| Συνδεθείτε στην Υπηρεσία Νομοσκόπιο | | | | | Νέοι χρήστες | | Εάν είστε νέος χρήστης, θα πρέπει να δημιουργήσετε ένα ΔΩΡΕΑΝ λογαριασμό προκειμένου να φύγει το παράθυρο αυτό και να αποκτήσετε πλήρη πρόσβαση στην υπηρεσία Νομοσκόπιο. | | Δημιουργία νέου λογαριασμού | | |
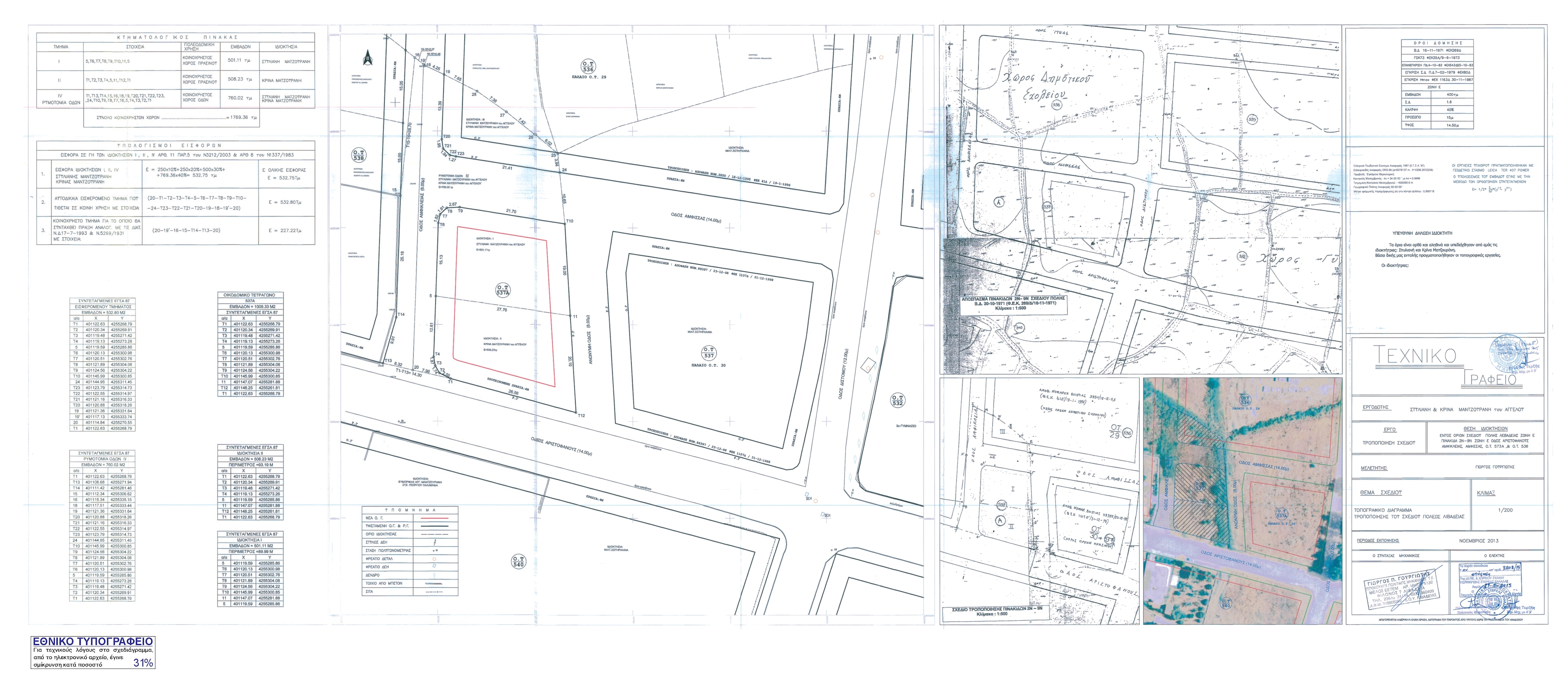
Απόφαση 3202/2015: Τροποποίηση ρυμοτομικού σχεδίου Λιβαδειάς, σε συμμόρφωση προς την υπ' αριθμόν 57/2008 απόφαση του Τριμελούς Διοικητικού Πρωτοδικείου Λιβαδειάς για άρση ρυμοτομικής απαλλοτρίωσης της ιδιοκτησίας Στυλιανής και Κρίνας Μαντζουράνη, στο οικοδομικό τετράγωνο 537Α σχεδίου πόλεως Λιβαδειάς, (ΦΕΚ 231/ΑΑΠ/2015), 18-11-2015.
Ο Αντιπεριφερειάρχης Στερεάς Ελλάδας
Έχοντας υπόψη:
1. Τις διατάξεις του νόμου 3852/2010 Νέα Αρχιτεκτονική της Αυτοδιοίκησης και της Αποκεντρωμένης Διοίκησης - Πρόγραμμα Καλλικράτης, όπως τροποποιήθηκαν και ισχύουν σήμερα.
2. Το προεδρικό διάταγμα 148/2010 (ΦΕΚ 241/Α/2010) Οργανισμός της Περιφέρειας Στερεάς Ελλάδας.
3. Την υπ' αριθμόν οίκοθεν 98333/2817/2014 (ΦΕΚ 579/ΥΟΔΔ/2014), (ΑΔΑ: ΩΞΙΛ7ΛΗ-40Λ) απόφαση Περιφερειάρχη Στερεάς Ελλάδας Ορισμός Αντιπεριφερειαρχών στην Περιφέρεια Στερεάς Ελλάδας και ανάθεση άσκησης τομέων αρμοδιοτήτων.
4. Τις διατάξεις του από 17-07-1923 νομοθετικού διατάγματος (ΦΕΚ 228/Α/1923) Περί σχεδίων πόλεων, κωμών και συνοικισμών του Κράτους και οικοδομής αυτών.
5. Τις διατάξεις του άρθρου 29 του νόμου 2831/2000 (ΦΕΚ 140/Α/2000), όπως αντικαταστάθηκαν με το άρθρο 10 του νόμου 3044/2002 (ΦΕΚ 197/Α/2002).
6. Τις διατάξεις του άρθρου 21 του από 03-04-1929 προεδρικού διατάγματος (ΦΕΚ 155/Α/1929) που διατηρήθηκαν σε ισχύ με το άρθρο 31, παράγραφος 3, του νόμου 1577/1985.
7. Τις διατάξεις του νόμου 1337/1983 (ΦΕΚ 33/Α/1983) και ειδικότερα του άρθρου 28 αυτού.
8. Τις διατάξεις του νόμου 1577/1985 (ΦΕΚ 210/Α/1985) Γενικός Οικοδομικός Κανονισμός και του νόμου 4067/2012 (ΦΕΚ 79/Α/2012) Νέος Οικοδομικός Κανονισμός, όπως ισχύουν.
9. Την υπ' αριθμόν 60/12080/85/1987 εγκύκλιο (Εγκύκλιος 85/1987) Διευκρινίσεις του άρθρου 28 του νόμου 1337/1983.
10. Τις υπ' αριθμούς 1/1961, 8/1975, 84/2000, 55/1988 και 18/2003 εγκυκλίους του Υπουργείου Περιβάλλοντος, Χωροταξίας και Δημοσίων Έργων καθώς και κάθε άλλη σχετική διάταξη.
11. Το από [ΠΔ] 30-10-1971 προεδρικό διάταγμα (ΦΕΚ 269/Δ/1971) περί τροποποιήσεως και επεκτάσεως του ρυμοτομικού σχεδίου Λεβαδείας και καθορισμού των όρων και περιορισμών δομήσεως των οικοπέδων αυτού.
12. Την υπ' αριθμόν 57/2008 απόφαση του Τριμελούς Διοικητικού Πρωτοδικείου Λιβαδειάς.
13. Τα υπ' αριθμούς 4423/2011 και 173/2014 έγγραφα της ΔΙΠΕΧΩΣ/ΠΣΕ.
14. Το υπ' αριθμόν 5/2015 (θέμα 8ο) πρακτικό του Συμβουλίου Πολεοδομικών Θεμάτων και Αμφισβητήσεων Περιφερειακής Ενότητας Βοιωτίας Και επειδή:
Α. Με την υπ' αριθμόν 57/2008 απόφαση του Τριμελούς Διοικητικού Πρωτοδικείου Λιβαδειάς έγινε άρση της ρυμοτομικής απαλλοτρίωσης στην ιδιοκτησία των Στυλιανής Μαντζουράνη και Κρίνας Μαντζουράνη, που βρίσκεται στο οικοδομικό τετράγωνο 537Α σχεδίου πόλεως Λιβαδειάς και αναπέμφθηκε η υπόθεση στη Διοίκηση για τη σχετική τροποποίηση του σχεδίου πόλης. Η ιδιοκτησία αυτή ρυμοτομείται κατά το μεγαλύτερο μέρος της, η ρυμοτομούμενη έκταση έχει εμβαδόν 1.769,36 m2, και ρυμοτομείται εν μέρει για κοινόχρηστο χώρο πρασίνου (οικοδομικό τετράγωνο 537Α) και εν μέρει για τη διάνοιξη οδών.
Β. Με το υπ' αριθμόν 4423/2011 έγγραφο της ΔΙΠΕΧΩΣ/ΠΣΕ ζητήθηκε από το Δήμο Λεβαδέων να κάνει γνωστό αν επιθυμεί την εκ νέου επιβολή της ρυμοτομικής απαλλοτρίωσης, για να διατηρηθεί ο χώρος ως κοινόχρηστος. Ο Δήμος Λεβαδέων δεν απάντησε.
Γ. Με το υπ' αριθμόν 173/2014 έγγραφο της ΔΙΠΕΧΩΣ/ΠΣΕ προς το Δήμο Λεβαδέων, εστάλη πρόταση τροποποίησης του σχεδίου πόλης με άρση της ρυμοτομικής απαλλοτρίωσης, που υπέβαλαν οι ιδιοκτήτες, κατά τα οριζόμενα στο άρθρο 32, παράγραφος 1 του νόμου 4067/2012, προκειμένου ο Δήμος να προβεί στις προβλεπόμενες διαδικασίες δημοσιοποίησης της πρότασης. Μέχρι σήμερα ο Δήμος δεν έχει αποστείλει σχετική απόφαση, συνεπώς επειδή παρήλθε άπρακτη η αποκλειστική προθεσμία των έξι μηνών που ορίζεται στο προαναφερθέν άρθρο, η διαδικασία έγκρισης της τροποποίησης συνεχίζεται χωρίς τη γνώμη του.
Δ. Σύμφωνα με το άρθρου 29 παράγραφος 4 του νόμου 2831/2000, όπως αυτό αντικαταστάθηκε με το άρθρο 10 του νόμου 3044/2002, οι τροποποιήσεις εγκεκριμένων σχεδίων πόλεων δεν πρέπει να επιφέρουν μείωση της συνολικής επιφάνειας κοινόχρηστων και κοινωφελών χώρων, επιτρέπεται όμως η μείωση όταν η τροποποίηση γίνεται λόγω άρσης αναγκαστικής απαλλοτρίωσης σε συμμόρφωση αποφάσεων των αρμόδιων Δικαστηρίων, με τις οποίες ακυρώνεται η άρνηση της Διοίκησης να άρει την απαλλοτρίωση.
Ε. Στην ιδιοκτησία στην οποία αίρεται η ρυμοτομική απαλλοτρίωση πρέπει να επιβάλλεται εισφορά σε γη, ως ποσοστό του ρυμοτομούμενου τμήματος, σύμφωνα με τα οριζόμενα στο άρθρο 20, παράγραφος 2)ε του νόμου 2508/1987, όπως συμπληρώθηκε με το άρθρο 31, παράγραφος 2 του νόμου 4067/2012 (ΦΕΚ 79/Α/2012) και τροποποιήθηκε με το άρθρο 62 του νόμου 4280/2014. Στη συγκεκριμένη περίπτωση η ρυμοτομούμενη έκταση είναι 1.769,36 m2, συνεπώς η απαιτούμενη εισφορά σε γη είναι 532,75 m2. Στην προτεινόμενη τροποποίηση διατίθεται εισφορά σε γη το τμήμα 20-Τ1-Τ2-Τ3-Τ4-5-Τ6-Τ7-Τ8-Τ9-Τ10-24-Τ23-Τ22Τ21-Τ20-19-18-19'-20 εμβαδού 532,80 m2, που διατίθεται ως κοινόχρηστο για τον ίδιο σκοπό δηλαδή για διάνοιξη δρόμων. Το τμήμα 20-19'-16-15-Τ14-Τ13-20 ετέθη σε κοινή χρήση με την 7922/2014 συμβολαιογραφική πράξη, με την επιφύλαξη της αποζημιώσεως, ενώ το τμήμα που ανήκει στο οικοδομικό τετράγωνο 537Α, εμβαδού 1.009,34 m2 μετατρέπεται σε οικοδομήσιμο.
Στ. Το Συμβούλιο Πολεοδομικών Θεμάτων και Αμφισβητήσεων Περιφερειακής Ενότητας Βοιωτίας με το υπ' αριθμόν 5/28-08-2015 (θέμα 8ο) πρακτικό γνωμοδότησε ομόφωνα υπέρ της προτεινόμενης τροποποίησης, αποφασίζουμε:
Α. Εγκρίνουμε την τροποποίηση του ρυμοτομικού σχεδίου Λιβαδειάς, σε συμμόρφωση προς την υπ' αριθμόν 57/2008 απόφαση του Τριμελούς Διοικητικού Πρωτοδικείου Λιβαδειάς για άρση ρυμοτομικής απαλλοτρίωσης ιδιοκτησίας Στυλιανής και Κρίνας Μαντζουράνη, στο οικοδομικό τετράγωνο 537Α, σύμφωνα με το συνημμένο τοπογραφικό διάγραμμα κλίμακα 1: 200 του πολιτικού υπομηχανικού Γιώργου Γουργιώτη, με επιβολή εισφοράς σε γη 532,80 m2.
Β. Για το τμήμα της ιδιοκτησίας που γίνεται οικοδομήσιμο ισχύουν οι όροι και περιορισμοί δόμησης της περιοχής.
Γ. Επιβάλλουμε εισφορά σε γη 532,80 m2. Η εισφορά αυτή είναι το τμήμα 20-Τ1-Τ2-Τ3-Τ4-5-Τ6-Τ7-Τ8-Τ9-Τ1024-Τ23-Τ22-Τ21-Τ20-19-18-19'-20.

Η απόφαση με το συνημμένο της τοπογραφικό διάγραμμα να δημοσιευθεί στην Εφημερίδα της Κυβερνήσεως.
Λαμία, 29-09-2015
Ο Αντιπεριφερειάρχης