| Συνδεθείτε στην Υπηρεσία Νομοσκόπιο | | | | | Νέοι χρήστες | | Εάν είστε νέος χρήστης, θα πρέπει να δημιουργήσετε ένα ΔΩΡΕΑΝ λογαριασμό προκειμένου να φύγει το παράθυρο αυτό και να αποκτήσετε πλήρη πρόσβαση στην υπηρεσία Νομοσκόπιο. | | Δημιουργία νέου λογαριασμού | | |
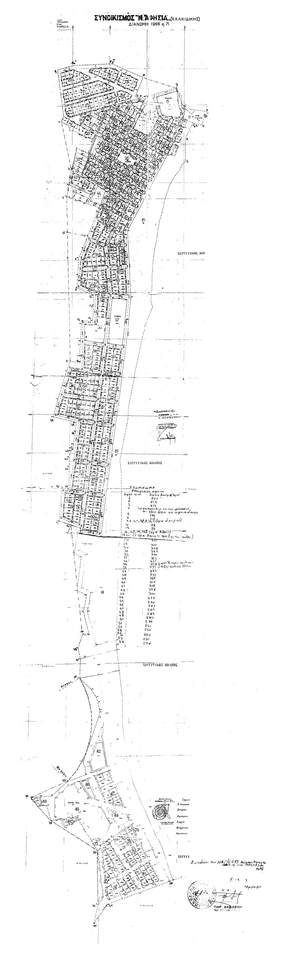
Απόφαση 1185/1993: Προσδιορισμός ορίων οικισμού Σάρτης νομού Χαλκιδικής, (ΦΕΚ 603/Δ/1993), 28-05-1993.
Ο Νομάρχης Χαλκιδικής
Έχοντας υπόψη:
1. Τις διατάξεις του από 24-04-1985 προεδρικού διατάγματος (ΦΕΚ 181/Δ/1985) περί του τρόπου καθορισμού ορίων οικισμών της χώρας μέχρι 2.000 κατοίκων κατηγορίες αυτών κ.λ.π. όπως τροποποιήθηκε και συμπληρώθηκε με τα από 14-02-1987 (ΦΕΚ 133/Δ/1987) και από 25-04-1989 (ΦΕΚ 293/Δ/1989) προεδρικά διατάγματα.
2. Την οίκοθεν 55271/1987 (ΦΕΚ 27/Δ/1987) απόφαση Νομάρχη Χαλκιδικής με την οποία καθορίσθηκαν τα όρια του οικισμού Σάρτης.
3. Τις γνωμοδοτήσεις του Συμβουλίου Περιβάλλοντος Χωροταξίας Δημοσίων Έργων νομού Χαλκιδικής όπως αυτές διατυπώθηκαν κατά τις συνεδριάσεις 19/1992 και 1/1993.
4. Τις διατάξεις του άρθρου 29Α του νόμου 1558/1985 Κυβέρνηση και Κυβερνητικά όργανα η οποία προστέθηκε με το άρθρο 27 του νόμου 2081/1992 (ΦΕΚ 154/Α/1992), αποφασίζουμε:
Προσδιορίζονται τα όρια του οικισμού Σάρτης (ΣΣ: και όχι Σπάρτης!), τα οποία καθορίσθηκαν με την οίκοθεν 55271/1987 (ΦΕΚ 27/Δ/1987) απόφαση Νομάρχη, αντιστοιχίζοντας τα σημεία των ορίων του οικισμού με τα σημεία του ορίου της διανομής του Υπουργείου Γεωργίας σύμφωνα με τον συνημμένο χάρτη (σμίκρυνση διαγραμμάτων διανομής Υπουργείου Γεωργίας), ο οποίος αφού θεωρήθηκε από το Τμήμα Πολεοδομίας και Πολεοδομικών Εφαρμογών νομού Χαλκιδικής, αποτελεί αναπόσπαστο μέρος της παρούσας.
Από τις διατάξεις της παρούσας απόφασης δεν προκαλείται δαπάνη σε βάρος του Κρατικού Προϋπολογισμού ούτε σε βάρος του προϋπολογισμού του οικείου οργανισμού τοπικής αυτοδιοίκησης.

Η παρούσα να δημοσιευθεί στην Εφημερίδα της Κυβερνήσεως.
Πολύγυρος, 06-05-1993
Ο Νομάρχης