| Συνδεθείτε στην Υπηρεσία Νομοσκόπιο | | | | | Νέοι χρήστες | | Εάν είστε νέος χρήστης, θα πρέπει να δημιουργήσετε ένα ΔΩΡΕΑΝ λογαριασμό προκειμένου να φύγει το παράθυρο αυτό και να αποκτήσετε πλήρη πρόσβαση στην υπηρεσία Νομοσκόπιο. | | Δημιουργία νέου λογαριασμού | | |
Απόφαση 110078/2952/2016: Τροποποίηση του εγκεκριμένου ρυμοτομικού σχεδίου της πόλεως Άργους Ορεστικού στα οικοδομικά τετράγωνα 41Α και 41Β, (ΦΕΚ 211/ΑΑΠ/2016), 26-10-2016.
Ο Περιφερειάρχης Δυτικής Μακεδονίας
Έχοντας υπόψη:
1. Τις διατάξεις των άρθρων 152, 153, 154 και 160 του από 14-07-1999 προεδρικού διατάγματος Κώδικας Βασικής Πολεοδομικής Νομοθεσίας, (ΦΕΚ 580/Δ/1999).
2. Το νόμο 1337/1983 (ΦΕΚ 33/Α/1983) περί επέκτασης των Πολεοδομικών σχεδίων, Οικιστική ανάπτυξη και σχετικές ρυθμίσεις.
3. Τις διατάξεις του άρθρου 29 του νόμου 2831/2000 (ΦΕΚ 140/Α/2000), όπως αντικαταστάθηκαν από το άρθρο 10 του νόμου 3044/2002 (ΦΕΚ 197/Α/2002).
4. Τις διατάξεις του άρθρου 31 του νόμου 4067/2012 (ΦΕΚ 79/Α/2012) Νέος Οικοδομικός Κανονισμός.
5. Τις διατάξεις των άρθρων 30 και 31 του νόμου 4030/2011 (ΦΕΚ 249/Α/2011) Νέος τρόπος έκδοσης αδειών δόμησης, ελέγχου κατασκευών και λοιπές διατάξεις.
6. Το νόμο 3852/2010 (ΦΕΚ 87/Α/2010) Νέα Αρχιτεκτονική της Αυτοδιοίκησης και της Αποκεντρωμένης Διοίκησης - Πρόγραμμα Καλλικράτης και ειδικότερα το άρθρο 186 παράγραφος II υποπαράγραφος ΣΤ αριθμός 39.
7. Το προεδρικό διάταγμα 146/2010 (ΦΕΚ 239/Α/2010) Οργανισμός της Περιφέρειας Δυτικής Μακεδονίας.
8. Την υπ' αριθμόν ΚΟ/407/1989 (ΦΕΚ 178/Δ/1989) απόφαση Νομάρχη Καστοριάς περί έγκρισης Πολεοδομικής Μελέτης Επέκτασης Αναθεώρησης της πόλης Άργους Ορεστικού.
9. Την με αριθμό 8409/2014 αίτηση των Χαλκιά Νικόλαου, Λουδοβάρη Στέργιου, Λουδοβάρη Αργυρούλας, Λουδοβάρη Κωνσταντίνας και Λουδοβάρη Ευδοξίας που ζητάνε τη σημειακή τροποποίηση του ρυμοτομικού σχεδίου στα οικοδομικά τετράγωνα 41Α και 41Β στο Άργος Ορεστικό.
10. Την υπ' αριθμ 25/2014 απόφαση της Επιτροπής Ποιότητας Ζωής του Δήμου Άργους Ορεστικού.
11. Την υπ' αριθμ 208/2014 απόφαση Δημοτικού Συμβουλίου Δήμου Άργους Ορεστικού, που γνωμοδοτεί στην έγκριση της τροποποίησης του ρυμοτομικού σχεδίου στα οικοδομικά τετράγωνα 41Α και 41Β στο Άργος Ορεστικό.
12. Το με αριθμό πρωτοκόλλου 1297/18-09-2015 έγγραφο της Υπηρεσίας Δόμησης του Δήμου Καστοριάς και τις από 27-04-2015 και 08-09-2015 (αριθμός πρωτοκόλλου 9956) βεβαιώσεις του Δημάρχου Άργους Ορεστικού με τα οποία βεβαιώνεται ότι κατά της εν λόγω πρότασης τροποποίησης δεν υποβλήθηκε ένσταση κατά τη διαδικασία δημοσιότητας της σημειακής τροποποίησης του ρυμοτομικού σχεδίου πόλης Άργους Ορεστικού, δεν υπάρχουν οικόπεδα άρτια που να καθίστανται μη άρτια, δεν ρυμοτομούνται οικοδομές που έχουν κτισθεί με νόμιμη άδεια βάσει του ισχύοντος σχεδίου και δεν έχουμε μείωση κοινόχρηστου χώρου.
13. Την υπ' αριθμόν πρωτοκόλλου οίκοθεν 92015/2489/08-07-2016 εισήγηση της Διεύθυνσης Περιβάλλοντος και Χωρικού Σχεδιασμού - Τμήμα Χωρικού Σχεδιασμού της Περιφέρειας Δυτικής Μακεδονίας.
14. Την υπ' αριθμόν 35729/1608/06-11-2015 (ΑΔΑ: 7ΓΑ- 4ΟΡ1Γ/67Ι (ΦΕΚ 853/ΥΟΔΔ/2015)) απόφαση Γενικού Γραμματέα Αποκεντρωμένης Διοίκησης Ηπείρου - Δυτικής Μακεδονίας, με την οποία συγκροτήθηκε το Συμβούλιο Πολεοδομικών Θεμάτων και Αμφισβητήσεων. της Περιφερειακής Ενότητας Καστοριάς.
15. Την υπ' αριθμόν πρωτοκόλλου 19/10-08-2016 θετική γνωμοδότηση (σύμφωνα με την αιτιολογία της εισήγησης της Διεύθυνσης Περιβάλλοντος και Χωρικού Σχεδιασμού - Τμήμα Χωρικού Σχεδιασμού της Περιφέρειας Δυτικής Μακεδονίας) του Συμβουλίου Πολεοδομικών Θεμάτων και Αμφισβητήσεων Περιφερειακής Ενότητας Καστοριάς που διατυπώθηκε στην 11η Συνεδρίαση θέμα 2ο στις 10-08-2016.
16. Τις διατάξεις του άρθρου 90 του Κώδικα Νομοθεσίας για την Κυβέρνηση και τα κυβερνητικά όργανα που κυρώθηκε με το άρθρο πρώτο του προεδρικού διατάγματος 63/2005 (ΦΕΚ 98/Α/2005) και το γεγονός ότι από την εφαρμογή των κανονιστικών αυτών διατάξεων δεν προκαλείται δαπάνη σε βάρος του Κρατικού ή Δημοτικού προϋπολογισμού.
Και επειδή:
Το Δημοτικό Συμβούλιο Δήμου Αργούς Ορεστικού, με την υπ' αριθμόν 208/2014 απόφασή του, γνωμοδότησε στην έγκριση της τροποποίησης του εγκεκριμένου ρυμοτομικού σχεδίου στα οικοδομικά τετράγωνα 41Α και 41Β στο Άργος Ορεστικό.
Σύμφωνα με την εισήγησή της, η Διεύθυνση Περιβάλλοντος και Χωρικού Σχεδιασμού - Χωρικού Σχεδιασμού της Περιφέρειας Δυτικής Μακεδονίας θεωρεί ότι πρέπει να γίνει η αιτούμενη τροποποίηση, γιατί ύστερα από μελέτη του φακέλου, διαπιστώθηκε ότι συντρέχουν κατά την ισχύουσα νομοθεσία οι προϋποθέσεις:
i. Η τήρηση από την Υπηρεσία Δόμησης του Δήμου Καστοριάς της κατά το νόμο διαδικασίας σύμφωνα με το άρθρο 154 του από 14-07-1999 προεδρικού διατάγματος (ΦΕΚ 580/Δ/1999) Κώδικας Βασικής Πολεοδομικής Νομοθεσίας, όπως ισχύει σήμερα.
ii. Η ύπαρξη σοβαρής πολεοδομικής ανάγκης καθώς με τη συγκεκριμένη τροποποίηση προτείνεται:
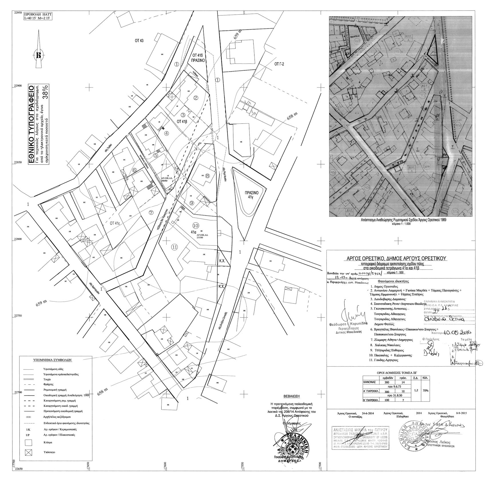
| • | η δημιουργία πεζόδρομου πλάτους 3 m που ενώνει τις οδούς Πέρδικα και Βασίλη Καρακώτσιου διερχόμενο εντός του οικοδομικού τετραγώνου 41Β και χωρίζει το οικοδομικό τετράγωνο 41B σε δυο νέα οικοδομικά τετράγωνα τα οικοδομικά τετράγωνα 41Β και 41Ε. Ο πεζόδρομος αυτός είναι ήδη διανοιγμένος και υφίσταται πριν την έγκριση της αναθεώρησης του σχεδίου πόλης στην οποία εσφαλμένα δεν αναγνωρίστηκε αφού στο διάγραμμα της διανομής του 1980 προβλεπόταν ως δρόμος. |
| • | Η μετατόπιση και στροφή του άξονα της οδού Βασίλη Καρακώτσιου μεταξύ των οικοδομικών τετραγώνων 41Α και 41Β και επιτυγχάνεται η βέλτιστη προσαρμογή της ρυμοτομίας στην ήδη διαμορφωμένη κατάσταση της οδού εδώ και πολλά χρόνια, όπως επίσης αποφεύγεται η ρυμοτόμηση του νομίμως υφιστάμενου κτίσματος της ιδιοκτησίας με αριθμό 5 στο οικοδομικό τετράγωνο 41Β. |
| • | Η βελτίωση της γεωμετρίας στη συμβολή των οδών Βασίλη Καρακώτσιου και Ρήγα Φεραίου με την ταυτόχρονη θεραπεία των υπέρμετρων ρυμοτομήσεων που επιβλήθηκαν στις ιδιοκτησίες 2, 3, 4 του οικοδομικού τετραγώνου 41Β και αποφεύγεται η ρυμοτόμηση υφιστάμενου κτίσματος στην ιδιοκτησία 3 του οικοδομικού τετραγώνου 41Β. |
iii. Δεν προκαλείται δαπάνη σε βάρος του Κρατικού ή Δημοτικού προϋπολογισμού, αποφασίζουμε:
Την τροποποίηση του εγκεκριμένου ρυμοτομικού σχεδίου του Αργούς Ορεστικού στα οικοδομικά τετράγωνα 41Α και 41Β και συγκεκριμένα:
| • | Τη δημιουργία πεζόδρομου πλάτους 3 m που ενώνει τις οδούς Πέρδικα και Βασίλη Καρακώτσιου διερχόμενο εντός του οικοδομικού τετραγώνου 41Β και χωρίζει το οικοδομικό τετράγωνο 41Β σε δυο νέα οικοδομικά τετράγωνα τα οικοδομικά τετράγωνα 41Β και 41Ε. |
| • | Μετατόπιση και στροφή του άξονα της οδού Βασίλη Καρακώτσιου μεταξύ των οικοδομικών τετραγώνων 41Α και 41Β και βελτίωση της γεωμετρίας στη συμβολή των οδών Βασίλη Καρακώτσιου και Ρήγα Φεραίου, όπως φαίνονται στο συνημμένο τοπογραφικό διάγραμμα και για τους παραπάνω αναφερόμενους λόγους. |
Η ισχύς της παρούσας αρχίζει από την δημοσίευση στην Εφημερίδα της Κυβερνήσεως.
Η παρούσα απόφαση και τα συνημμένα σχέδια που τη συνοδεύουν να αναρτηθούν στη Διεύθυνση Υπηρεσίας Δόμησης Δήμου Καστοριάς στο κτίριο της Περιφερειακής Ενότητας Καστοριάς, 3ος όροφος, για 15 ημέρες μετά τη δημοσίευση του λεκτικού της απόφασης και των συνημμένων σχεδίων που το συνοδεύουν στο ΦΕΚ.
Επιτρέπεται η υποβολή προσφυγής στον Γενικό Γραμματέα Αποκεντρωμένης Διοίκησης Ηπείρου-Δυτικής Μακεδονίας, μόνο για παράβαση του Νόμου, σύμφωνα με τις διατάξεις των άρθρων 227 και 238 του νόμου 3852/2010 (ΦΕΚ 87/Α/2010) και σε προθεσμία 15 ημερών από τη δημοσίευση της Απόφασης στην Εφημερίδα της Κυβερνήσεως.

Η απόφαση αυτή να δημοσιευθεί στην Εφημερίδα της Κυβερνήσεως.
Κοζάνη, 12-09-2016
Ο Περιφερειάρχης