Απόφαση 176415/16

Απόφαση 176415/3606/2016: Έγκριση τροποποίησης Σχεδίου Πόλεως Πατρών, στο οικοδομικό τετράγωνο 1174 στην περιοχή Ζαρουχλέικα του Δήμου Πατρέων, δια αναγνωρίσεως υφιστάμενου κοινόχρηστου εδαφικού τμήματος ως πεζοδρόμου


Συνδεθείτε στην Υπηρεσία Νομοσκόπιο
Είσοδος στην υπηρεσία Νομοσκόπιο.
   
Χρήστης
Κωδικός
  Υπενθύμιση στοιχείων λογαριασμού
   
 
Νέοι χρήστες
Εάν είστε νέος χρήστης, θα πρέπει να δημιουργήσετε ένα ΔΩΡΕΑΝ λογαριασμό προκειμένου να φύγει το παράθυρο αυτό και να αποκτήσετε πλήρη πρόσβαση στην υπηρεσία Νομοσκόπιο.
Δημιουργία νέου λογαριασμού

 

 

Απόφαση 176415/3606/2016: Έγκριση τροποποίησης Σχεδίου Πόλεως Πατρών, στο οικοδομικό τετράγωνο 1174 στην περιοχή Ζαρουχλέικα του Δήμου Πατρέων, δια αναγνωρίσεως υφιστάμενου κοινόχρηστου εδαφικού τμήματος ως πεζοδρόμου, (ΦΕΚ 207/ΑΑΠ/2016), 13-10-2016.

 

Ο Αντιπεριφερειάρχης Ενέργειας και Περιβάλλοντος Δυτικής Ελλάδος

 

Έχοντας υπόψη:

 

1. Την υπ' αριθμόν 296694/5007/2014 απόφαση του Περιφερειάρχη Δυτικής Ελλάδας (ΦΕΚ 3081/Β/2014) περί μεταβίβασης αρμοδιοτήτων στους Αντιπεριφερειάρχες.

 

2. Τις διατάξεις των άρθρων 94 και 186 του νόμου 3852/2010 (ΦΕΚ 87/Α/2010) Νέα Αρχιτεκτονική της Αυτοδιοίκησης και της Αποκεντρωμένης Διοίκησης - Πρόγραμμα Καλλικράτης.

 

3. Τις διατάξεις του από 17-07-1923 νομοθετικού διατάγματος, όπως μεταγενέστερα τροποποιήθηκαν - συμπληρώθηκαν και ειδικότερα τα άρθρα 1, 2, 3 και 70 αυτού.

 

4. Τις διατάξεις του κεφαλαίου II του από 03-04-1929 προεδρικού διατάγματος, που διατηρήθηκαν σε ισχύ με το άρθρο 31, παράγραφος 3 του νόμου 1577/1985.

 

5. Την εγκύκλιο με αριθμό 43511/161/55/1988 του Υπουργείου Περιβάλλοντος, Χωροταξίας και Δημοσίων Έργων.

 

6. Τις διατάξεις της παραγράφου 5 του άρθρου 11 του νόμου 3212/2003 (ΦΕΚ 308/Α/2003), του άρθρου 20 του νόμου 2508/1997 και του άρθρου 8 του νόμου 1337/1983.

 

7. Τις διατάξεις του άρθρου 29 του νόμου 2831/2000 (ΦΕΚ 140/Α/2000), όπως αντικαταστάθηκαν με το άρθρο 10 του νόμου 3044/2002 (ΦΕΚ 197/Α/2002).

 

8. Την παράγραφο 1 του άρθρου 31 του νόμου 4067/2012 (Νέος Οικοδομικός Κανονισμός).

 

9. Τον νόμο 4258/2014 (ΦΕΚ 94/Α/2014), άρθρο 5.

 

10. Τον νόμο 4280/2014 (ΦΕΚ 159/Α/2014), άρθρο 62.

 

11. Την 10/2012 εγκύκλιο του Υπουργείου Περιβάλλοντος, Ενέργειας και Κλιματικής Αλλαγής.

 

12. Το από [ΠΔ] 22-01-1971 προεδρικό διάταγμα (ΦΕΚ 37/Δ/1971) περί Τροποποίησης και Επέκτασης του ρυμοτομικού Σχεδίου Πατρών και καθορισμού των όρων και περιορισμών δόμησης των οικοπέδων αυτού.

 

13. Την υπ' αριθμόν Χ/7328/1988 απόφαση Νομάρχη Αχαΐας (ΦΕΚ 693/Δ/1988) περί Αναθεώρησης του εγκεκριμένου σχεδίου και την υπ' αριθμόν Χ395/1993 απόφαση Νομάρχη Αχαΐας (ΦΕΚ 693/Δ/1988) περί ανάκλησης - ακύρωσής της.

 

14. Την υπ' αριθμόν 14343/2005 απόφαση Νομάρχη Αχαΐας (ΦΕΚ 1484/Δ/2005) περί επανέγκρισης της Πολεοδομικής Μελέτης Αναθεώρησης των Ζαρουχλέικων και Αγίου Ιωάννη Πράτσικα του Γενικού Πολεοδομικού Σχεδίου Πατρών.

 

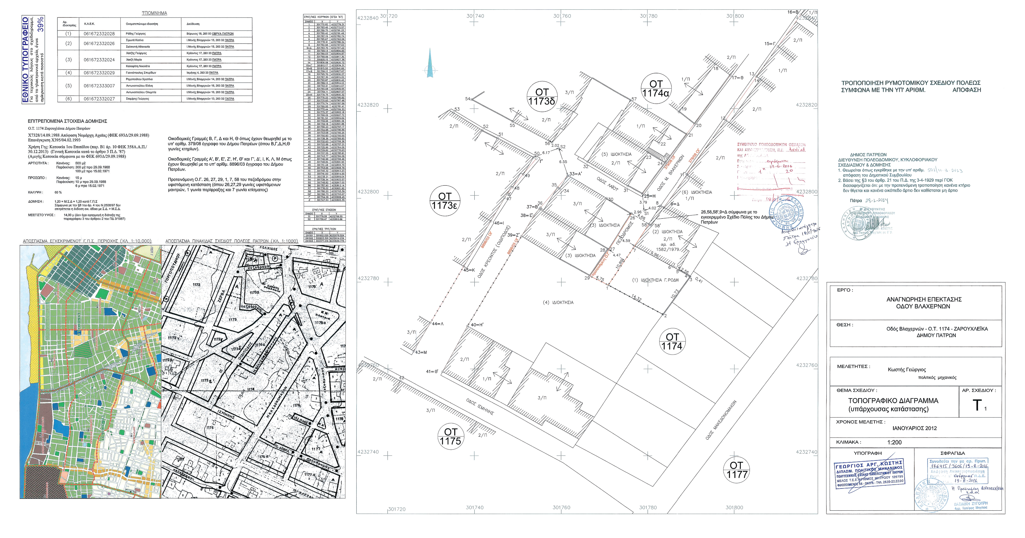
15. Την από 18-01-2012 αρχική αίτηση του Γεωργίου Ρόδη προς τον Δήμο Πατρέων με την οποία αιτείται την τροποποίηση του σχεδίου Πόλης στο οικοδομικό τετράγωνο 1174 στην περιοχή Ζαρουχλέικα, δια αναγνωρίσεως υφιστάμενου κοινόχρηστου εδαφικού τμήματος ως πεζοδρόμου στην προέκταση της οδού Μονής Βλαχερνών.

 

16. Την υπ' αριθμόν 501/2013 απόφαση του Δημοτικού Συμβουλίου του Δήμου Πατρέων με την οποία αποφάσισε ομόφωνα την έγκριση, κατ' αρχήν, της αιτούμενης τροποποίησης του ρυμοτομικού Σχεδίου Πόλεως δια αναγνωρίσεως υφιστάμενου κοινόχρηστου εδαφικού τμήματος ως πεζοδρόμου στην προέκταση της οδού Μονής Βλαχερνών, προκειμένου να καταστεί οικοδομήσιμο το οικόπεδο της ιδιοκτησίας του αιτούντος που σήμερα δεν έχει πρόσωπο σε εγκεκριμένο δρόμο του Σχεδίου Πόλεως και την τήρηση της περαιτέρω νομίμου διαδικασίας ανάρτησης, τυχόν υποβολής ενστάσεων κ.λ.π.

 

17. Το υπ' αριθμόν 16347/Π532/14/2014 έγγραφο του Δήμου Πατρέων, με το οποίο μας διαβιβάστηκε ο φάκελος με τα δικαιολογητικά για την τροποποίηση του ρυμοτομικού Σχεδίου Πόλεως Πατρών στο οικοδομικό τετράγωνο 1174 στην περιοχή Ζαρουχλέικα, δια αναγνωρίσεως υφιστάμενου κοινόχρηστου εδαφικού τμήματος ως πεζοδρόμου στην προέκταση της οδού Μονής Βλαχερνών.

 

18. Την υπ' αριθμόν 29998/1369/2014 εισήγησή μας προς το Συμβούλιο Πολεοδομικών Θεμάτων και Αμφισβητήσεων. Αχαΐας σχετικά με την έγκριση της αιτούμενης τροποποίησης Σχεδίου Πόλεως Πατρών εντός του οικοδομικού τετραγώνου 1174 στην περιοχή Ζαρουχλέικα.

 

19. Το υπ' αριθμόν 72/5828/2015 έγγραφο του Συμβουλίου Πολεοδομικών Θεμάτων και Αμφισβητήσεων Περιφερειακής Ενότητας Αχαΐας, με το οποίο μας διαβιβάστηκε απόσπασμα πρακτικού της από 15-1-2015 συνεδρίασής του με την ομόφωνη απόφασή του περί αναβολής του θέματος και επιστροφής του φακέλου προκειμένου να τεκμηριωθεί η αναγκαιότητα της τροποποίησης.

 

20. Την από 28-05-2015 συμπληρωματική αίτηση του Γεωργίου Ρόδη προς την υπηρεσία μας με την οποία υπέβαλε τεχνική έκθεση και συμπληρωματικά στοιχεία για την αιτιολόγηση-τεκμηρίωση της αρχικής αίτησής του.

 

21. Το υπ' αριθμόν 150344/2863/2016 έγγραφό μας προς το Συμβούλιο Πολεοδομικών Θεμάτων και Αμφισβητήσεων Αχαΐας με το οποίο η υπηρεσία μας επαναδιαβίβασε το φάκελο της υπόψη τροποποίησης συμπληρωμένο με αναλυτική Τεχνική Έκθεση, αντίγραφα τίτλων ιδιοκτησιών, φωτογραφικό υλικό κ.λ.π. και επανεισηγήθηκε την έγκριση της αιτούμενης τροποποίησης.

 

22. Το υπ' αριθμόν 139/113491/2014/ΤΤ/2015 έγγραφο του Συμβουλίου Πολεοδομικών Θεμάτων και Αμφισβητήσεων Περιφερειακής Ενότητας Αχαΐας, με το οποίο μας διαβιβάστηκε απόσπασμα πρακτικού της από 09-10-2015 συνεδρίασής του με την ομόφωνη απόφασή του για αποδοχή της εισήγησης της ΔΙΠΕΧΩΣΧ/ΠΔΕ και την έγκριση αυτού του ιδιωτικού δρόμου ως κοινόχρηστου πεζόδρομου με την επανυποβολή του τοπογραφικού διαγράμματος συμπληρωμένου με συντεταγμένες ανάντη και κατάντη του πεζοδρόμου των οικοδομικών γραμμών.

 

23. Το υπ' αριθμόν 156/153302/13-11-2015/ΤΤ/29-06-2016 έγγραφο του Συμβουλίου Πολεοδομικών Θεμάτων και Αμφισβητήσεων Περιφερειακής Ενότητας Αχαΐας, με το οποίο μας διαβιβάστηκε Απόσπασμα Πρακτικού της από 17-06-2016 συνεδρίασής του (σε συνέχεια της από 09-10-2016 συνεδρίασης) κατά την οποία ελέγχθηκε και σφραγίστηκε το επανυποβληθέν τοπογραφικό διάγραμμα.

 

Το γεγονός ότι:

 

Το προς αναγνώριση εδαφικό τμήμα έχει κοινόχρηστο χαρακτήρα, καθώς χρησιμοποιείται από όλες τις όμορες του ιδιοκτησίες οι οποίες διαθέτουν ανοίγματα σε αυτό ενώ όπως προκύπτει από τους τίτλους των όμορων ιδιοκτησιών αναφέρεται ως υφιστάμενος πριν από την ένταξη της περιοχής στο σχέδιο πόλης και τουλάχιστον δύο δεκαετίες πριν την αναθεώρησή του.
Η περιοχή των Ζαρουχλέικων έχει μεγάλη έλλειψη κοινόχρηστων χώρων και η προτεινόμενη τροποποίηση αυξάνει τους κοινόχρηστους χώρους, αποφασίζουμε:

 

Την έγκριση της τροποποίησης του ρυμοτομικού σχεδίου πόλεως Πατρών στο οικοδομικό τετράγωνο 1174 στην περιοχή Ζαρουχλέικα του Δήμου Πατρέων, δια αναγνωρίσεως υφιστάμενου κοινόχρηστου εδαφικού τμήματος ως πεζοδρόμου, όπως αυτό απεικονίζεται υπό στοιχεία (1, 7, 58, 26, 27, 29, 1) στο από Ιανουάριο 2012 τοπογραφικό διάγραμμα του Διπλωματούχου Πολιτικού Μηχανικού Γεώργιο Κωστή.

 

Η ισχύς αυτής της απόφασης αρχίζει από την ημερομηνία δημοσίευσής της στην Εφημερίδα της Κυβερνήσεως.

 

Κατά της απόφασης αυτής επιτρέπεται η υποβολή προσφυγής ενώπιον του Γενικού Γραμματέα της οικείας Αποκεντρωμένης Διοίκησης, μόνο για παράβαση νόμου μέσα σε προθεσμία 15 ημερών από την δημοσίευσή της στην Εφημερίδα της Κυβερνήσεως (άρθρο 227.1Α του νόμου 3852/2010 (ΦΕΚ 87/Α/2010)).

 

Η απόφαση αυτή με το συνοδευτικό της διάγραμμα να δημοσιευθεί στην Εφημερίδα της Κυβερνήσεως.

 

a.176415.16

 

Πάτρα, 19-08-2016

 

Ο Αντιπεριφερειάρχης Ενέργειας και Περιβάλλοντος

 



Copyright © 2020 TechnoLogismiki. Με την επιφύλαξη παντός δικαιώματος.