Απόφαση 1542/12

Απόφαση 1542/2012: Καθορισμός επιτρεπόμενης χρήσης του 22)ζ τεμαχίου εκτάσεως 20.011 m 2, που βρίσκεται στο αγρόκτημα ΣΑΑΚ Αγίου Βασιλείου Δ. 1981, του Δήμου Λαγκαδά Νομού Θεσσαλονίκης, προκειμένου να παραχωρηθεί κατά κυριότητα στο Δήμο Λαγκαδά


Συνδεθείτε στην Υπηρεσία Νομοσκόπιο
Είσοδος στην υπηρεσία Νομοσκόπιο.
   
Χρήστης
Κωδικός
  Υπενθύμιση στοιχείων λογαριασμού
   
 
Νέοι χρήστες
Εάν είστε νέος χρήστης, θα πρέπει να δημιουργήσετε ένα ΔΩΡΕΑΝ λογαριασμό προκειμένου να φύγει το παράθυρο αυτό και να αποκτήσετε πλήρη πρόσβαση στην υπηρεσία Νομοσκόπιο.
Δημιουργία νέου λογαριασμού

 

 

Απόφαση 1542/2012: Καθορισμός επιτρεπόμενης χρήσης του 22)ζ τεμαχίου εκτάσεως 20.011 m2, που βρίσκεται στο αγρόκτημα ΣΑΑΚ Αγίου Βασιλείου Δ. 1981, του Δήμου Λαγκαδά Νομού Θεσσαλονίκης, προκειμένου να παραχωρηθεί κατά κυριότητα στο Δήμο Λαγκαδά, (ΦΕΚ 154/Δ/2012), 21-03-2012.

 

Ο Γενικός Γραμματέας Αποκεντρωμένης Διοίκησης Μακεδονίας - Θράκης

 

Έχοντας υπόψη:

 

1. Το άρθρο 186, παράγραφος ΣΤ, εδάφιο 18, του νόμου 3852/2010 (ΦΕΚ 87/Α/2010) Νέα Αρχιτεκτονική της Αυτοδιοίκησης και της Αποκεντρωμένης Διοίκησης - Πρόγραμμα Καλλικράτης.

 

2. Το νόμο 2503/1997 Διοίκηση, οργάνωση, στελέχωση της Περιφέρειας, ρύθμιση θεμάτων για την τοπική αυτοδιοίκηση και άλλες διατάξεις.

 

3. Το προεδρικό διάταγμα 142/2010 (ΦΕΚ 235/Α/2010) Οργανισμός Αποκεντρωμένης Διοίκησης Μακεδονίας - Θράκης.

 

4. Την απόφαση με αριθμό οίκοθεν 707/2011 (ΦΕΚ 130/Β/2011) του Γενικού Γραμματέα Αποκεντρωμένης Διοίκησης Μ - Θ Εξουσιοδότηση προς υπογραφή με Εντολή Γενικού Γραμματέα Αποφάσεων, εγγράφων....

 

5. Το νόμο 3861/2010 (ΦΕΚ 112/Α/2010) Πρόγραμμα Διαύγεια.

 

6. Το άρθρο 3 του νόμου 1512/1985 (ΦΕΚ 4/Α/1985) περί Τροποποίησης και Συμπλήρωσης Πολεοδομικών Διατάξεων.

 

7. Την υπ' αριθμόν οίκοθεν 6/2011 Εγκύκλιο του Υπουργείου Περιβάλλοντος, Ενέργειας και Κλιματικής Αλλαγής / Γενικής Γραμματείας Χωροταξίας και Αστικού Περιβάλλοντος / Γενικής Διεύθυνσης Πολεοδομίας/ Διεύθυνσης Οικοδομικών και Κτιριοδομικών Κανονισμών.

 

8. Την κοινή υπουργική απόφαση 6919/2004 (ΦΕΚ 248/Δ/2004) Χαρακτηρισμός των λιμναίων, χερσαίων και υδάτινων περιοχών του υγροτοπικού συστήματος των λιμνών Βόλβης - Κορώνειας και Μακεδονικών Τεμπών ως Εθνικό Πάρκο Υγροτόπων των λιμνών Βόλβης - Κορώνειας και Μακεδονικών Τεμπών.

 

9. Την παράγραφο 1, εδάφιο III της κοινής υπουργικής απόφασης 39542/2010 (ΦΕΚ 441/ΑΑΠ/2008) Τροποποίηση της υπ' αριθμόν 6919/2004 κοινής υπουργικής απόφασης.

 

10. Την υπ' αριθμόν 2184/2010 Απόφαση της Γενικής Γραμματέως Περιφέρειας Κεντρικής Μακεδονίας (ΦΕΚ 511/ΑΑΠ/2010) Έγκριση Σχεδίου Χωρικής και Οικιστικής Οργάνωσης Ανοικτών Πόλεων του Δήμου Κορώνειας νομού Θεσσαλονίκης.

 

11. Την κοινή υπουργική απόφαση με αριθμό πρωτοκόλλου οίκοθεν 100955/02-02-2006 Έγκριση Περιβαλλοντικών Όρων για το έργο: Εγκατάσταση επεξεργασίας λυμάτων με τη μέθοδο των τεχνητών υγροτόπων του οικισμού Αγίου Βασιλείου του Δήμου Κορώνειας του νομού Θεσσαλονίκης.

 

12. Την κοινή υπουργική απόφαση με αριθμό πρωτοκόλλου 203914/30-09-2011 (ΑΔΑ: 45Π50-5ΥΕ) Ανανέωση και τροποποίηση των περιβαλλοντικών όρων που έχουν επιβληθεί με την κοινή υπουργική απόφαση 100955/2-2-2006 Έγκρισης Περιβαλλοντικών Όρων για το έργο: Εγκατάσταση επεξεργασίας λυμάτων με τη μέθοδο των τεχνητών υγροτόπων του οικισμού Αγίου Βασιλείου του Δήμου Λαγκαδά (πρώην Δήμος Κορώνειας) στο νομού Θεσσαλονίκης.

 

13. Τα υπ' αριθμούς 82298/3246/11-08-2011 και 216031/12209/08-11-2011 έγγραφα του Τμήματος Χωρικού Σχεδιασμού της ΔΙΠΕΧΩΣ / ΠΚΜ με τα οποία μας διαβιβάστηκαν, λόγω αρμοδιότητας, στοιχεία που αφορούν το αντικείμενο του θέματος.

 

14. Το υπ' αριθμόν 2602/12-07-2010 έγγραφο της Εφορείας Νεωτέρων Μνημείων KM, σύμφωνα με το οποίο δεν υφίσταται αντικείμενο αρμοδιότητας τους στο 22)ζ τεμάχιο.

 

15. Το υπ' αριθμόν 5195/16-07-2010 έγγραφο της Διεύθυνσης Τουρισμού Κεντρικής Μακεδονίας / Περιφερειακής Υπηρεσίας Τουρισμού, σύμφωνα με το οποίο δεν έχει αντίρρηση για την παραχώρηση του τεμαχίου του θέματος στο Δήμο Κορώνειας (νυν Δήμο Λαγκαδά).

 

16. Το υπ' αριθμόν ΔΥ/Α1/24/17838/12-08-2010 έγγραφο της Διεύθυνσης Δημόσιας Υγείας Νομαρχιακής Αυτοδιοίκησης Θεσσαλονίκης, σύμφωνα με το οποίο θα πρέπει από τη λειτουργία των εγκαταστάσεων επεξεργασίας λυμάτων, να μη δημιουργούνται προβλήματα στη Δημόσια Υγεία και στο Περιβάλλον γενικότερα και να ισχύουν οι όροι της ΚΥΑ 5637/400/14-03-1997 (ΦΕΚ 192/Β/1997) και άλλης ισχύουσας Νομοθεσίας.

 

17. Το υπ' αριθμόν ΙΣΤ' ΕΠΚΑ/Α/9669/20-08-2010 έγγραφο της ΙΣΤ Εφορείας Προϊστορικών και Κλασσικών Αρχαιοτήτων, σύμφωνα με το οποίο δεν έχει αντίρρηση για τη συγκεκριμένη παραχώρηση.

 

18. Το υπ' αριθμόν ΔΔ 2606/26-08-2010 έγγραφο της Διεύθυνσης Δασών Θεσσαλονίκης, σύμφωνα με το οποίο το τεμάχιο 22)ζ δεν εμπίπτει στις διατάξεις της Δασικής Νομοθεσίας.

 

19. Το υπ' αριθμόν 3803/14-09-2010 έγγραφο της Διεύθυνσης Πολιτικής Γης Νομαρχιακής Αυτοδιοίκησης Θεσσαλονίκης, σύμφωνα με το οποίο δεν υπάρχει αντίρρηση για την παραχώρηση του 22)ζ τεμαχίου.

 

20. Το υπ' αριθμόν 12/116/15-09-2009 έγγραφο της Διεύθυνσης Αγροτικής Ανάπτυξης Νομαρχιακής Αυτοδιοίκησης Θεσσαλονίκης (Γραφείο Γεωργικής Ανάπτυξης Αγίου Βασιλείου) σύμφωνα με το οποίο από την παραχώρηση δεν θίγεται η τοπική κτηνοτροφία.

 

21. Το υπ' αριθμόν 3820/20-09-2010 έγγραφο της 9ης Εφορείας Βυζαντινών Αρχαιοτήτων, σύμφωνα με το οποίο δεν έχει αντίρρηση για την εν λόγω παραχώρηση.

 

22. Το υπ' αριθμόν 423/19-04-2011 έγγραφο του Φορέα Διαχείρισης λιμνών Κορώνειας - Βόλβης, το οποίο στα πλαίσια γνωμοδότησης του Φορέα, παραπέμπει στην υπ' αριθμόν 165/13-07-2005 Απόφαση Διοικητικού Συμβουλίου του Φορέα, που γνωμοδοτεί θετικά για τη χορήγηση Έγκρισης Περιβαλλοντικών Όρων στην εγκατάσταση επεξεργασίας λυμάτων στα αγροτεμάχια 22 και 28 του Δημοτικού Διαμερίσματος Αγίου Βασιλείου.

 

23. Την υπ' αριθμόν 2/25-01-2012 Απόφαση Δημοτικού Συμβουλίου του Δήμου Λαγκαδά, η οποία ανανεώνει το αίτημα παραχώρησης του 22)ζ τεμαχίου, επικαιροποιώντας παλαιότερη Απόφαση Διοικητικού Συμβουλίου του πρώην Δήμου Κορώνειας.

 

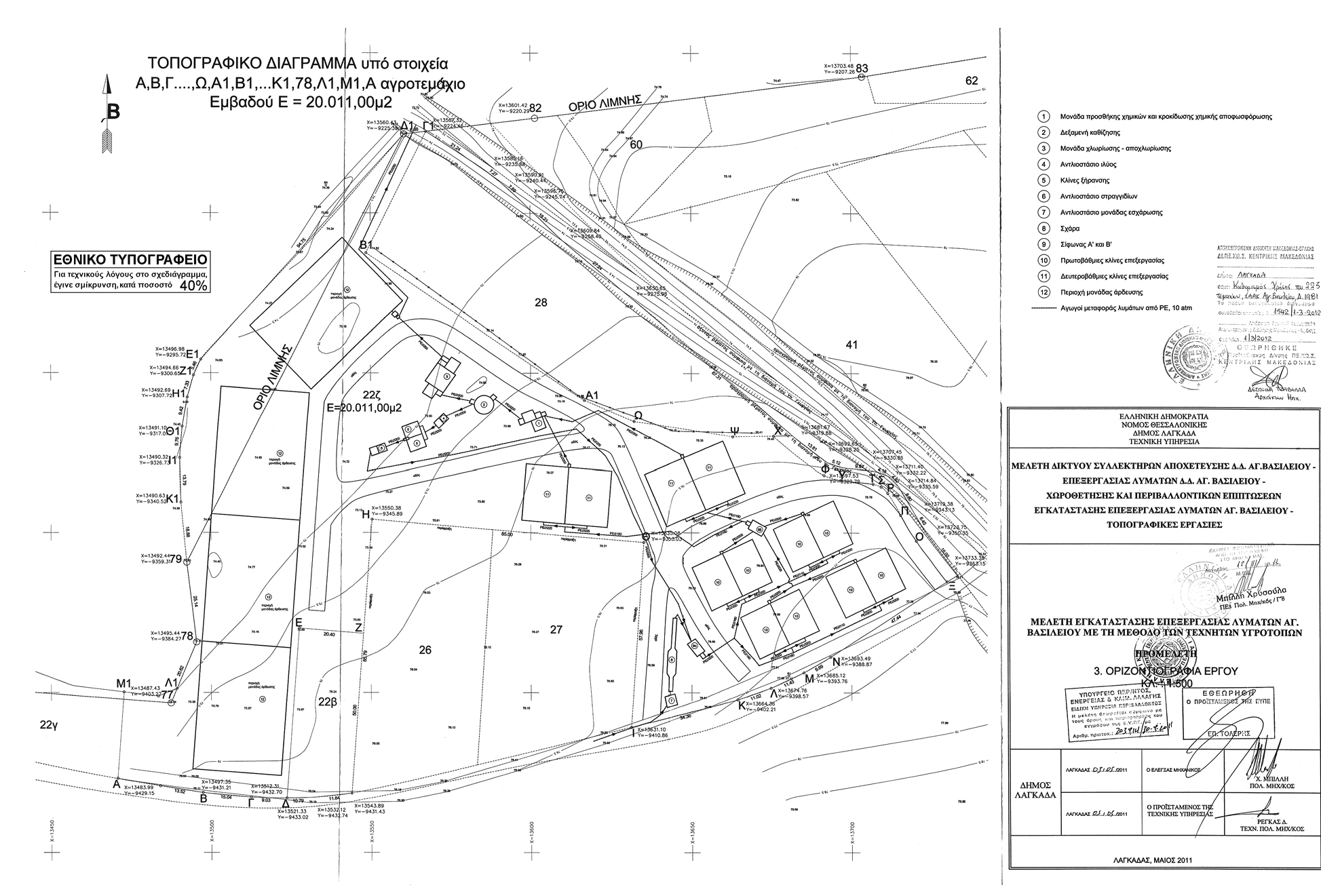
24. Το απόσπασμα τοπογραφικού διαγράμματος του αγροκτήματος (ΣΑΑΚ Αγίου Βασιλείου) που συνοδεύει το υπ' αριθμ. 2932/18-6-2010 έγγραφο του Τμήματος Τοπογραφήσεων της Διεύθυνσης Πολιτικής Γης και Τοπογραφήσεων της Νομαρχιακής Αυτοδιοίκησης Θεσσαλονίκης.

 

25. Το τοπογραφικό διάγραμμα που συνοδεύει την κοινή υπουργική απόφαση με ΑΠ/203914/30-9-2011 (σχετικό 12).

 

26. Την υπ' αριθμόν 6955/23-01-2012 Εισήγηση της Διεύθυνσης Περιβάλλοντος και Χωρικού Σχεδιασμού της Αποκεντρωμένης Διοίκησης Μακεδονίας - Θράκης σχετικά με το θέμα, αποφασίζουμε:

 

Τον καθορισμό ως επιτρεπόμενη χρήση Χώρος διάθεσης αστικών λυμάτων μετά από επεξεργασία στο τεμάχιο με αριθμό 22)ζ του αγροκτήματος ΣΑΑΚ Αγίου Βασιλείου, στο Δήμο Λαγκαδά του Νομού Θεσσαλονίκης, έκτασης 20.011 m2, όπως απεικονίζεται στα 24 και 25 σχετικά τοπογραφικά διαγράμματα που συνοδεύουν την παρούσα Απόφαση.

 

a.1542.12.1

a.1542.12.2

 

Η ισχύς της απόφασης αυτής αρχίζει μετά τη δημοσίευσή της στην Εφημερίδα της Κυβερνήσεως.

 

H απόφαση αυτή να δημοσιευθεί στην Εφημερίδα της Κυβερνήσεως.

 

Θεσσαλονίκη, 01-03-2012

 

Ο Γενικός Γραμματέας Αποκεντρωμένης Διοίκησης

 



Copyright © 2017 TechnoLogismiki. Με την επιφύλαξη παντός δικαιώματος.