6. Για οποιαδήποτε επέμβαση στο εσωτερικό και εξωτερικό του διατηρητέου κτιρίου και των στοιχείων του περιβάλλοντα χώρου του που έχουν χαρακτηριστεί διατηρητέα, όπως και για την τοποθέτηση των αναγκαίων επιγραφών, απαιτείται ο έλεγχος της μελέτης από το αρμόδιο Συμβούλιο Αρχιτεκτονικής και η έγκριση αυτών από το Τμήμα Παραδοσιακών Οικισμών και Διατηρητέων Κτιρίων της Διεύθυνσης Περιβάλλοντος και Πολιτισμού του Υπουργείου Εσωτερικών. Διευκρινίζεται ότι, με απόφαση του Υπουργού Εσωτερικών μπορεί να ορίζονται εργασίες ή επεμβάσεις για τις οποίες δεν απαιτείται έγκριση της αρμόδιας υπηρεσίας του Υπουργείου Εσωτερικών.
7. Κατά της αποφάσεως αυτής μπορεί να ασκηθεί το ένδικο μέσο της αιτήσεως ακυρώσεως ενώπιον του Συμβουλίου της Επικρατείας, σύμφωνα με τις διατάξεις του άρθρου 46 του προεδρικού διατάγματος 18/1989 Κωδικοποίηση Διατάξεων νόμων για το Συμβούλιο της Επικρατείας.
8. Κάλυψη δαπάνης: από τις διατάξεις αυτής της απόφασης δεν προκαλείται δαπάνη σε βάρος του κρατικού προϋπολογισμού ή του προϋπολογισμού του οικείου οργανισμού τοπικής αυτοδιοίκησης..
9. Η ισχύς της απόφασης αυτής αρχίζει από τη δημοσίευσή της στην Εφημερίδα της Κυβερνήσεως.

Η απόφαση αυτή να δημοσιευθεί στην Εφημερίδα της Κυβερνήσεως.
Θεσσαλονίκη, 21-09-2017
Η Υφυπουργός