| Συνδεθείτε στην Υπηρεσία Νομοσκόπιο | | | | | Νέοι χρήστες | | Εάν είστε νέος χρήστης, θα πρέπει να δημιουργήσετε ένα ΔΩΡΕΑΝ λογαριασμό προκειμένου να φύγει το παράθυρο αυτό και να αποκτήσετε πλήρη πρόσβαση στην υπηρεσία Νομοσκόπιο. | | Δημιουργία νέου λογαριασμού | | |
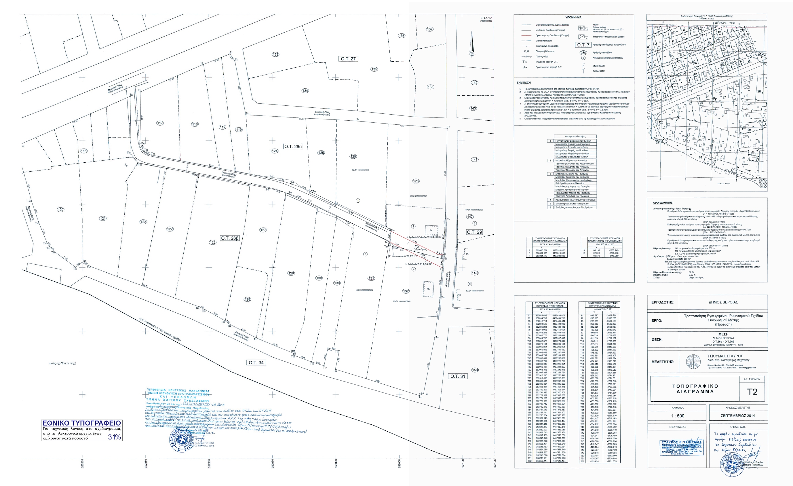
Την έγκριση της τροποποίησης του εγκεκριμένου ρυμοτομικού σχεδίου στα οικοδομικά τετράγωνα 26Α και 26Β του Οικισμού Μέση του Δήμου Βέροιας με:
α) την άρση της δέσμευσης και τον αποχαρακτηρισμό στο αδιάνοικτο τμήμα της δημοτικής οδού με στοιχεία Α, Β, Γ, Τ52, Τ43, Τ44, Α, συνεπεία της υπ' αριθμόν 13242/2014 απόφασης της Δημάρχου Βέροιας περί Βεβαίωσης αυτοδίκαιης άρσης της μη συντελεσμένης ρυμοτομικής απαλλοτρίωσης στις ιδιοκτησίες (8) και (9) της υπ' αριθμόν 26/1998 πράξης τακτοποίησης και αναλογισμού στα οικοδομικά τετράγωνα 26Α και 26Β του οικισμού Μέσης του Δήμου Βέροιας η οποία και δημοσιεύθηκε στη Εφημερίδα της Κυβερνήσεως (ΦΕΚ 101/ΑΑΠ/2014),
β) την εκ νέου επιβολή της ρυμοτομικής απαλλοτρίωσης στο τμήμα με στοιχεία Α, Β, Γ, Τ52, Τ43, Τ44, Α, και το χαρακτηρισμό του ως οδό, όπως αυτή αποτυπώνεται στο τοπογραφικό διάγραμμα με κλίμακα 1:500, που συνοδεύει την παρούσα
γ) τη διατήρηση των όρων και περιορισμών δόμησης στα οικοδομικά τετράγωνα 26Α και 26Β του οικισμού Μέσης του Δήμου Βέροιας, όπως αυτοί ορίζονται από τα ισχύοντα ρυμοτομικά διαγράμματα.
